- CENTURY 21 Real Estate
- Minnesota
- Cannon Falls
- XXX County 24 Blvd
XXX County 24 Blvd, Cannon Falls, MN 55009
Local realty services provided by:CENTURY 21 Brainerd Realty, Inc.
XXX County 24 Blvd,Cannon Falls, MN 55009
$195,000
- 2.18 Acres
- Lots / Land
- Active
Listed by: lisa lundell
Office: cannon realty
MLS#:6623020
Source:NSMLS
Price summary
- Price:$195,000
About this home
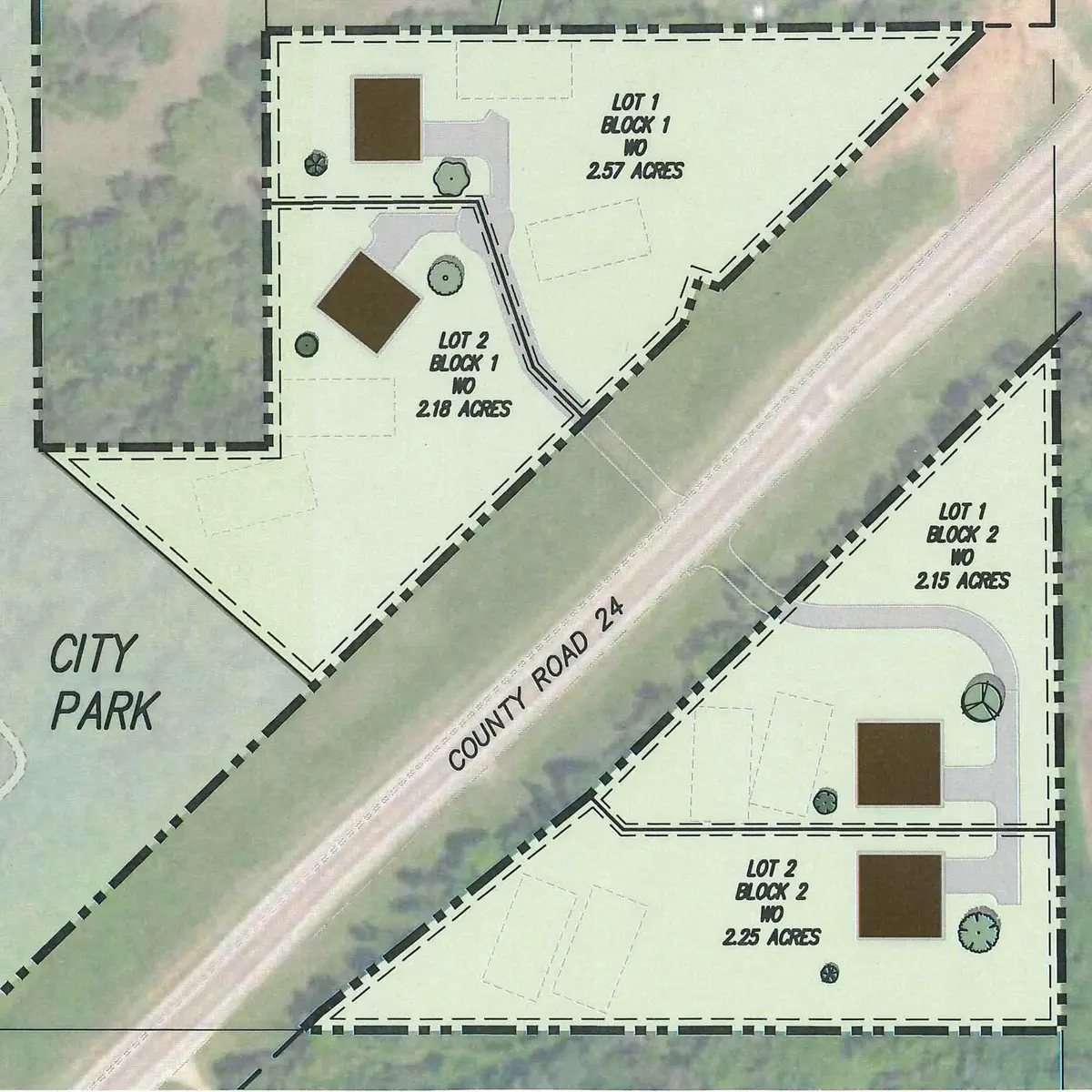
Lot 2 Block 2 in Timber Ridge Estate Lots. Lots have a preliminary plat that has been approved but, open to buyer wants! Currently the preliminary plat shows Two lots within this block Lot 1 is 2.15 acres and Lot 2 is 2.25 acres - or, a buyer can purchase the whole parcel and put one dwelling on the combined acreage. Call for more information ! Great location on blacktop road! Driveway is in!
Contact an agent
Home facts
- Listing ID #:6623020
- Added:461 day(s) ago
- Updated:January 30, 2026 at 12:43 PM
Structure and exterior
- Lot area:2.18 Acres
Finances and disclosures
- Price:$195,000
- Tax amount:$100 (2024)
New listings near XXX County 24 Blvd
- New
$250,000Active3 beds 1 baths816 sq. ft.33987 County 8 Boulevard, Cannon Falls, MN 55009
MLS# 7007116Listed by: PEMBERTON RE - Open Sun, 12 to 1:30pm
$285,000Active3 beds 2 baths1,692 sq. ft.300 Pine Street, Cannon Falls, MN 55009
MLS# 7005481Listed by: WEICHERT, REALTORS- HEARTLAND - Open Sun, 12 to 1:30pm
$285,000Active3 beds 2 baths1,692 sq. ft.300 Pine Street, Cannon Falls, MN 55009
MLS# 7005481Listed by: WEICHERT, REALTORS- HEARTLAND
$298,000Pending2 beds 1 baths1,168 sq. ft.135 Grove Street N, Cannon Falls, MN 55009
MLS# 7005137Listed by: WEICHERT REALTORS-CARNEL & CO.
$249,900Active2 beds 1 baths1,144 sq. ft.1105 Park Street W #3, Cannon Falls, MN 55009
MLS# 7003330Listed by: CANNON REALTY
$129,000Active7.05 Acresxxx Middle Street, Cannon Falls, MN 55009
MLS# 7003602Listed by: CANNON REALTY
$295,000Active2 beds 2 baths1,320 sq. ft.415 9th Street N, Cannon Falls, MN 55009
MLS# 7001519Listed by: CANNON REALTY
$560,000Active4 beds 3 baths2,994 sq. ft.34615 Skunk Hollow Avenue, Cannon Falls, MN 55009
MLS# 6813025Listed by: EDINA REALTY, INC.
$265,000Active5.56 Acresxxx County Road 24 & 63rd Ave, Cannon Falls, MN 55009
MLS# 6820524Listed by: LPT REALTY, LLC
$415,000Active5 beds 3 baths2,384 sq. ft.217 Primrose Lane, Cannon Falls, MN 55009
MLS# 6809966Listed by: KELLER WILLIAMS PREFERRED RLTY