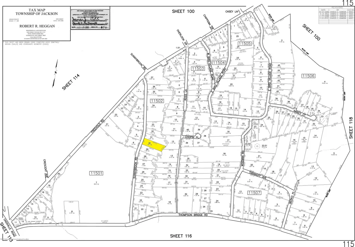
0 Sunnybrook Road, Jackson, NJ 08527
Local realty services provided by:CENTURY 21 Mack-Morris Iris Lurie Inc
0 Sunnybrook Road,Jackson, NJ 08527
$179,990
- 1.51 Acres
- Lots / Land
- Active
Listed by: joel schachner
Office: erealty advisors, inc.
MLS#:22536077
Source:NJ_MOMLS
Price summary
- Price:$179,990
About this home
This rare 1.5-acre vacant lot in Jackson's R-1 zone offers one of the largest parcels on the block, with 120+ feet of frontage (variance likely needed) and excellent potential for a custom single-family home. The property backs directly to the C-1 conservation zone and Toms River, providing outstanding privacy and long-term protection from any rear development. Major environmental work has already been completed, including a DEP LOI and Flood Hazard approval, giving buyers confidence and reducing both time and risk. Septic is required, and the lot provides ample room for a proposed system, subject to a plot plan. Due to its size, depth, and conservation setback, the site is a strong variance candidate and ideal for a builder, investor, or end-user seeking a large, (cont.) secluded homesite. With the heavy lifting already handled, those familiar with Jackson's variance process may be able to complete approvals in as little as 4-8 months. The surrounding area continues to grow in demand, and multiple houses of worship are within walking distance, adding to the appeal of this up-and-coming neighborhood.
Contact an agent
Home facts
- Listing ID #:22536077
- Added:83 day(s) ago
- Updated:February 10, 2026 at 04:06 PM
Structure and exterior
- Lot area:1.51 Acres
- Lot Features:Wooded
Finances and disclosures
- Price:$179,990
- Tax amount:$2,860 (2025)
New listings near 0 Sunnybrook Road
- Open Sun, 12 to 3pmNew
$830,000Active4 beds 4 baths2,702 sq. ft.14 Bittersweet Drive, Jackson, NJ 08527
MLS# 22604838Listed by: KELLER WILLIAMS REALTY EAST MONMOUTH - New
$649,000Active3 beds 2 baths1,672 sq. ft.638 Freehold Road, Jackson, NJ 08527
MLS# 22604830Listed by: CROSSROADS REALTY SAPPHIRE GROUP - Open Sat, 2 to 4pmNew
$649,900Active3 beds 2 baths1,697 sq. ft.536 Deer Creek Court, Jackson, NJ 08527
MLS# 22604817Listed by: JACK GREEN REALTY - New
$349,900Active2 beds 2 baths14 Stewart Court, Jackson, NJ 08527
MLS# 22604805Listed by: COLDWELL BANKER REALTY - Coming SoonOpen Sun, 12 to 3pm
$999,000Coming Soon4 beds 4 baths433 Meadowood Road, Jackson, NJ 08527
MLS# 22604707Listed by: WEICHERT REALTORS-TOMS RIVER - New
$309,900Active2 beds 1 baths1,219 sq. ft.105 Whispering Oaks Way, Jackson, NJ 08527
MLS# 22604687Listed by: EXIT REALTY JACKSON NJ - Open Sun, 1 to 3pmNew
$599,990Active4 beds 3 baths1,840 sq. ft.129 Andover Road, Jackson, NJ 08527
MLS# 22604634Listed by: C21/ ACTION PLUS REALTY - Coming Soon
$245,000Coming Soon1 beds 1 baths307 Owls Nest Court, Jackson, NJ 08527
MLS# 22604652Listed by: DEFELICE REALTY GROUP, LLC - New
$112,000Active0.29 Acres0 Solar Avenue, Jackson, NJ 08527
MLS# 22604630Listed by: KELLER WILLIAMS REALTY MONMOUTH/OCEAN - New
$731,000Active4 beds 2 baths1,660 sq. ft.18 Liverpool Court, Jackson, NJ 08527
MLS# 22604624Listed by: GOLDSTONE REALTY