0 Greensboro Avenue, Sanford, NC 27330

Local realty services provided by:CENTURY 21 New Beginnings
0 Greensboro Avenue,Sanford, NC 27330
$49,000
  • 0.2 Acres
  • Lots / Land
  • Pending
Listed by: walter ciucevich
Office: lpt realty, llc.
MLS#:10150162
Source:RD

Price summary

  • Price:$49,000

About this home

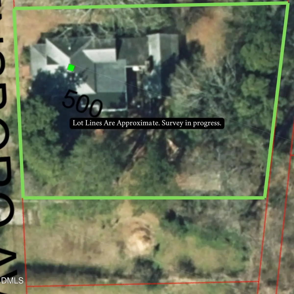
Flat, cleared, build-ready lot in Sanford with UN-6 (Urban Neighborhood) zoning, offering flexible residential development options. The UN-6 district is intended to support traditional neighborhood development patterns near Sanford's urban core and allows single-family homes as well as higher-density residential options such as duplex or small multi-family construction, making this a strong opportunity for both builders and investors. There is city water and sewer at the road and the lot is level, cleared, and requires minimal site work, making it one of the more straightforward building opportunities you'll find in the area. No significant clearing is needed, and grading requirements should be minimal, allowing construction to begin quickly once plans are finalized. This parcel is currently in the process of being subdivided, with the final survey expected shortly. Lot lines are already marked on site, and the photos included in the listing show approximate boundaries for...

Contact an agent

contact an agent

Yes, I would like more information. Please use and/or share my information with an independent agent affiliated with the CENTURY 21®  brand to contact me about my real estate needs. By clicking Send message, I request to be contacted by phone or text message and consent to being contacted by automated means. I understand that my consent to receive calls or texts is not a condition of purchasing any property, goods, or services. Alternatively, I understand that I can access real estate services by email or I can contact the agent myself.

If an independent agent affiliated with the CENTURY 21®  brand is not available in the area where I need assistance, I agree to be contacted by a real estate agent affiliated with another brand owned or licensed by Anywhere Real Estate (BHGRE® , Coldwell Banker® , Corcoran® , ERA® , Sotheby's International Realty® ).
 I acknowledge that I have read and agree to theTerms of useandPrivacy notice

Home facts

  • Listing ID #:10150162
  • Added:49 day(s) ago
  • Updated:April 23, 2026 at 07:46 AM

Structure and exterior

  • Lot area:0.2 Acres

Schools

  • High school:Lee - Lee
  • Middle school:Lee - West Lee
  • Elementary school:Lee - B T Bullock

Utilities

  • Water:Public
  • Sewer:Public Sewer

Finances and disclosures

  • Price:$49,000
  • Tax amount:$2,079
MLS LogoListings marked with a Doorify MLS icon are provided courtesy of the Doorify MLS, of North Carolina, Internet Data Exchange Database. Brokers make an effort to deliver accurate information, but buyers should independently verify any information on which they will rely in a transaction. The listing broker shall not be responsible for any typographical errors, misinformation, or misprints, and they shall be held totally harmless from any damages arising from reliance upon this data. This data is provided exclusively for consumers’ personal, non-commercial use. Copyright 2026 Doorify MLS of North Carolina. All rights reserved.