Liberty Grove Rd, Conowingo, MD 21918
Local realty services provided by:CENTURY 21 Mertz & Associates
Liberty Grove Rd,Conowingo, MD 21918
$800,000
- 23.49 Acres
- Lots / Land
- Active
Listed by: jorge l pimentel
Office: samson properties
MLS#:MDCC2015324
Source:BRIGHTMLS
Price summary
- Price:$800,000
About this home
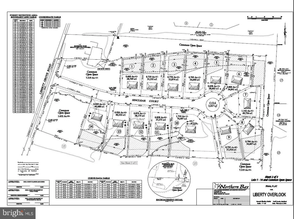
PRISTINE 14-LOT APPROVED SUBDIVISION – LIBERTY OVERLOOK
An incredible opportunity awaits! This 14-lot subdivision is fully approved and ready for development on 1.5 +/- to 2 acre parcels, all with perc approval. Strategically located near other thriving new developments, this property is primed for a visionary developer to bring a vibrant, attractive community to life. Key Highlights: Subdivision plat is available for review / Ready for roads and stormwater management infrastructure / Positioned in a growing area of Cecil County, making it an ideal time to meet the demand for quality housing. Take advantage of improving home sales and contribute to addressing the housing shortage as the market continues to grow. Start building in 2025 and create a neighborhood that stands out!
Documents and additional details are attached.
Contact an agent
Home facts
- Listing ID #:MDCC2015324
- Added:357 day(s) ago
- Updated:December 13, 2025 at 02:29 PM
Structure and exterior
- Lot area:23.49 Acres
Utilities
- Water:Well Required
- Sewer:Perc Approved Septic
Finances and disclosures
- Price:$800,000
- Tax amount:$2,266 (2024)
New listings near Liberty Grove Rd
- New
$399,900Active3 beds 2 baths2,332 sq. ft.661 Pilot Town Rd, CONOWINGO, MD 21918
MLS# MDCC2019876Listed by: ALBERTI REALTY, LLC - New
$199,990Active0.06 AcresLot 3 White Spruce Way, CONOWINGO, MD 21918
MLS# MDCC2019868Listed by: GARCEAU REALTY - New
$493,000Active3 beds 2 baths45 Blarney Ln, CONOWINGO, MD 21918
MLS# MDCC2019522Listed by: BEILER-CAMPBELL REALTORS-OXFORD
$75,000Active3 beds 2 baths1,100 sq. ft.13 Springway, CONOWINGO, MD 21918
MLS# MDCC2019722Listed by: INTEGRITY REAL ESTATE
$500,000Pending3 beds 2 baths1,474 sq. ft.34 Arc Dr, CONOWINGO, MD 21918
MLS# MDCC2019692Listed by: INTEGRITY REAL ESTATE
$98,000Pending3 beds 2 baths1,152 sq. ft.3 Woodside Dr, CONOWINGO, MD 21918
MLS# MDCC2019638Listed by: INTEGRITY REAL ESTATE
$539,900Active4 beds 3 baths3,510 sq. ft.8 Weaver Meadows Rd, CONOWINGO, MD 21918
MLS# MDCC2019578Listed by: STREETT HOPKINS REAL ESTATE, LLC
$425,000Active5 beds 2 baths1,114 sq. ft.77 Martin Rd, CONOWINGO, MD 21918
MLS# MDCC2019528Listed by: REMAX VISION
$305,000Pending3 beds 3 baths1,742 sq. ft.184 Rowlandsville Rd, CONOWINGO, MD 21918
MLS# MDCC2019400Listed by: REMAX VISION
$650,000Active4 beds 4 baths2,525 sq. ft.84 Clematis Way, CONOWINGO, MD 21918
MLS# MDCC2019262Listed by: KELLER WILLIAMS REALTY CENTRE