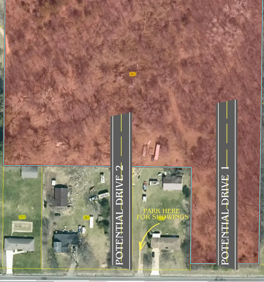
207 7 Mile Nw, Comstock Park, MI 49321
Local realty services provided by:CENTURY 21 Forward Realty, Inc.
207 7 Mile Nw,Comstock Park, MI 49321
$575,000
- 17.4 Acres
- Lots / Land
- Active
Listed by: ashley bodell
Office: bellabay realty (north)
MLS#:26001869
Source:MI_GRAR
Price summary
- Price:$575,000
About this home
Rare opportunity to own 17.08 acres in Alpine Township on 7 Mile Rd NW within the Kenowa Hills School District, conveniently located near Comstock Park and Sparta. This private, versatile parcel offers multiple building and development options. Approved access options include a driveway from the property frontage or a negotiable access point from 281 7 Mile Rd, both reviewed by Alpine Township and the Kent County Road Commission (see attached). R-1 zoning allows the parcel to remain intact or be split into up to 3 residential lots with a shared gravel road and emergency vehicle turnaround. Public water available at the road. City sewer approx. 1,500 feet away (not scheduled for extension through 2029). Seller willing to pursue 2-3 splits for qualified buyers.
Contact an agent
Home facts
- Listing ID #:26001869
- Added:59 day(s) ago
- Updated:March 15, 2026 at 03:06 PM
Structure and exterior
- Lot area:17.4 Acres
- Lot Features:Buildable, Building, Site Condo, Wooded
Utilities
- Water:Public
Finances and disclosures
- Price:$575,000
- Tax amount:$794 (2025)
New listings near 207 7 Mile Nw
- New
$349,900Active4 beds 3 baths1,794 sq. ft.4665 Westshire Drive Nw, Comstock Park, MI 49321
MLS# 26009735Listed by: FELDE REALTY
$349,900Pending3 beds 3 baths2,264 sq. ft.427 Lamoreaux, Comstock Park, MI 49321
MLS# 70518979Listed by: THE LOCAL ELEMENT
$239,900Pending2 beds 2 baths1,104 sq. ft.408 Brady, Comstock Park, MI 49321
MLS# 70518957Listed by: FIVE STAR REAL ESTATE (COURTLAND)
$324,900Pending3 beds 1 baths1,120 sq. ft.4901 Pinedell, Comstock Park, MI 49321
MLS# 70517586Listed by: BELLABAY REALTY (NORTH)
$180,000Active2 beds 1 baths1,077 sq. ft.335 Dana Street Nw, Comstock Park, MI 49321
MLS# 26007626Listed by: KELLER WILLIAMS GR EAST
$509,900Active4 beds 3 baths2,466 sq. ft.4885 Bethpage Drive Nw, Comstock Park, MI 49321
MLS# 26007542Listed by: KENSINGTON REALTY GROUP INC.
$459,900Active2 beds 2 baths1,849 sq. ft.4904 Bethpage Drive Nw, Comstock Park, MI 49321
MLS# 26007543Listed by: KENSINGTON REALTY GROUP INC.
$429,000Pending4 beds 3 baths1,576 sq. ft.158 Teasel, Comstock Park, MI 49321
MLS# 70516984Listed by: EXP REALTY (GRAND RAPIDS)
$329,000Pending4 beds 1 baths1,512 sq. ft.4595 Wakefield Avenue Ne, Comstock Park, MI 49321
MLS# 26006563Listed by: FIVE STAR REAL ESTATE (MAIN)
$299,000Pending3 beds 2 baths1,646 sq. ft.4732 Foxcroft, Comstock Park, MI 49321
MLS# 70515929Listed by: EDISON BROKERS & CO LLC