57312 Talen Lane, Slidell, LA 70458
Local realty services provided by:CENTURY 21 Action Realty
57312 Talen Lane,Slidell, LA 70458
$31,230
- 0 Acres
- Lots / Land
- Active
Listed by: elizabeth jones, kasey fiorella
Office: fiorella avenue realty
MLS#:2522506
Source:LA_GSREIN
Price summary
- Price:$31,230
- Monthly HOA dues:$25
About this home
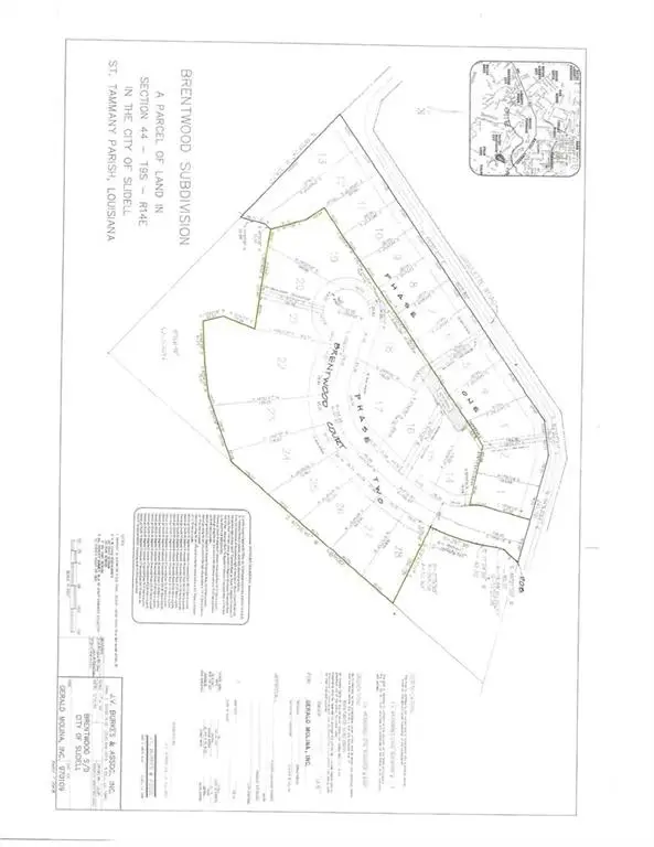
Exclusive Brentwood Subdivision is a wonderful place to live. Only 14 homes to be built in Brentwood. Talen Lane is a one street Cul De Sac that is tucked away from the main highways so you'll feel secluded but will still be close enough in proximity to all of the city's amenities. A short distance to Old Town Slidell, I 10 and I 12. The neighborhood corners stump Lagoon which is navigable by small boat or canoe to Bayou Bonfouca. These lots can be purchased together as a package for investors or contractors or individuals to build their own dream home. One time close for lot and construction **THE DEVELOPER IS WILLING TO FINANCE AND WILLING TO WORK WITH THE BUYER'S/BUILDER'S LENDER FOR SECURITY IN THE PROPERTY TO FACILITATE THE CONSTRUCTION FINANCING** See the plat map attached for exact measurements
Contact an agent
Home facts
- Listing ID #:2522506
- Added:237 day(s) ago
- Updated:May 14, 2026 at 03:13 PM
Structure and exterior
- Lot Features:City Lot, Irregular Lot, Oversized Lot
Utilities
- Water:Public
- Sewer:Public Sewer
Finances and disclosures
- Price:$31,230
New listings near 57312 Talen Lane
- New
$312,000Active4 beds 2 baths2,032 sq. ft.104 Kasey Street, Slidell, LA 70458
MLS# 2557433Listed by: WEICHERT REALTORS, LOESCHER PR - New
$389,000Active4 beds 3 baths2,712 sq. ft.813 Bent Cypress Lane, Slidell, LA 70461
MLS# 2557875Listed by: THE W GROUP REAL ESTATE LLC - New
$244,900Active4 beds 2 baths1,956 sq. ft.224 E Queens Drive, Slidell, LA 70458
MLS# 2557400Listed by: KELLER WILLIAMS REALTY SERVICES - New
$275,900Active3 beds 2 baths1,549 sq. ft.40742 Cara Mae Street, Slidell, LA 70461
MLS# NO2558031Listed by: D.R.HORTON REALTY OF LOUISIANA - New
$1,500,000Active5 beds 5 baths4,362 sq. ft.3073 Marina Villa N., Slidell, LA 70461
MLS# 2557785Listed by: 1 PERCENT LISTS LEGACY - New
$275,900Active3 beds 2 baths1,549 sq. ft.40742 Cara Mae Street, Slidell, LA 70461
MLS# 2558031Listed by: D.R.HORTON REALTY OF LOUISIANA - New
$198,000Active3 beds 3 baths1,690 sq. ft.74 W Chamale Cove #74, Slidell, LA 70460
MLS# 2557666Listed by: CENTURY 21 INVESTMENT REALTY - New
$39,900Active0.33 AcresCousin Street, Slidell, LA 70458
MLS# 2557849Listed by: ERA TOP AGENT REALTY - Open Sun, 11am to 1pmNew
$349,900Active4 beds 2 baths2,117 sq. ft.217 Megan Lane, Slidell, LA 70458
MLS# 2557927Listed by: ABEK REAL ESTATE - New
$279,999Active4 beds 2 baths1,836 sq. ft.5563 Grand Springs Road, Slidell, LA 70461
MLS# 2557905Listed by: KELLER WILLIAMS REALTY 455-0100