Sw Corner Highway 160 & South Street, Nixa, MO 65714

Local realty services provided by:CENTURY 21 Combs & Associates Real Estate
Listed by: galen b pellham, chris pellham
Office: murney associates - primrose
MLS#:60234239
Source:MO_GSBOR
Sw Corner Highway 160 & South Street,Nixa, MO 65714
$2,950,000
  • 14 Acres
  • Lots / Land
  • Active

Price summary

  • Price:$2,950,000

About this home

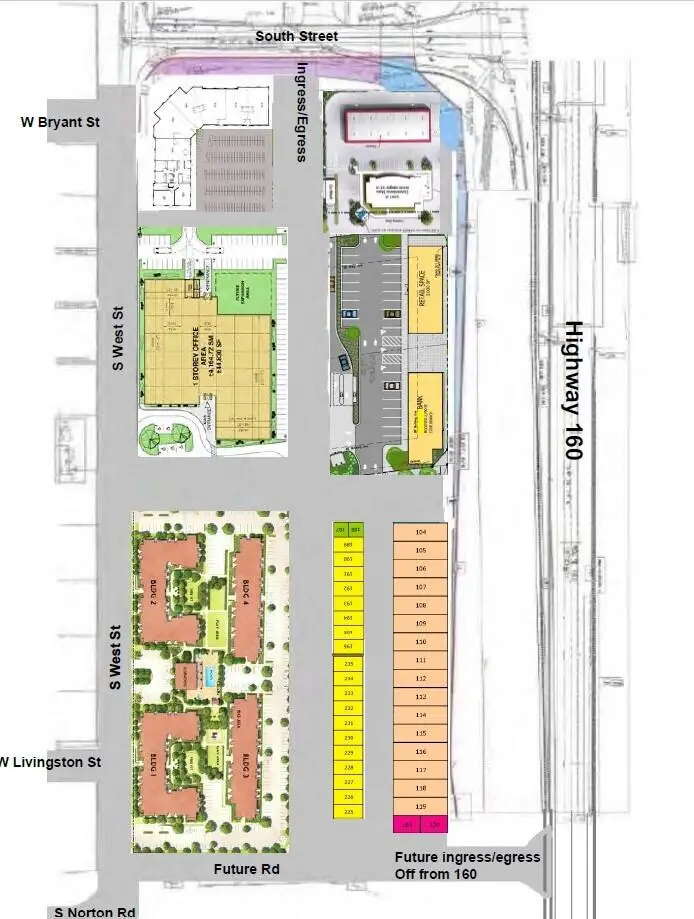
Exceptional 14.0-acre (+/-) development opportunity at the southwest corner of Highway 160 and South Street--the first stoplight intersection south of Hwy 160 and Mt. Vernon. One of the largest undeveloped tracts in the area, this prime corner is zoned for commercial and mixed-use potential, making it ideal for a bank, convenience store, large retail box, car dealership, storage facilities, or a retail/restaurant/office complex, with possibilities for multi-family development. High visibility and accessibility are enhanced by city plans to improve and construct a new street connecting West St. to Hwy 160 at the south end. A rare chance to shape a landmark project in a growing market.

Contact an agent

contact an agent

Yes, I would like more information. Please use and/or share my information with an independent agent affiliated with the CENTURY 21®  brand to contact me about my real estate needs. By clicking Send message, I request to be contacted by phone or text message and consent to being contacted by automated means. I understand that my consent to receive calls or texts is not a condition of purchasing any property, goods, or services. Alternatively, I understand that I can access real estate services by email or I can contact the agent myself.

If an independent agent affiliated with the CENTURY 21®  brand is not available in the area where I need assistance, I agree to be contacted by a real estate agent affiliated with another brand owned or licensed by Anywhere Real Estate (BHGRE® , Coldwell Banker® , Corcoran® , ERA® , Sotheby's International Realty® ).
 I acknowledge that I have read and agree to theTerms of useandPrivacy notice

Home facts

  • Listing ID #:60234239
  • Added:1096 day(s) ago
  • Updated:January 28, 2026 at 04:23 PM

Structure and exterior

  • Lot area:14 Acres

Schools

  • High school:Nixa
  • Middle school:Nixa
  • Elementary school:NX Espy/Inman

Finances and disclosures

  • Price:$2,950,000
  • Tax amount:$4,742 (2022)
Copyright 2026 Southern Missouri MLS. All rights reserved. Listings courtesy of Southern Missouri MLS as distributed by MLS GRID <Last Updated January 28, 2026. Southern Missouri MLS provides content displayed here (“provided content”) on an “as is” basis and makes no representations or warranties regarding the provided content, including, but not limited to those of non-infringement, timeliness, accuracy, or completeness. Individuals and companies using information presented are responsible for verification and validation of information they utilize and present to their customers and clients. Southern Missouri MLS will not be liable for any damage or loss resulting from use of the provided content or the products available through Portals, IDX, VOW, and/or Syndication. Recipients of this information shall not resell, redistribute, reproduce, modify, or otherwise copy any portion thereof without the expressed written consent of Southern Missouri MLS