152 & 138 County Road 131, Wasola, MO 65773

Local realty services provided by:CENTURY 21 Combs & Associates Real Estate
Listed by: amanda watkins
Office: united country missouri ozarks realty inc.
MLS#:60307852
Source:MO_GSBOR
152 & 138 County Road 131,Wasola, MO 65773
$499,900
  • 5 Beds
  • 3 Baths
  • 2,180 sq. ft.
  • Multi-family
  • Active

Price summary

  • Price:$499,900
  • Price per sq. ft.:$229.31

About this home

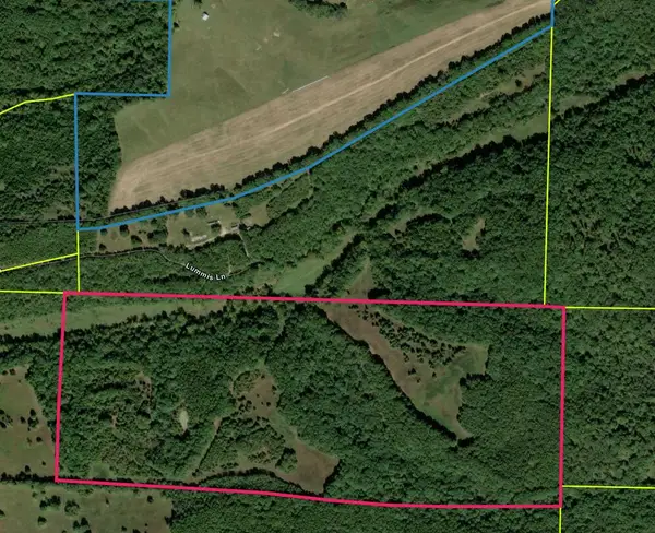
Located just off State Highway 5 in Wasola, in the heart of the beautiful Missouri Ozarks, this 39.5-acre farm offers the perfect blend of productivity, privacy, and income potential. Fully fenced and thoughtfully laid out, the property features three ponds and is comprised of more than half open pasture, making it ideal for cattle, horses, or hobby farming. The wooded acreage includes marketable timber, adding long-term value and natural beauty.The centerpiece of the property is a newly built 1,344 sq ft home completed in 2026. This 3-bedroom, 2-bath residence offers modern construction, energy efficiency, and low-maintenance living in a peaceful rural setting. Whether you're looking for a full-time residence or a weekend retreat, this home provides comfort and convenience surrounded by rolling Ozark countryside.In addition to the main home, the property includes an 836 sq ft, 2-bedroom, 1-bath rental house that is currently leased at $800 per month, offering immediate income. The...

Contact an agent

contact an agent

Yes, I would like more information. Please use and/or share my information with an independent agent affiliated with the CENTURY 21®  brand to contact me about my real estate needs. By clicking Send message, I request to be contacted by phone or text message and consent to being contacted by automated means. I understand that my consent to receive calls or texts is not a condition of purchasing any property, goods, or services. Alternatively, I understand that I can access real estate services by email or I can contact the agent myself.

If an independent agent affiliated with the CENTURY 21®  brand is not available in the area where I need assistance, I agree to be contacted by a real estate agent affiliated with another brand owned or licensed by Anywhere Real Estate (BHGRE® , Coldwell Banker® , Corcoran® , ERA® , Sotheby's International Realty® ).
 I acknowledge that I have read and agree to theTerms of useandPrivacy notice

Home facts

  • Year built:2025
  • Listing ID #:60307852
  • Added:145 day(s) ago
  • Updated:March 12, 2026 at 03:08 PM

Rooms and interior

  • Bedrooms:5
  • Total bathrooms:3
  • Full bathrooms:3
  • Flooring:Carpet
  • Kitchen Description:Dishwasher, Refrigerator
  • Living area:2,180 sq. ft.

Heating and cooling

  • Cooling:Ceiling Fan(s), Central Air
  • Heating:Central, Forced Air
  • Central air:Yes

Structure and exterior

  • Year built:2025
  • Building area:2,180 sq. ft.
  • Lot area:35 Acres
  • Lot Features:Acreage, Cleared, Horses Allowed, Pasture, Paved Frontage, Wooded/Cleared Combo
  • Architectural Style:Country, Ranch
  • Construction Materials:Frame, Vinyl Siding
  • Foundation Description:Block, Crawl Space, Vapor Barrier

Schools

  • High school:Ava
  • Middle school:Ava
  • Elementary school:Ava

Utilities

  • Sewer:Septic Tank

Finances and disclosures

  • Price:$499,900
  • Price per sq. ft.:$229.31
  • Tax amount:$161 (2024)
Copyright 2026 Southern Missouri MLS. All rights reserved. Listings courtesy of Southern Missouri MLS as distributed by MLS GRID <Last Updated March 8, 2026. Southern Missouri MLS provides content displayed here (“provided content”) on an “as is” basis and makes no representations or warranties regarding the provided content, including, but not limited to those of non-infringement, timeliness, accuracy, or completeness. Individuals and companies using information presented are responsible for verification and validation of information they utilize and present to their customers and clients. Southern Missouri MLS will not be liable for any damage or loss resulting from use of the provided content or the products available through Portals, IDX, VOW, and/or Syndication. Recipients of this information shall not resell, redistribute, reproduce, modify, or otherwise copy any portion thereof without the expressed written consent of Southern Missouri MLS