Lots 2,3,4 Leicester St., Auburn, MA 01501

Local realty services provided by:CENTURY 21 North East
Lots 2,3,4 Leicester St.,Auburn, MA 01501
$324,900
  • 4.88 Acres
  • Lots / Land
  • Active
Listed by: mulryan and maher group
Office: lamacchia realty, inc.
MLS#:73503728
Source:MLSPIN

Price summary

  • Price:$324,900

About this home

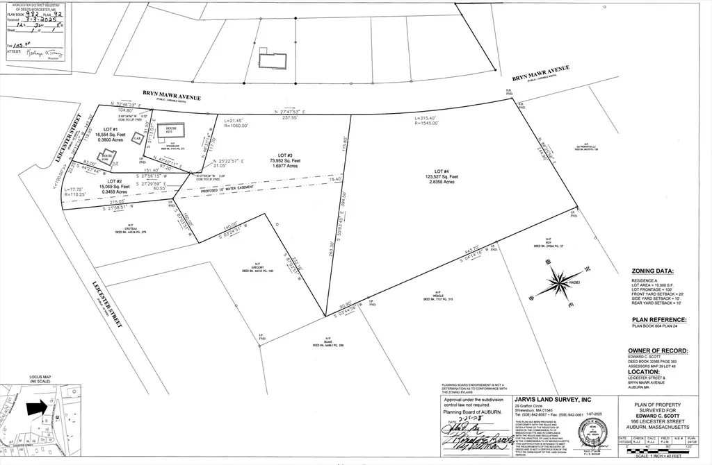
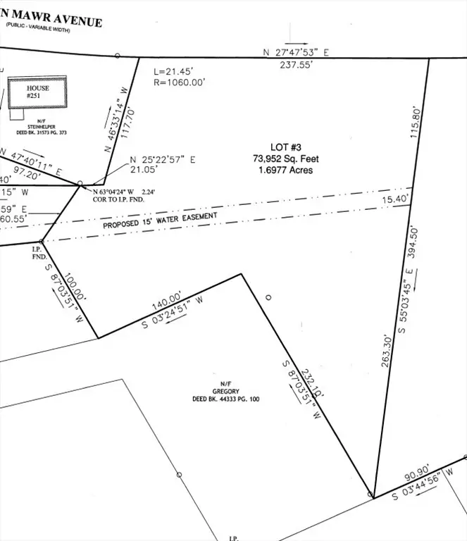
Rare opportunity to acquire three buildable lots in a convenient Auburn location. Situated between and behind 160–166 Leicester Street, with additional access potential from Bryn Mawr, these parcels offer flexibility for builders, developers, or end users.Lot 2 consists of approximately 15,069 sq ft (0.35 acres), Lot 3 offers 73,952 sq ft (1.70 acres), and Lot 4 spans 123,527 sq ft (2.84 acres). The lots provide a unique combination of frontage, depth, and privacy, with potential for a variety of residential uses (buyer to perform due diligence).Conveniently located near major routes, shopping, and local amenities, while still offering a tucked-away setting. Whether purchased individually or as a package, this is a great opportunity in a desirable Auburn location.

Contact an agent

contact an agent

Yes, I would like more information. Please use and/or share my information with an independent agent affiliated with the CENTURY 21®  brand to contact me about my real estate needs. By clicking Send message, I request to be contacted by phone or text message and consent to being contacted by automated means. I understand that my consent to receive calls or texts is not a condition of purchasing any property, goods, or services. Alternatively, I understand that I can access real estate services by email or I can contact the agent myself.

If an independent agent affiliated with the CENTURY 21®  brand is not available in the area where I need assistance, I agree to be contacted by a real estate agent affiliated with another brand owned or licensed by Anywhere Real Estate (BHGRE® , Coldwell Banker® , Corcoran® , ERA® , Sotheby's International Realty® ).
 I acknowledge that I have read and agree to theTerms of useandPrivacy notice

Home facts

  • Listing ID #:73503728
  • Updated:April 21, 2026 at 02:23 PM

Structure and exterior

  • Lot area:4.88 Acres
  • Lot Features:Rolling Slope, Sloped

Schools

  • High school:Ahs
  • Middle school:Ams
  • Elementary school:Bryn Mawr

Utilities

  • Water:Private, Public
  • Sewer:At Street, Private Sewer, Public Sewer

Finances and disclosures

  • Price:$324,900
The property listing data and information, or the Images, set forth herein were provided to MLS Property Information Network, Inc. from third party sources, including sellers, lessors and public records, and were compiled by MLS Property Information Network, Inc. The property listing data and information, and the Images, are for the personal, non-commercial use of consumers having a good faith interest in purchasing or leasing listed properties of the type displayed to them and may not be used for any purpose other than to identify prospective properties which such consumers may have a good faith interest in purchasing or leasing. MLS Property Information Network, Inc. and its subscribers disclaim any and all representations and warranties as to the accuracy of the property listing data and information, or as to the accuracy of any of the Images, set forth herein.