38 Thomas J Rhodes Indust Dr, Trenton, NJ 08619
Local realty services provided by:CENTURY 21 Downtown
38 Thomas J Rhodes Indust Dr,Trenton, NJ 08619
$5,000,000
- - Beds
- - Baths
- 330,000 sq. ft.
- Farm
- Active
Listed by: jeffrey bisk
Office: rohrer real estate
MLS#:NJME2072984
Source:BRIGHTMLS
Price summary
- Price:$5,000,000
- Price per sq. ft.:$15.15
About this home
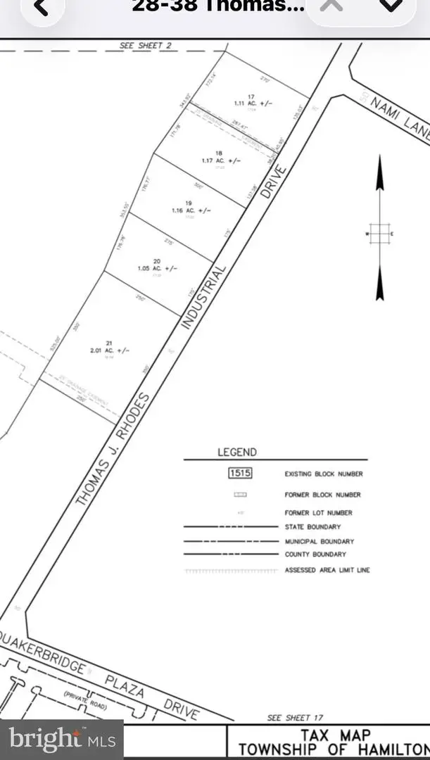
The final development opportunity within the desirable and strategic Hamilton Corporate Center.
The property is fully serviced with natural gas, public sewer, public water, and high‑speed fiber All all on site and available for immediate industrial deployment.
This rare industrial opportunity supports a wide range of uses, including but not limited to data center, manufacturing, IOS, commercial, storage cannabis and institutional programs, all within a proven, business‑friendly municipality known for predictable execution.
Seller will deliver the property fully entitled and shovel‑ready at Seller’s expense, aligned with Purchaser’s engineering site plan and architectural vision, ensuring a streamlined path from acquisition to construction.
With approximately 1,200 feet of frontage along TJR, an average depth of 275 feet, and 331,000 square feet across combined parcels, the site offers exceptional visibility, access, and development flexibility.
Conceptuals, soil reports, and detailed site materials are available upon request.
The property is not farmland preserved and is offered as fee simple ownership.
Contact an agent
Home facts
- Year built:2026
- Listing ID #:NJME2072984
- Added:4 day(s) ago
- Updated:February 27, 2026 at 02:30 PM
Rooms and interior
- Living area:330,000 sq. ft.
Structure and exterior
- Year built:2026
- Building area:330,000 sq. ft.
- Lot area:7.6 Acres
- Lot Features:Additional Lot(s), Urban
- Levels:3 Story
Utilities
- Water:Public
- Sewer:Public Sewer
Finances and disclosures
- Price:$5,000,000
- Price per sq. ft.:$15.15
- Tax amount:$11,000 (2025)
Features and amenities
- Amenities:200+ Amp Service, Natural Gas Available, Underground Utilities
New listings near 38 Thomas J Rhodes Indust Dr
- Coming Soon
$485,000Coming Soon1 beds -- baths713 W State St, TRENTON, NJ 08618
MLS# NJME2072934Listed by: KELLER WILLIAMS PREMIER - New
$191,000Active3 beds 1 baths1,404 sq. ft.413 Monmouth St, TRENTON, NJ 08609
MLS# NJME2073104Listed by: RADIANCE REALTY & ASSOCIATES - New
$200,000Active2 beds -- baths1,474 sq. ft.115 Fulton St, TRENTON, NJ 08611
MLS# NJME2073062Listed by: REMAX WELCOME HOME - New
$275,000Active3 beds 3 baths1,672 sq. ft.46 Louise Ln, TRENTON, NJ 08618
MLS# NJME2072992Listed by: EXP REALTY, LLC - New
$5,000,000Active7.6 Acres38 Thomas J Rhodes Indust Dr, TRENTON, NJ 08619
MLS# NJME2072974Listed by: ROHRER REAL ESTATE - Open Sun, 12 to 2pmNew
$700,000Active4 beds 3 baths2,242 sq. ft.23 Sundew Dr, TRENTON, NJ 08638
MLS# NJME2072908Listed by: QUEENSTON REALTY, LLC - New
$125,000Active0.17 Acres0 Berg Ave, TRENTON, NJ 08610
MLS# NJME2072922Listed by: WEICHERT REALTORS-PRINCETON JUNCTION - New
$375,000Active4 beds -- baths2,295 sq. ft.146 W Hanover St, TRENTON, NJ 08618
MLS# NJME2072758Listed by: COMPASS NEW JERSEY, LLC - MOORESTOWN - New
$275,000Active6 beds 1 baths2,182 sq. ft.284 Bellevue Ave, TRENTON, NJ 08618
MLS# NJME2072782Listed by: COMPASS NEW JERSEY, LLC - MOORESTOWN