1599 Route 9, Toms River, NJ 08755
Local realty services provided by:CENTURY 21 Schlossbach Realty
1599 Route 9,Toms River, NJ 08755
$18,000,000
- 22.7 Acres
- Lots / Land
- Active
Listed by: michael h little
Office: keller williams shore properties
MLS#:22609278
Source:NJ_MOMLS
Price summary
- Price:$18,000,000
About this home
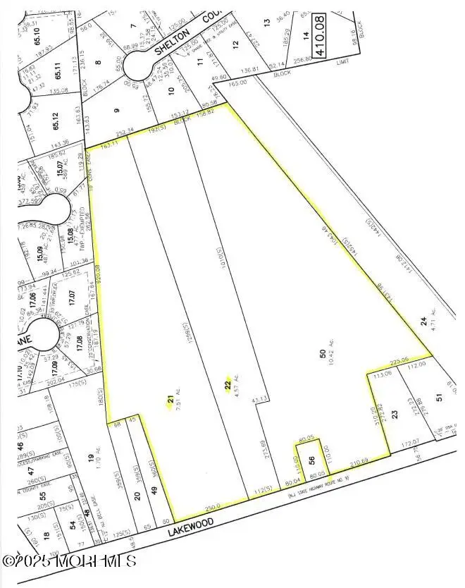
REICH FARM FOR SALE!! AMAZINIG OPPORTUNITY!! ATTENTION DEVELOPERS/BUILDERS!! One of the last largest parcels of property in Toms River in the LIGHT INDUSTRIAL ZONE on Hwy Rt 9.... Total 22.7 Acres with: APPROVED LAND-1593 Rt 9 w/4.57 Acres***1599 Rt 9 w/7.51 Acres***1593 & 1599 Rt.9 are currently APPROVED for 91,650 sqft of SELF STORAGE...73,686 sqft of WAREHOUSE & 11,252 sqft of OFFICE!! ***The adjoining property is 10.62 Acres & Currently no approvals or concept plan but could develop up to 152,000 sqft of WAREHOUSE or a similar use.***UNAPPROVED LAND-1579 Rt9 w/ 10.42 Acres***1581 Rt 9 w/0.2 acres. BUILDERS/DEVELOPERS & INVESTERS..**PERMITTED USES FOR THIS PROPERTY INCLUDE Light manufacturing, the ware housing & storage of goods & products, excluding the warehousing of storage of hazardous chemicals, Wholesaling or distributing establishments except for used automobiles, Scientific or research laboratories, Executive or administrative office of an industrial or business concern which are not normally involved in conducting business w/ the general public, Federal/State/County & Municipal building grounds. Essential services. Motor vehicle repair garages. Child-Care Centers. Hotels & Motels containing 100 or more units. Mini Warehouse facilities, including one dwelling....
Contact an agent
Home facts
- Listing ID #:22609278
- Added:43 day(s) ago
- Updated:May 21, 2026 at 02:32 PM
Structure and exterior
- Lot area:22.7 Acres
- Lot Features:Level
Finances and disclosures
- Price:$18,000,000
New listings near 1599 Route 9
- New
$409,900Active2 beds 2 baths1,750 sq. ft.1603 Lacebark Road, Toms River, NJ 08755
MLS# 22614837Listed by: THE GALLERY RESIDENTIAL BROKERAGE - New
$439,000Active3 beds 1 baths1,196 sq. ft.5 Tilton Avenue, Toms River, NJ 08757
MLS# 22614985Listed by: EXIT REALTY JERSEY SHORE - Coming Soon
$2,495,000Coming Soon4 beds 3 baths31 Cranmoor Drive, Toms River, NJ 08753
MLS# 22614994Listed by: KELLER WILLIAMS SHORE PROPERTIES - New
$375,000Active2 beds 2 baths1,509 sq. ft.2 Blyth Court, Toms River, NJ 08757
MLS# 22614974Listed by: KELLER WILLIAMS PREFERRED PROPERTIES,BAYVILLE - New
$579,900Active3 beds 2 baths1,504 sq. ft.1025 Monmouth Avenue, Toms River, NJ 08757
MLS# 22614935Listed by: KELLER WILLIAMS PREFERRED PROPERTIES, MANAHAWKIN - New
$499,000Active3 beds 2 baths1,623 sq. ft.176 Liberty Bell Road, Toms River, NJ 08755
MLS# 22614941Listed by: 1ST CLASS REAL ESTATE AGENCY - New
$1,575,000Active4 beds 4 baths3,100 sq. ft.3235 Osborn Terrace, Toms River, NJ 08753
MLS# 22614950Listed by: CASSESE REALTORS - Open Sat, 12 to 2pmNew
$2,400,000Active4 beds 4 baths2,704 sq. ft.657 Bayview Drive, Toms River, NJ 08753
MLS# 22614954Listed by: RE/MAX REVOLUTION - New
$609,000Active3 beds 3 baths1,415 sq. ft.1424 Eighth Avenue, Toms River, NJ 08757
MLS# 22614959Listed by: RE/MAX AT BARNEGAT BAY - Coming Soon
$589,000Coming Soon4 beds 2 baths1632 2nd Avenue #1632, Toms River, NJ 08757
MLS# 22614964Listed by: C21/ SOLID GOLD REALTY