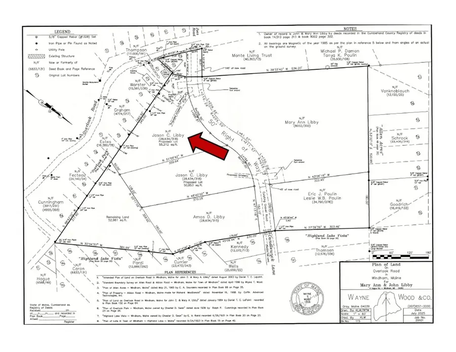
0 Lot #2, Candlewyck Road, Windham, ME 04062
Local realty services provided by:CENTURY 21 Barbara Patterson
0 Lot #2, Candlewyck Road,Windham, ME 04062
$115,000
- 1.26 Acres
- Lots / Land
- Active
Listed by: deborah meek207-553-2662
Office: keller williams realty
MLS#:1642847
Source:ME_MREIS
Price summary
- Price:$115,000
- Monthly HOA dues:$29.17
About this home
Beautiful land in the same family for multiple generations! A genuine slice of pure Maine to build your dreams upon, yet only 25 minutes to Portland. Ideal location to lakes, mountains, bars and eateries and entertainment! If you've been having a challenge finding a genuine buildable lot - without wetland or complications - then look no further. Located in a popular neighborhood. Gentle treed sloping lot providing natural privacy and possibly a walk-out basement - quiet and picturesque, ideal for nature lovers and dog lovers. Hikers' paradise and enjoy the scenic beauty as it unfolds every season. This lot is 1.26 acres, surveyed and soils tested with HHE-200 Septic Design, with the town's OK - meeting dimensional standards for a building lot. Small annual fee to Overlook Road Association once property developed. Bring your builder or your plans and explore this rare offering. This parcel will need the buyer to build out the right-of-way for access with hammerhead. See survey. Buyers to verify with town of Windham - private way minor road spec - does not require black top. Don't miss. It's surveyed and pinned!
Contact an agent
Home facts
- Listing ID #:1642847
- Updated:January 22, 2026 at 10:57 PM
Structure and exterior
- Lot area:1.26 Acres
Utilities
- Water:Well Needed on Site
- Sewer:Perc Test On File, Private Sewer, Septic Design Available, Septic Needed
Finances and disclosures
- Price:$115,000
- Tax amount:$1,705 (25)
New listings near 0 Lot #2, Candlewyck Road
- New
$89,500Active2 beds 1 baths784 sq. ft.24 Lookout Lane, Windham, ME 04062
MLS# 1649963Listed by: MAINE REAL ESTATE EXPERTS - Open Sat, 10 to 11:30amNew
$485,000Active1 beds 2 baths1,229 sq. ft.8 Emerson Drive, Windham, ME 04062
MLS# 1649950Listed by: LANDING REAL ESTATE - Open Sat, 11am to 1pmNew
$589,000Active-- beds 3 baths2,031 sq. ft.5 Sandbar Road, Windham, ME 04062
MLS# 1649653Listed by: SIGNATURE HOMES REAL ESTATE GROUP - Open Sun, 10am to 12pmNew
$495,000Active2 beds 2 baths1,990 sq. ft.7 Aquatic Way #7, Windham, ME 04062
MLS# 1649637Listed by: PLOWMAN REALTY GROUP - Open Sat, 11am to 1pmNew
$589,000Active5 beds 3 baths2,031 sq. ft.5 Sandbar Road, Windham, ME 04062
MLS# 1649576Listed by: SIGNATURE HOMES REAL ESTATE GROUP - New
$545,000Active-- beds 2 baths1,408 sq. ft.324 Roosevelt Trail, Windham, ME 04062
MLS# 1649358Listed by: KRE BROKERAGE GROUP - New
$365,000Active2 beds 1 baths922 sq. ft.404 Pope Road, Windham, ME 04062
MLS# 1649345Listed by: ALLIED REAL ESTATE - New
$869,000Active3 beds 4 baths3,810 sq. ft.15 Baker Mountain Drive, Windham, ME 04062
MLS# 1649273Listed by: KELLER WILLIAMS COASTAL AND LAKES & MOUNTAINS REALTY
$469,000Pending3 beds 2 baths1,554 sq. ft.219 Tandberg Trail, Windham, ME 04062
MLS# 1649184Listed by: GETTY REAL ESTATE SERVICES, LLC
$735,000Active4 beds 3 baths2,390 sq. ft.9 Aerie Drive, Gray, ME 04039
MLS# 1648801Listed by: TOWN & SHORE REAL ESTATE