L-7 Jabbertown, Southport, NC 28461
Local realty services provided by:CENTURY 21 The Realty Group
L-7 Jabbertown,Southport, NC 28461
$629,900
- 7.87 Acres
- Lots / Land
- Active
Listed by: jonathan r mclaughlin
Office: margaret rudd assoc/o.i.
MLS#:100520197
Source:NC_CCAR
Price summary
- Price:$629,900
About this home
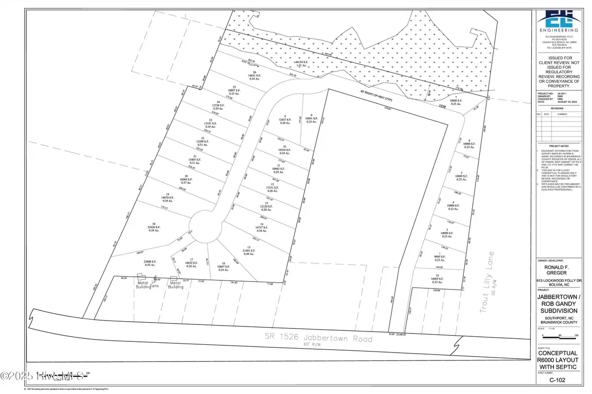
7+ Acre parcel near Southport.
A rare opportunity to build a private estate or develop a custom residential community just minutes from Southport. This expansive 7+ acre parcel offers exceptional flexibility and is one of the few large tracts remaining this close to Southport. ADDED BONUS: Preliminary Site Studies have been completed.
Located just outside the Southport city limits in Brunswick County, the property is zoned R-6000, allowing a wide range of residential possibilities. Homebuyers will appreciate the space, privacy, and peaceful setting, while builders and investors will recognize the strong potential in this rapidly growing area.
If buyer desires to maximize density, a conceptual site plan indicates up to 20 potential lots, making this property well-suited for a small custom neighborhood or residential expansion.
Key Features:
· Over 7 acres in a highly desirable location
· Zoned R-6000 for residential development
· Preliminary Site & Soil Evaluation completed
· Preliminary Wetland Delineation completed
· Conceptual site plan showing ~20 potential lots is available
· Minutes from Southport, Oak Island, and area beaches
Enjoy the tranquility of suburban living with quick access to waterfront charm, historic downtown Southport, and Brunswick County's most popular beaches.
Contact an agent
Home facts
- Listing ID #:100520197
- Added:207 day(s) ago
- Updated:February 13, 2026 at 11:20 AM
Structure and exterior
- Lot area:7.87 Acres
Schools
- High school:South Brunswick
- Middle school:South Brunswick
- Elementary school:Southport
Finances and disclosures
- Price:$629,900
New listings near L-7 Jabbertown
- New
$1,875,000Active4 beds 4 baths2,583 sq. ft.14 Dowitcher Trail, Southport, NC 28461
MLS# 100554015Listed by: INTRACOASTAL REALTY - Open Sun, 1 to 2:30pmNew
$1,199,000Active4 beds 4 baths3,072 sq. ft.3859 Fairhaven Drive, Southport, NC 28461
MLS# 100554019Listed by: ST JAMES PROPERTIES LLC - New
$385,000Active3 beds 2 baths1,718 sq. ft.4223 Cherry Laurel Drive Se, Southport, NC 28461
MLS# 100554024Listed by: MARGARET RUDD ASSOC/SP - New
$732,110Active3 beds 4 baths2,615 sq. ft.2031 Oakton Drive #8, Southport, NC 28461
MLS# 100553616Listed by: SM NORTH CAROLINA BROKERAGE LLC - New
$449,900Active3 beds 2 baths2,074 sq. ft.1268 S Shore Drive, Southport, NC 28461
MLS# 100553911Listed by: BERKSHIRE HATHAWAY HOMESERVICES CAROLINA PREMIER PROPERTIES - Open Sat, 1 to 3pmNew
$675,000Active3 beds 3 baths2,885 sq. ft.3361 Drift Tide Way, Southport, NC 28461
MLS# 100553869Listed by: EXP REALTY - New
$959,990Active4 beds 4 baths3,370 sq. ft.3807 Ridge Crest Drive, Southport, NC 28461
MLS# 100553881Listed by: INTRACOASTAL REALTY CORP - Open Sat, 2 to 4pmNew
$1,349,000Active3 beds 3 baths3,042 sq. ft.209 Clarendon Avenue, Southport, NC 28461
MLS# 100553836Listed by: BERKSHIRE HATHAWAY HOMESERVICES CAROLINA PREMIER PROPERTIES
$23,000Pending0.25 Acres4763 Longview Drive Se, Southport, NC 28461
MLS# 100552513Listed by: 13 MILE REALTY, LLC- New
$1,149,000Active4 beds 5 baths3,745 sq. ft.3465 St James Drive Se, Southport, NC 28461
MLS# 100553597Listed by: DISCOVER NC HOMES