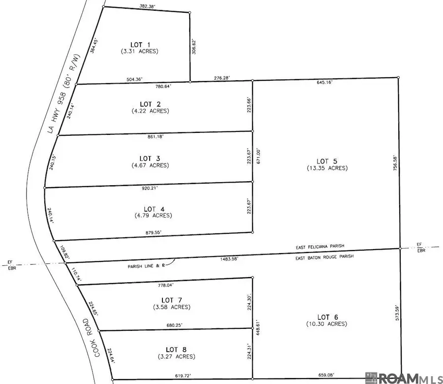
TBD Lot 2 La Hwy 958, Slaughter, LA 70777
Local realty services provided by:CENTURY 21 Action Realty
TBD Lot 2 La Hwy 958,Slaughter, LA 70777
$105,500
- 4.22 Acres
- Lots / Land
- Active
Listed by: kellye moody
Office: ll moody properties llc.
MLS#:BR2026001964
Source:LA_RAAMLS
Price summary
- Price:$105,500
About this home
Restful Ridge Estates offers a rare opportunity to own a private, estate-sized homesite within a thoughtfully designed 8-lot community. Set among open farmland and rolling countryside, each parcel provides space, privacy, and long-term value protection through carefully considered restrictions. Enjoy the peace of rural living with the confidence of a cohesive, high-quality neighborhood. Recently revised restrictions provide greater flexibility while maintaining the overall character and long-term value of the community. Lot 2 is just over 4 acres of pristine, cleared land. This parcel's size and cleared nature offer endless possibilities! Embrace the charm, friendly communities and low taxes in the area. Accessible to multiple education options including being conveniently located between two well-regarded private schools. This parcel's size and cleared nature offer endless possibilities! Restrictions are attached as a document on the listing.
Contact an agent
Home facts
- Listing ID #:BR2026001964
- Added:80 day(s) ago
- Updated:April 25, 2026 at 04:48 AM
Structure and exterior
- Lot area:4.22 Acres
- Lot Features:Cleared, Level, Lot Staked, Rural
Finances and disclosures
- Price:$105,500
Features and amenities
- Amenities:Electricity Available
New listings near TBD Lot 2 La Hwy 958
- New
$58,900Active2.3 Acres8736 Patterson Cemetery Ln, Slaughter, LA 70777
MLS# BR2026007273Listed by: CYNTHIA SMITH REAL ESTATE GROUP, LLC - New
$419,000Active45.02 AcresTBD Lemon B Rd, Slaughter, LA 70777
MLS# BR2026007012Listed by: CYNTHIA SMITH REAL ESTATE GROUP, LLC - New
$239,900Active3 beds 2 baths1,594 sq. ft.3324 E Main Street, Slaughter, LA 70777
MLS# 2552766Listed by: SIMPLY REAL ESTATE LLC
$360,000Pending4 beds 3 baths1,988 sq. ft.4010 Yardley Dr, Slaughter, LA 70777
MLS# BR2026005748Listed by: UNITED PROPERTIES OF LOUISIANA
$385,000Active4 beds 2 baths2,188 sq. ft.1333 Holly Dr, Slaughter, LA 70777
MLS# 2026005125Listed by: PINO & ASSOCIATES
$79,900Active1.8 AcresA1D1 Lemon Rd, Slaughter, LA 70777
MLS# BR2026004973Listed by: RE/MAX PARTNERS
$160,000Active12.76 AcresTract X-1 Scott Barr Rd, Slaughter, LA 70777
MLS# 2026004221Listed by: SOUTH HAVEN REALTY
$120,000Active12.94 AcresTBD Maglone Ln, Slaughter, LA 70777
MLS# BR2026004103Listed by: CORCORAN & COMPANY REAL ESTATE, LLC
$89,999Pending0.35 Acres537 Highway 19 Highway, Slaughter, LA 70777
MLS# NO2541920Listed by: GEAUX SOUTH REALTY LLC
$107,400Active3.58 AcresTBD Lot 7 Cook Rd, Slaughter, LA 70777
MLS# BR2026002138Listed by: LL MOODY PROPERTIES LLC