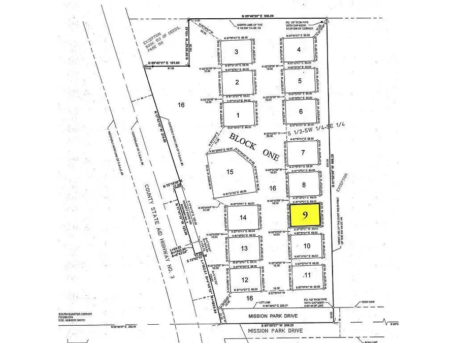
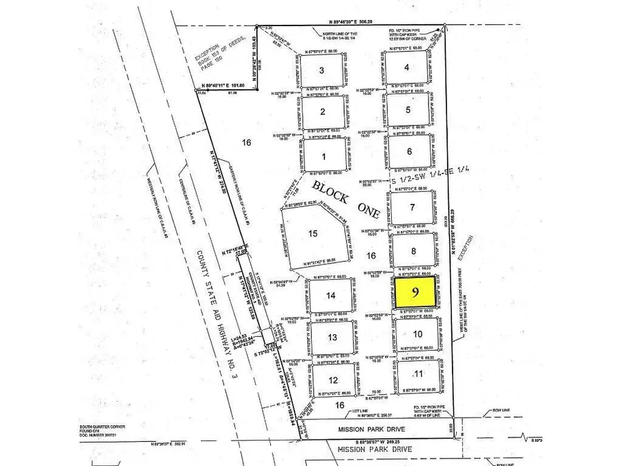
13084 Mission Park Drive - #9, Merrifield, MN 56465
Local realty services provided by:CENTURY 21 FM Realty
13084 Mission Park Drive - #9,Merrifield, MN 56465
$60,000
- 0.07 Acres
- Lots / Land
- Active
Listed by: bruce k larson
Office: larson group real estate/kelle
MLS#:6634425
Source:ND_FMAAR
Price summary
- Price:$60,000
About this home
Check out the new Sportsmans Storage Development that is located in Merrifield at the site of the old Sportsman Store on County Road 3.
Lot size is 48’ x 64’. All building widths to be 48’ and built to the front lot line facing the access drive. Minimum building size 48’ x 48’. Maximum building size 48’ x 64’. Required structure colors - see covenants. Sidewall height - 16’. Overhead door height - 14’ - 18' (width and number of overhead doors are owner's choice). Service door detail - see covenants. Windows - owner’s choice. The burnished brown with black trim is the required color. All units will match the color. The two 18’ doors are only an option, not required. Exterior lighting – all lighting to be downward. The apron is required to be a minimum of 4’ into the common area to a maximum of 18' so as not to obstruct the driveway. Outside storage – prohibited. Interior finish - owner's choice.
Lots will be build-ready. Sportsmans Storage is conveniently close to Pelican Lake, Horseshoe Lake and other lakes in the Merrifield area....
Contact an agent
Home facts
- Listing ID #:6634425
- Added:296 day(s) ago
- Updated:April 14, 2026 at 03:05 PM
Structure and exterior
- Lot area:0.07 Acres
Finances and disclosures
- Price:$60,000
- Tax amount:$284
New listings near 13084 Mission Park Drive - #9
- New
$68,500Active1.2 AcresL2B1 Fawn Lake Road, Merrifield, MN 56465
MLS# 7059618Listed by: LARSON GROUP REAL ESTATE/KELLE - New
$68,500Active1.2 AcresL3B1 Fawn Lake Road, Merrifield, MN 56465
MLS# 7059655Listed by: LARSON GROUP REAL ESTATE/KELLE - New
$68,500Active1.2 AcresL4B1 Fawn Lake Road, Merrifield, MN 56465
MLS# 7059661Listed by: LARSON GROUP REAL ESTATE/KELLE - New
$68,500Active1.2 AcresTBD Fawn Lake Road, Merrifield, MN 56465
MLS# 7059285Listed by: LARSON GROUP REAL ESTATE/KELLE
$600,000Pending4 beds 2 baths2,041 sq. ft.10483 County Road 127, Nisswa, MN 56465
MLS# 7047424Listed by: RE/MAX RESULTS
$525,000Pending5 beds 3 baths2,680 sq. ft.11936 County Road 118, Merrifield, MN 56465
MLS# 7055637Listed by: COUNSELOR REALTY BRAINERD LAKES
$449,900Pending2 beds 1 baths888 sq. ft.28847 Gene Road, Merrifield, MN 56465
MLS# 7033601Listed by: NORTHLAND SOTHEBY'S INTERNATIONAL REALTY
$659,900Active6 beds 4 baths4,600 sq. ft.12913 Dobbins Road, Merrifield, MN 56465
MLS# 7053147Listed by: WOODS TO WATER REAL ESTATE
$650,000Pending0.77 AcresTBD Lakeview Lane, Merrifield, MN 56465
MLS# 7045837Listed by: EDINA REALTY, INC.
$899,900Active4 beds 3 baths3,120 sq. ft.20482 Lord Road, Merrifield, MN 56465
MLS# 7041793Listed by: EXP REALTY