1403 (lot 70) Old Ct, Edgewater, MD 21037
Local realty services provided by:CENTURY 21 Reilly Realtors
1403 (lot 70) Old Ct,Edgewater, MD 21037
$100,000
- 0.34 Acres
- Lots / Land
- Pending
Listed by: arian sargent lucas, julie c knott
Office: lofgren-sargent real estate
MLS#:MDAA2122994
Source:BRIGHTMLS
Price summary
- Price:$100,000
About this home
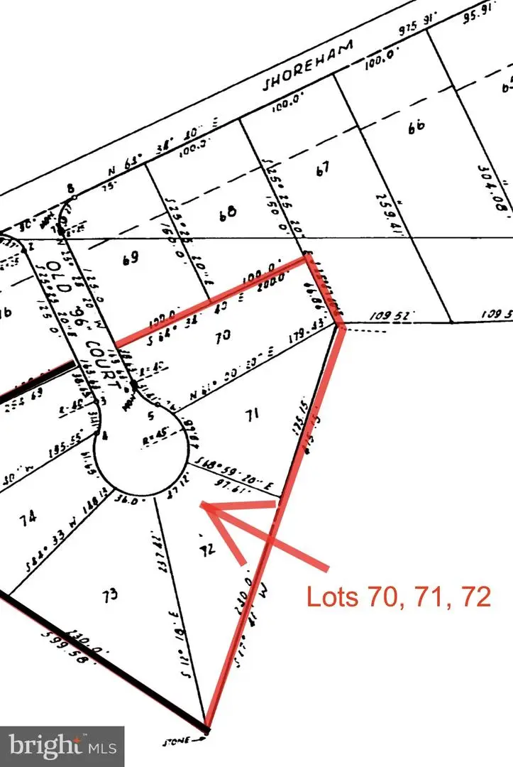
This is one of 3 separate and adjacent parcels. Lots 70, 71 and 72 are each available from this seller. Buyer to determine number of building sites for the 3 lots (consolidating or amending lot lines if needed). Lots may be sited in the critical area and buffer management may apply. Separately each lot is .3 or .34 or .41 acres and all three lots combined is 1.05 acres. See additional listings. It is seller’s preference to sell all 3 lots together/simultaneously and has priced accordingly for this opportunity. Most likely 1-2 building sites are possible but must be verified by the county. Old Ct is currently a paper road which can be accessed from Shoreham Beach Rd by walking, not driving. It is located between 4105 and 4101 Shoreham Beach Rd. Lots are wooded and not cleared. Please contact listing agent for access details and be respectful of neighbors.
Well water. Public septic available with stub for sewer (public septic) extension available where Old Ct meets Shoreham Beach Rd. Survey not available. Buyer to verify accuracy of all information and to do any further due diligence. No sign on property....
Contact an agent
Home facts
- Listing ID #:MDAA2122994
- Added:258 day(s) ago
- Updated:March 22, 2026 at 07:33 AM
Structure and exterior
- Lot area:0.34 Acres
- Lot Features:Trees/Wooded
Schools
- High school:SOUTH RIVER
- Middle school:CENTRAL
- Elementary school:MAYO
Utilities
- Water:Well Permit Not Applied For, Well Required
- Sewer:Public Hook/Up Avail, Public Septic
Finances and disclosures
- Price:$100,000
- Tax amount:$2,235 (2025)
New listings near 1403 (lot 70) Old Ct
- New
$474,000Active3 beds 3 baths1,620 sq. ft.1604 Oriole Rd, EDGEWATER, MD 21037
MLS# MDAA2143148Listed by: XREALTY.NET LLC - Coming Soon
$475,000Coming Soon3 beds 3 baths1617 Hilltop Rd, EDGEWATER, MD 21037
MLS# MDAA2137520Listed by: RE/MAX LEADING EDGE - Coming SoonOpen Sun, 12 to 3pm
$485,000Coming Soon3 beds 3 baths2138 Millhaven Dr #138, EDGEWATER, MD 21037
MLS# MDAA2142768Listed by: LONG & FOSTER REAL ESTATE, INC. - Coming Soon
$1,850,000Coming Soon5 beds 6 baths27 Hunting Ct, EDGEWATER, MD 21037
MLS# MDAA2140348Listed by: RE/MAX LEADING EDGE - Coming Soon
$639,990Coming Soon3 beds 4 baths158 Riverton Pl, EDGEWATER, MD 21037
MLS# MDAA2142876Listed by: LONG & FOSTER REAL ESTATE, INC. - Open Sun, 1 to 3pmNew
$965,000Active5 beds 6 baths5,014 sq. ft.119 Mulberry Ct, EDGEWATER, MD 21037
MLS# MDAA2142160Listed by: RE/MAX LEADING EDGE - Coming Soon
$850,000Coming Soon2 beds 2 baths322 Riverside Rd, EDGEWATER, MD 21037
MLS# MDAA2142450Listed by: LOFGREN-SARGENT REAL ESTATE - New
$1,149,000Active4 beds 4 baths4,002 sq. ft.126 Seahawk Ln, EDGEWATER, MD 21037
MLS# MDAA2142648Listed by: BERKSHIRE HATHAWAY HOMESERVICES HOMESALE REALTY - Open Sat, 11am to 1pmNew
$874,999Active5 beds 3 baths3,220 sq. ft.1428 Central Ave E, EDGEWATER, MD 21037
MLS# MDAA2142664Listed by: REVOL REAL ESTATE, LLC - New
$1,499,900Active4 beds 3 baths2,268 sq. ft.26 Wilelinor Dr, EDGEWATER, MD 21037
MLS# MDAA2142474Listed by: TTR SOTHEBY'S INTERNATIONAL REALTY