unit #1 John R, Rochester Hills, MI 48307
Local realty services provided by:CENTURY 21 Realty North
unit #1 John R,Rochester Hills, MI 48307
$69,900
- 0.23 Acres
- Lots / Land
- Active
Listed by: james megalizzi
Office: deed realtors
MLS#:50197102
Source:MI_REALSOURCE
Price summary
- Price:$69,900
About this home
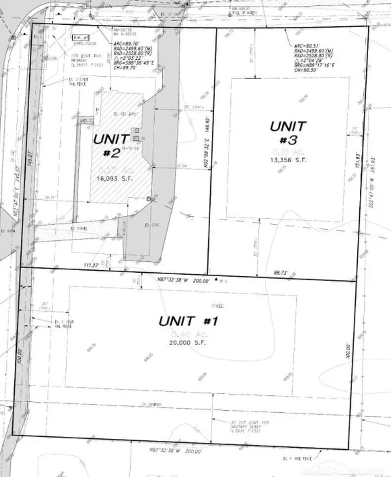
vacant Buildable site condo lots in Rochester hills, Rochester school district! This lot is currently being split from house located at 3851 John R, pre-approval split granted to move forward when all documents filed and approved by city. buyer to assume and be responsible for completion! priced accordingly! gas water sewer hookups all in front at road some improvements needed like sidewalk, ect to complete split. Two site condo lots available. one on michelson adjacent to 3851 John R east of behind house is Unit #3. 2nd lot is south of and adjacent to 3851 John R is Unit #1 there is 30ft easement on this lot at south side. Owner will answer any and all questions regarding whats needed to accomplish split. contact listing agent for Owners contact info!
Contact an agent
Home facts
- Listing ID #:50197102
- Added:53 day(s) ago
- Updated:February 22, 2026 at 11:14 AM
Structure and exterior
- Lot area:0.23 Acres
- Lot Features:Large Lot - 65+ Ft.
Utilities
- Water:Public Water at Street
- Sewer:Public At Street
Finances and disclosures
- Price:$69,900
New listings near unit #1 John R
- New
$344,000Active3 beds 3 baths1,728 sq. ft.1437 Lantern, Rochester Hills, MI
MLS# 60973034Listed by: MICHIGAN HOMES REALTY GROUP - New
$344,000Active3 beds 3 baths2,592 sq. ft.1437 Lantern Lane, RochesterHills, MI 48306
MLS# 20261013117Listed by: MICHIGAN HOMES REALTY GROUP - Open Sat, 12 to 2pmNew
$765,000Active4 beds 3 baths2,938 sq. ft.1930 Nottingham Drive, RochesterHills, MI 48307
MLS# 20261012574Listed by: MAX BROOCK, REALTORS-BIRMINGHAM - New
$899,900Active4 beds 4 baths4,314 sq. ft.1838 S Mackwood Road, RochesterHills, MI 48307
MLS# 20261012757Listed by: BLUESKY REALTY EXPERTS - New
$999,999Active5 beds 6 baths6,520 sq. ft.1364 Tranquility Court, RochesterHills, MI 48306
MLS# 20261001649Listed by: MHR REAL ESTATE LLC - New
$550,000Active4 beds 3 baths2,851 sq. ft.1234 Sandy Ridge, Rochester Hills, MI
MLS# 60972604Listed by: BERKSHIRE HATHAWAY HOMESERVICES MICHIGAN REAL EST - New
$479,900Active3 beds 3 baths1,926 sq. ft.254 Marmoor, Rochester Hills, MI
MLS# 60972520Listed by: EPIQUE REALTY - New
$479,900Active3 beds 3 baths3,126 sq. ft.254 Marmoor Court, RochesterHills, MI 48309
MLS# 20261012343Listed by: EPIQUE REALTY - New
$279,900Active3 beds 3 baths1,300 sq. ft.845 Langdon, Rochester Hills, MI
MLS# 60972381Listed by: RE/MAX FIRST - New
$279,900Active3 beds 3 baths1,800 sq. ft.845 Langdon Court, RochesterHills, MI 48307
MLS# 20261005585Listed by: RE/MAX FIRST