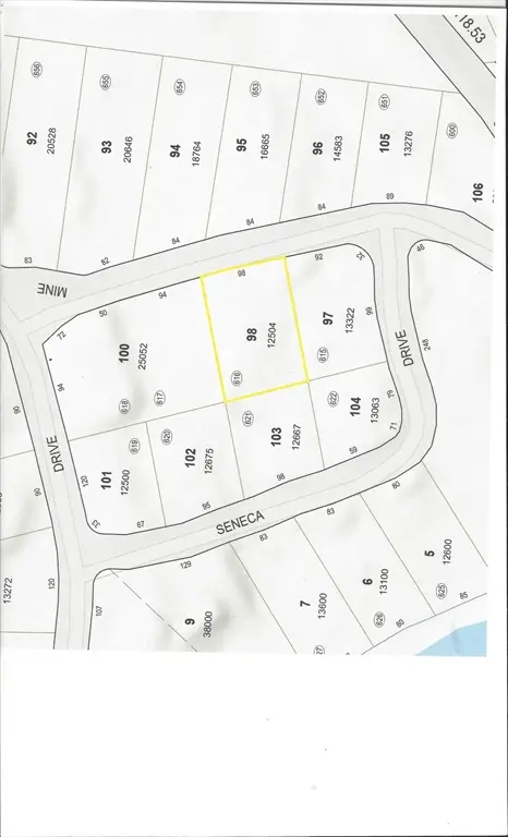
98 Gold Mine Rd, Ashburnham, MA 01430

Local realty services provided by:CENTURY 21 Signature Properties
98 Gold Mine Rd,Ashburnham, MA 01430
$45,000
  • 0.29 Acres
  • Lots / Land
  • Active
Listed by: david hearne
Office: hearne realty group
MLS#:73464817
Source:MLSPIN

Price summary

  • Price:$45,000

About this home

A nice flat lot that has already been cleared, a moment away from Sunset Lake with lake access through membership to the Far Hills Association. Lot currenty approved for 3-season living but owner can apply for year-round access. Buyer to do due diligence.

Contact an agent

contact an agent

Yes, I would like more information. Please use and/or share my information with an independent agent affiliated with the CENTURY 21®  brand to contact me about my real estate needs. By clicking Send message, I request to be contacted by phone or text message and consent to being contacted by automated means. I understand that my consent to receive calls or texts is not a condition of purchasing any property, goods, or services. Alternatively, I understand that I can access real estate services by email or I can contact the agent myself.

If an independent agent affiliated with the CENTURY 21®  brand is not available in the area where I need assistance, I agree to be contacted by a real estate agent affiliated with another brand owned or licensed by Anywhere Real Estate (BHGRE® , Coldwell Banker® , Corcoran® , ERA® , Sotheby's International Realty® ).
 I acknowledge that I have read and agree to theTerms of useandPrivacy notice

Home facts

  • Listing ID #:73464817
  • Updated:February 10, 2026 at 11:30 AM

Structure and exterior

  • Lot area:0.29 Acres
  • Lot Features:Cleared, Level

Utilities

  • Sewer:Private Sewer

Finances and disclosures

  • Price:$45,000
  • Tax amount:$498 (2025)
The property listing data and information, or the Images, set forth herein were provided to MLS Property Information Network, Inc. from third party sources, including sellers, lessors and public records, and were compiled by MLS Property Information Network, Inc. The property listing data and information, and the Images, are for the personal, non-commercial use of consumers having a good faith interest in purchasing or leasing listed properties of the type displayed to them and may not be used for any purpose other than to identify prospective properties which such consumers may have a good faith interest in purchasing or leasing. MLS Property Information Network, Inc. and its subscribers disclaim any and all representations and warranties as to the accuracy of the property listing data and information, or as to the accuracy of any of the Images, set forth herein.