1203 Double Gate Road, Davidsonville, MD 21035
Local realty services provided by:CENTURY 21 Rauh & Johns
1203 Double Gate Road,Davidsonville, MD 21035
$325,000
- 1 Acres
- Lots / Land
- Pending
Listed by: adrian dwayne sims, nakiea w dade
Office: homesmart
MLS#:MDAA2127748
Source:BRIGHTMLS
Price summary
- Price:$325,000
About this home
The Seller is offering a credit of $10,000 toward landscaping improvements to enhance privacy and provide additional foliage screening for the existing structure located on the adjacent lot at 1203 Double Gate Road. This contribution is intended to support the Buyer’s landscaping design or installation of choice following Settlement.
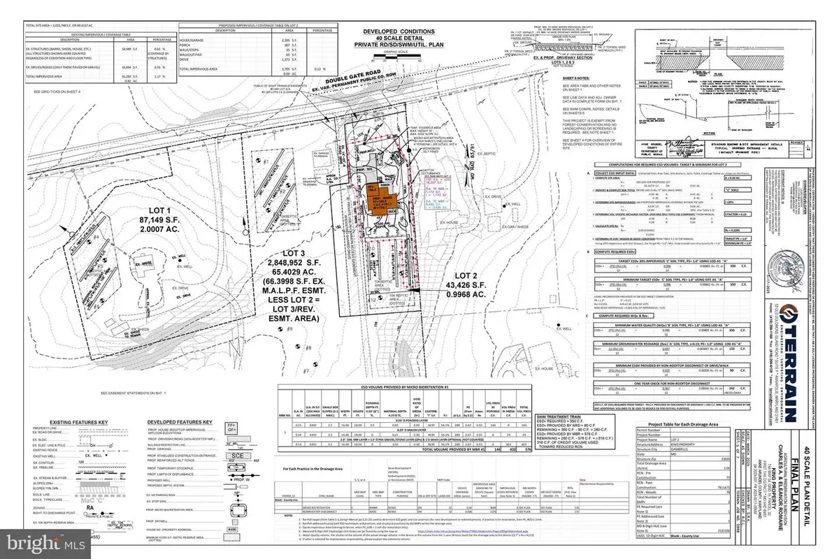
LOT 2 - Terrain map and survey provided in the photo includes an illustration of a potential home structure. Discover the charm of this private just shy of 1-acre tucked away in the heart of Davidsonville—a true hidden gem. This exceptional property offers the perfect canvas for your custom-built dream home in one of the area's most sought-after locations. Bring your vision, creativity, and builder to transform this ideally situated lot into your personal sanctuary. Whether you're designing a modern retreat or a timeless estate, the possibilities are endless. Enjoy the best of both worlds: peaceful, private living just 15 minutes from Annapolis and under an hour to Washington, D.C. and Baltimore. Convenient access to shopping, dining, and local amenities makes this location as practical as it is desirable. This lot is ready for development—don’t miss your chance to create something truly special. Opportunities like this don’t last long!
Contact an agent
Home facts
- Listing ID #:MDAA2127748
- Added:71 day(s) ago
- Updated:December 16, 2025 at 08:46 AM
Structure and exterior
- Lot area:1 Acres
Schools
- High school:SOUTH RIVER
- Middle school:CENTRAL
- Elementary school:DAVIDSONVILLE
Utilities
- Water:Well
Finances and disclosures
- Price:$325,000
- Tax amount:$1,886 (2026)
New listings near 1203 Double Gate Road
- New
$1,400,000Active6 beds 6 baths8,017 sq. ft.831 Governor Bridge Rd, DAVIDSONVILLE, MD 21035
MLS# MDAA2124920Listed by: NORTHROP REALTY - Open Sun, 11am to 2pmNew
$1,799,900Active5 beds 5 baths5,303 sq. ft.3520 Castle Way, DAVIDSONVILLE, MD 21035
MLS# MDAA2132324Listed by: LONG & FOSTER REAL ESTATE, INC. - New
$999,000Active4 beds 3 baths3,430 sq. ft.3215 Homewood Rd, DAVIDSONVILLE, MD 21035
MLS# MDAA2132330Listed by: ENGEL & VOLKERS ANNAPOLIS
$1,350,000Active5 beds 6 baths6,016 sq. ft.2919 Davidsonville Rd, DAVIDSONVILLE, MD 21035
MLS# MDAA2131290Listed by: REDFIN CORP
$550,000Pending3 beds 2 baths1,770 sq. ft.3732 Nile Rd, DAVIDSONVILLE, MD 21035
MLS# MDAA2129570Listed by: COMPASS
$675,000Pending5 beds 3 baths2,532 sq. ft.2602 Le Compte Ln, DAVIDSONVILLE, MD 21035
MLS# MDAA2131716Listed by: REAL BROKER, LLC - ANNAPOLIS
$1,075,000Active4 beds 3 baths2,523 sq. ft.2545 Lavall Ct, DAVIDSONVILLE, MD 21035
MLS# MDAA2126992Listed by: COLDWELL BANKER REALTY
$675,000Pending6 beds 3 baths3,226 sq. ft.1045 Ashe St, DAVIDSONVILLE, MD 21035
MLS# MDAA2129088Listed by: KELLER WILLIAMS LEGACY
$1,100,000Pending4 beds 4 baths6,368 sq. ft.738 Intrepid Way, DAVIDSONVILLE, MD 21035
MLS# MDAA2129412Listed by: BERKSHIRE HATHAWAY HOMESERVICES PENFED REALTY
$925,000Active5 beds 4 baths2,792 sq. ft.3501 Foxhall Dr, DAVIDSONVILLE, MD 21035
MLS# MDAA2129398Listed by: DOUGLAS REALTY LLC