209 Broad Street, Oxford, NC 27565
Local realty services provided by:CENTURY 21 New Beginnings
209 Broad Street,Oxford, NC 27565
$100,000
- 0.51 Acres
- Lots / Land
- Active
Listed by: ann hancock
Office: wills hancock properties, inc.
MLS#:10140977
Source:RD
Price summary
- Price:$100,000
About this home
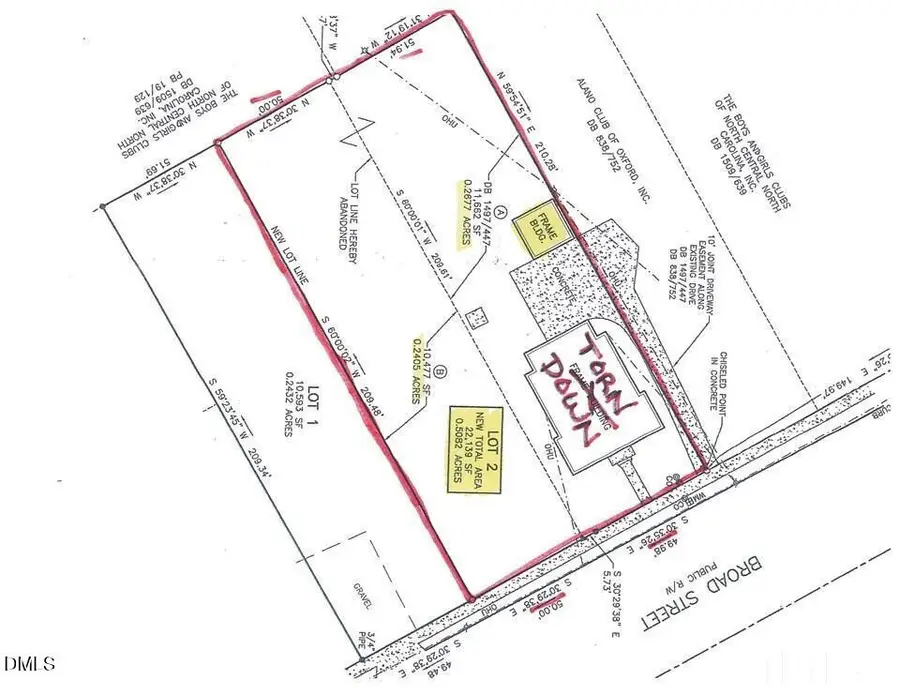
TWO Totally Cleared Commercial lots side by side, zoned Neighborhood Business . Can be SOLD as one recombined lot for $100 k or SOLD Separately : Lot with large SHED for $52 K and Lot with NO structure for $50 K. Good location in downtown Oxford with great drive- by traffic, and near Home Care business, convenient store, & in front of BOYS and GIRLS Club. 2 Parcels (.2677 AC + SHED & .2405 AC w/ No structure .).. Recombined as 'LOT 2' w/ total .5082 AC & Almost 100Ft PAVED Rd Frontage & 210' Deep Lot! City Water/Sewer, Electric were connected in past to former Home which is now torn down! Buried SEWER GRAVITY line/ storm drain PIPE in between the 2 Lots! Can NOT build over Gravity line pipe has 10' set back from each side of line Sewer Manhole in middle. Turquoise colored line in Picture shows location of Sewer Line . 10' Joint Driveway Easement (on right hand side of lot by white house where shrubs have been planted). ZONED HB: some permitted uses are Residential Care Facilities, Heavy Equipment Rental/sales, minor Vehicle Repair, Business support services, Outdoor sales & displays, Medical Clinic,, Restaurant, Child Care, Studio/ Art, Dance, drive-thru facility, Nursey. $100,000 for BOTH LOTS or $52 K & $50 K sold separately. See picture & Docs for complete list of permitted uses. and Set- Back requirements. NO OWNER FINANCING
Contact an agent
Home facts
- Listing ID #:10140977
- Added:55 day(s) ago
- Updated:February 28, 2026 at 01:07 AM
Structure and exterior
- Lot area:0.51 Acres
- Lot Features:Cleared, Driveway, Front Yard, Level, Open Lot
Schools
- High school:Granville - Webb
- Middle school:Granville - N Granville
- Elementary school:Granville - Credle
Utilities
- Water:Public, Water Available
- Sewer:Public Sewer
Finances and disclosures
- Price:$100,000
- Tax amount:$565
New listings near 209 Broad Street
- New
$299,000Active3 beds 2 baths1,182 sq. ft.105 Hybrid Street, Oxford, NC 27565
MLS# 10151526Listed by: GOLDEN REALTY - New
$505,000Active4 beds 3 baths2,522 sq. ft.4098 Charlie Harris Road, Oxford, NC 27565
MLS# 10151180Listed by: THE REAL ESTATE CO. NC | VA - New
$285,000Active4 beds 2 baths2,207 sq. ft.602 Williamsboro Street, Oxford, NC 27565
MLS# 10150771Listed by: NORTHERN POINT REALTY - New
$304,900Active3 beds 2 baths1,172 sq. ft.106 Serrano Way, Oxford, NC 27565
MLS# 10150629Listed by: LGI REALTY NC, LLC - New
$310,900Active3 beds 2 baths1,172 sq. ft.1116 Rhino Bend, Oxford, NC 27565
MLS# 10150632Listed by: LGI REALTY NC, LLC - New
$390,000Active3 beds 2 baths1,706 sq. ft.4334 N Greg Allen Way, Oxford, NC 27565
MLS# 10150305Listed by: FATHOM REALTY NC - New
$75,000Active1.65 Acres5310 Langdon Drive, Oxford, NC 27565
MLS# 10150307Listed by: COLDWELL BANKER HPW
$237,600Active31.68 Acres00 Robert Morgan Road, Oxford, NC 27565
MLS# 10135921Listed by: WILLS HANCOCK PROPERTIES, INC.- New
$295,000Active3 beds 2 baths1,552 sq. ft.4148 Forest Court, Oxford, NC 27565
MLS# 10149650Listed by: LOVETTE PROPERTIES LLC - New
$229,900Active3 beds 1 baths1,345 sq. ft.109 Grace Street, Oxford, NC 27565
MLS# 10149436Listed by: DOWN SOUTH REALTY