0 Hardwick Pond Road, Ware, MA 01082

Local realty services provided by:CENTURY 21 Tassinari & Associates, Inc
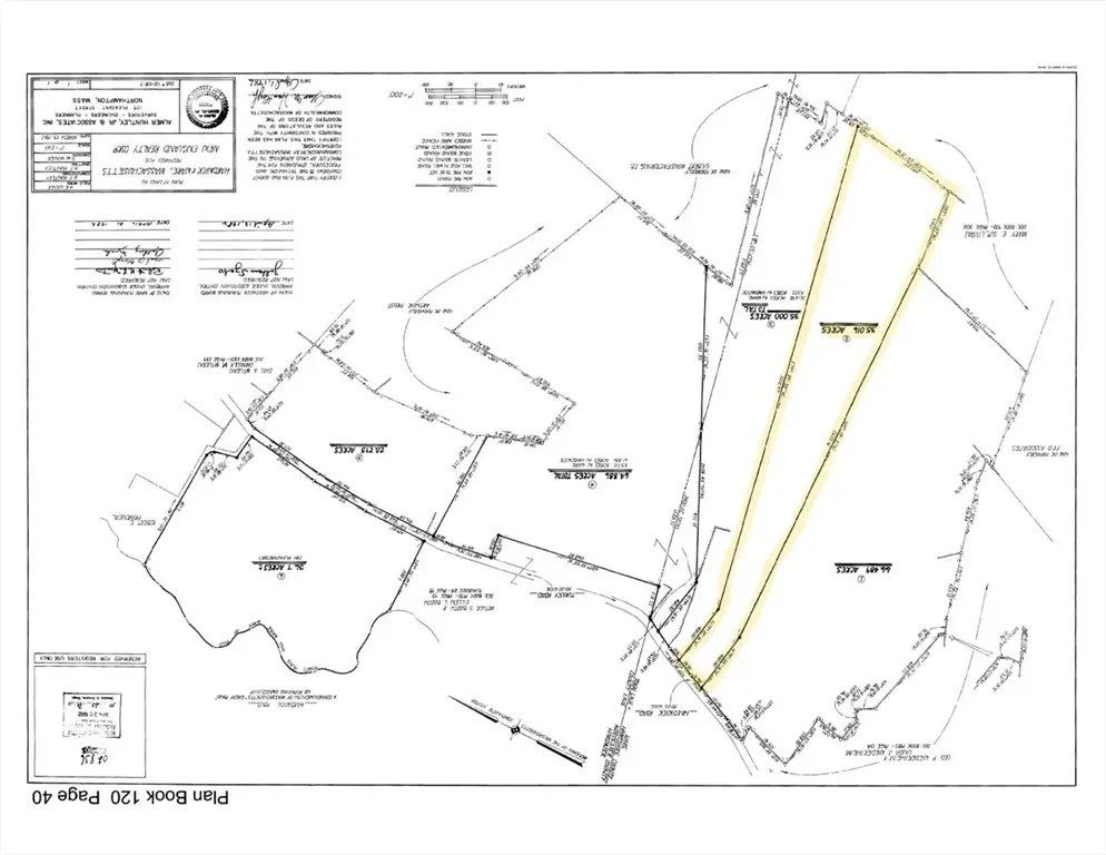
0 Hardwick Pond Road,Ware, MA 01082
$99,900
  • 35.02 Acres
  • Lots / Land
  • Active
Listed by: timothy s. damon
Office: mercury real estate
MLS#:73493032
Source:MLSPIN

Price summary

  • Price:$99,900

About this home

Large tract of land with considerable standing timber that could be harvested prior to creating your homesite. Property has markings showing boundary points as the lot meets the road. Lot to the right of the parcel is owned by a conservation trust, minimizing the possibility of new neighbors building in line of sight.

Contact an agent

contact an agent

Yes, I would like more information. Please use and/or share my information with an independent agent affiliated with the CENTURY 21®  brand to contact me about my real estate needs. By clicking Send message, I request to be contacted by phone or text message and consent to being contacted by automated means. I understand that my consent to receive calls or texts is not a condition of purchasing any property, goods, or services. Alternatively, I understand that I can access real estate services by email or I can contact the agent myself.

If an independent agent affiliated with the CENTURY 21®  brand is not available in the area where I need assistance, I agree to be contacted by a real estate agent affiliated with another brand owned or licensed by Anywhere Real Estate (BHGRE® , Coldwell Banker® , Corcoran® , ERA® , Sotheby's International Realty® ).
 I acknowledge that I have read and agree to theTerms of useandPrivacy notice

Home facts

  • Listing ID #:73493032
  • Updated:April 21, 2026 at 10:22 AM

Structure and exterior

  • Lot area:35.02 Acres
  • Lot Features:Sloped, Wooded

Utilities

  • Water:Private
  • Sewer:Private Sewer

Finances and disclosures

  • Price:$99,900
  • Tax amount:$1,306 (2025)
The property listing data and information, or the Images, set forth herein were provided to MLS Property Information Network, Inc. from third party sources, including sellers, lessors and public records, and were compiled by MLS Property Information Network, Inc. The property listing data and information, and the Images, are for the personal, non-commercial use of consumers having a good faith interest in purchasing or leasing listed properties of the type displayed to them and may not be used for any purpose other than to identify prospective properties which such consumers may have a good faith interest in purchasing or leasing. MLS Property Information Network, Inc. and its subscribers disclaim any and all representations and warranties as to the accuracy of the property listing data and information, or as to the accuracy of any of the Images, set forth herein.