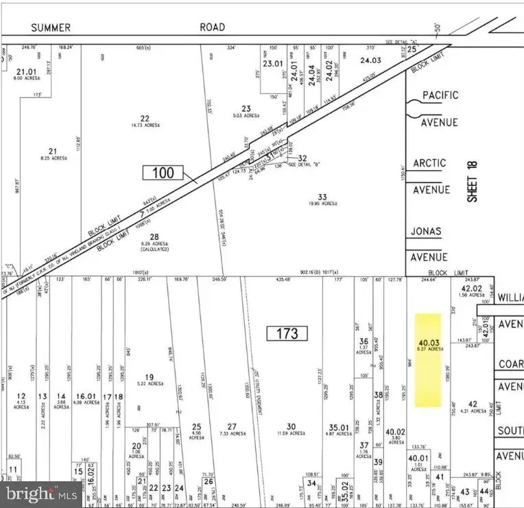
Block 173 Lot 40.03 Wheat Rd, Vineland, NJ 08360
Local realty services provided by:CENTURY 21 Harbor Realty
Block 173 Lot 40.03 Wheat Rd,Vineland, NJ 08360
$115,000
- 5.71 Acres
- Lots / Land
- Active
Listed by: nancy michelle hund
Office: exp realty, llc.
MLS#:NJAC2018814
Source:BRIGHTMLS
Price summary
- Price:$115,000
About this home
Great opportunity to own land with long-term potential in desirable Buena Vista Township, Atlantic County. Endless possibilities—build one home or up to six! Prime secluded land with exciting upside. Preliminary subdivision approval is in place, and the access road has already been deeded to the Boro,
offering a strong starting point for future development; any additional concepts— a private home(s) or alternate development—are subject to Buena Vista Township variances and approvals. Buyer must conduct their own due diligence regarding zoning, approvals, and development potential. Enjoy a peaceful setting with easy access to Routes 40/322, nearby shopping, dining, and everyday conveniences.
Note: Seller and Listing Broker make no warranties or representations, expressed or implied, regarding the accuracy of information. All information is deemed reliable but not guaranteed.
Contact an agent
Home facts
- Listing ID #:NJAC2018814
- Added:333 day(s) ago
- Updated:April 27, 2026 at 01:32 PM
Structure and exterior
- Lot area:5.71 Acres
Utilities
- Sewer:No Septic System, No Sewer System
Finances and disclosures
- Price:$115,000
- Tax amount:$392 (2024)
New listings near Block 173 Lot 40.03 Wheat Rd
- New
$325,000Active4 beds 2 baths1,276 sq. ft.221 S 4th St, VINELAND, NJ 08360
MLS# NJCB2030172Listed by: COLDWELL BANKER EXCEL REALTY - New
$300,000Active3 beds 2 baths1,170 sq. ft.576 N Mill Rd, VINELAND, NJ 08360
MLS# NJCB2030182Listed by: KELLER WILLIAMS REALTY - WASHINGTON TOWNSHIP - Coming SoonOpen Sat, 12 to 2pm
$419,000Coming Soon4 beds 3 baths2201 Musterel Ln, VINELAND, NJ 08361
MLS# NJCB2030138Listed by: FATHOM REALTY NJ, LLC - New
$249,900Active4 beds 2 baths1,290 sq. ft.796 S 8th St, VINELAND, NJ 08360
MLS# NJCB2030166Listed by: BETTER HOMES AND GARDENS REAL ESTATE MATURO - New
$379,900Active3 beds 2 baths1,388 sq. ft.2454 Bella Rosa Ct, VINELAND, NJ 08361
MLS# NJCB2030120Listed by: COLLINI REAL ESTATE LLC - Coming Soon
$339,900Coming Soon3 beds 2 baths7 Glenn Ter, VINELAND, NJ 08360
MLS# NJCB2030154Listed by: ATLAS REAL ESTATE - New
$285,900Active4 beds 1 baths1,428 sq. ft.719 S Valley Ave, VINELAND, NJ 08360
MLS# NJCB2030134Listed by: OMNI REAL ESTATE PROFESSIONALS - New
$29,900Active2 beds 1 baths780 sq. ft.4191 Lake Road, NEWFIELD, NJ 08344
MLS# NJGL2072202Listed by: REAL BROKER, LLC - New
$240,000Active2 beds 1 baths840 sq. ft.2871 Alberic St, VINELAND, NJ 08360
MLS# NJGL2072178Listed by: COLLINI REAL ESTATE LLC - New
$300,000Active3 beds 1 baths1,422 sq. ft.570 Bradford Dr, VINELAND, NJ 08360
MLS# NJCB2030060Listed by: KELLER WILLIAMS PRIME REALTY