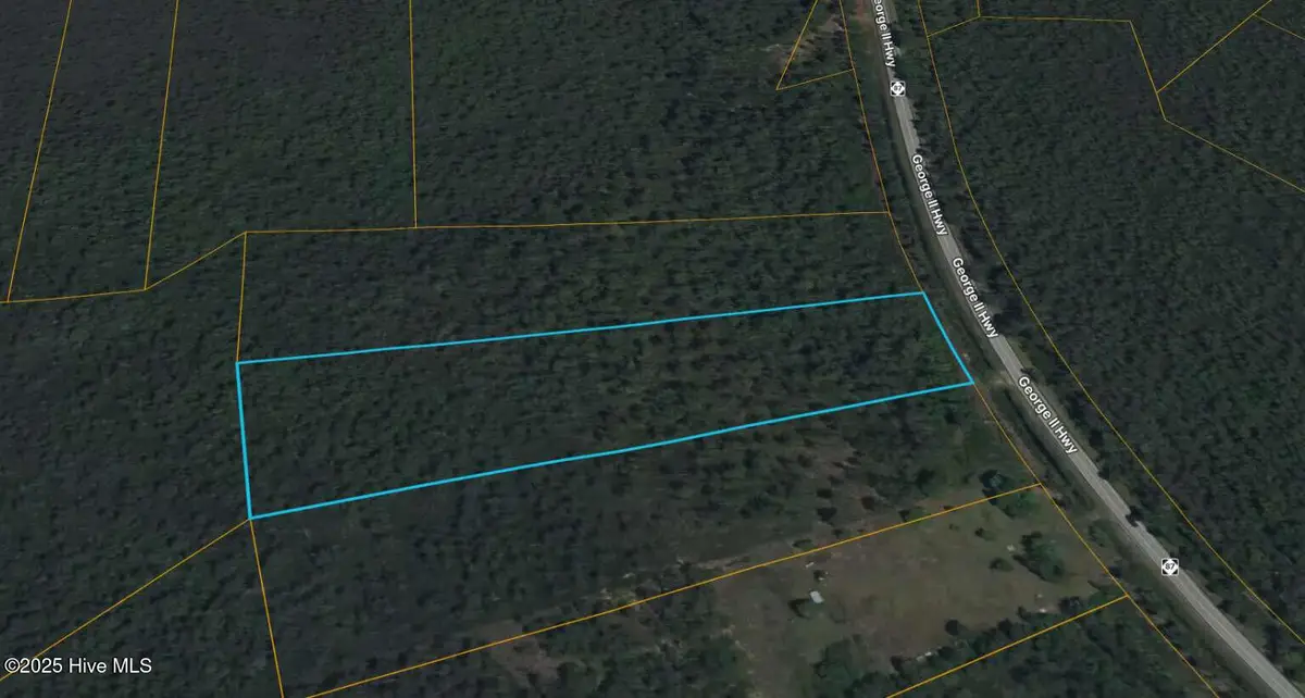
0 George Ii Highway Se, Winnabow, NC 28479
Local realty services provided by:CENTURY 21 Triangle Group
0 George Ii Highway Se,Winnabow, NC 28479
$89,900
- 5.5 Acres
- Lots / Land
- Active
Listed by: nicholas huscroft
Office: chosen realty of nc
MLS#:100542718
Source:NC_CCAR
Price summary
- Price:$89,900
About this home
Surrounded by quiet woodlands and the soothing rhythm of coastal Carolina, this 5.5-acre parcel offers a rare blend of natural beauty, privacy, and wide-open space for
your dream home. The land's calming atmosphere and pockets of usable high ground invite you to create a lifestyle centered around nature, serenity, and the
freedom to design your own slice of country living. Whether you're envisioning a full-time residence or a peaceful getaway, this property gives you a tranquil and inspiring canvas. Conveniently located along Hwy 87 with direct paved road frontage, this parcel provides easy access while remaining surrounded by a largely residential, quiet stretch of rural Brunswick County. Power and water are likely available nearby based on
surrounding homes, with septic feasibility dependent on a perc test—made promising by a significant dry strip of land where neighboring residences are successfully built.
Zoned C-1 but situated among residential properties and free of HOAs or deed
Contact an agent
Home facts
- Listing ID #:100542718
- Added:63 day(s) ago
- Updated:January 28, 2026 at 11:11 AM
Structure and exterior
- Lot area:5.5 Acres
Schools
- High school:South Brunswick
- Middle school:South Brunswick
- Elementary school:Bolivia
Finances and disclosures
- Price:$89,900
New listings near 0 George Ii Highway Se
- New
$1,575,000Active28.48 Acres765 George Ii Highway Se, Winnabow, NC 28479
MLS# 100551580Listed by: INTRACOASTAL REALTY - New
$1,575,000Active3 beds 2 baths1,704 sq. ft.765 George Ii Highway Se, Winnabow, NC 28479
MLS# 100551454Listed by: INTRACOASTAL REALTY - New
$269,990Active3 beds 2 baths1,307 sq. ft.821 Haw Creek Avenue Ne, Winnabow, NC 28479
MLS# 100551261Listed by: NEXTHOME CAPE FEAR
$338,365Pending3 beds 3 baths1,910 sq. ft.810 Haw Creek Avenue Ne, Winnabow, NC 28479
MLS# 100551255Listed by: NEXTHOME CAPE FEAR- New
$349,000Active3 beds 2 baths1,416 sq. ft.9634 Large Oak Court, Winnabow, NC 28479
MLS# 100551246Listed by: KELLER WILLIAMS INNOVATE-WILMINGTON
$250,000Pending4 beds 2 baths1,755 sq. ft.110 Cayman Court, Winnabow, NC 28479
MLS# 100550753Listed by: REAL BROKER LLC- New
$254,900Active3 beds 2 baths1,352 sq. ft.6823 Lewis Drive Se, Winnabow, NC 28479
MLS# 100550679Listed by: COLDWELL BANKER SEA COAST ADVANTAGE - New
$1,099,999Active5 beds 3 baths3,560 sq. ft.4224 Cobleskill Drive, Leland, NC 28451
MLS# 100550581Listed by: KELLER WILLIAMS INNOVATE-WILMINGTON - New
$265,000Active6.07 Acres2123 Cherrytree Road Ne, Winnabow, NC 28479
MLS# 100550250Listed by: COLDWELL BANKER SEA COAST ADVANTAGE - New
$435,000Active4 beds 3 baths2,231 sq. ft.5338 Kincaid Place, Winnabow, NC 28479
MLS# 100550160Listed by: OLEANDER REAL ESTATE LLC