0 White Ct (lot 3 - Left Side), Douglas, MA 01516

Local realty services provided by:CENTURY 21 McLennan & Company
0 White Ct (lot 3 - Left Side),Douglas, MA 01516
$110,000
  • 2.29 Acres
  • Lots / Land
  • Active
Listed by: shawn towle
Office: era key realty services
MLS#:73488455
Source:MLSPIN

Price summary

  • Price:$110,000

About this home

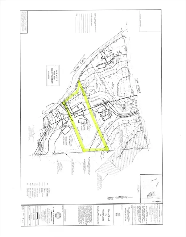
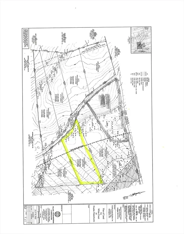
Nice flat level 2+ Acre lot shown as Lot 3 on attached conceptual plan , wetlands flagged an located plenty of room for driveway with no wetland crossing needed, in area of Blissful Meadows golf course plenty of privacy recent percs indicate low ground water and 7 MPI perc rate (on lot 1) nice mature Pines and plenty of wildlife, minutes to Rte 146 and Blissful Meadows Golf course, Additional lots can be purchased as well separately or a bundle 6-8 lots total See Attached Plan

Contact an agent

contact an agent

Yes, I would like more information. Please use and/or share my information with an independent agent affiliated with the CENTURY 21®  brand to contact me about my real estate needs. By clicking Send message, I request to be contacted by phone or text message and consent to being contacted by automated means. I understand that my consent to receive calls or texts is not a condition of purchasing any property, goods, or services. Alternatively, I understand that I can access real estate services by email or I can contact the agent myself.

If an independent agent affiliated with the CENTURY 21®  brand is not available in the area where I need assistance, I agree to be contacted by a real estate agent affiliated with another brand owned or licensed by Anywhere Real Estate (BHGRE® , Coldwell Banker® , Corcoran® , ERA® , Sotheby's International Realty® ).
 I acknowledge that I have read and agree to theTerms of useandPrivacy notice

Home facts

  • Listing ID #:73488455
  • Updated:March 20, 2026 at 02:51 AM

Structure and exterior

  • Lot area:2.29 Acres
  • Lot Features:Level, Wetlands

Utilities

  • Water:Private
  • Sewer:Private Sewer

Finances and disclosures

  • Price:$110,000
The property listing data and information, or the Images, set forth herein were provided to MLS Property Information Network, Inc. from third party sources, including sellers, lessors and public records, and were compiled by MLS Property Information Network, Inc. The property listing data and information, and the Images, are for the personal, non-commercial use of consumers having a good faith interest in purchasing or leasing listed properties of the type displayed to them and may not be used for any purpose other than to identify prospective properties which such consumers may have a good faith interest in purchasing or leasing. MLS Property Information Network, Inc. and its subscribers disclaim any and all representations and warranties as to the accuracy of the property listing data and information, or as to the accuracy of any of the Images, set forth herein.