132 Repucci Frst Road, Elka Park, NY 12427
Local realty services provided by:CENTURY 21 Stoeckeler Real Estate
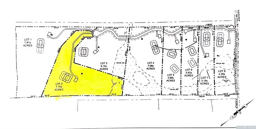
132 Repucci Frst Road,Elka Park, NY 12427
$240,000
- 7.7 Acres
- Lots / Land
- Pending
Listed by: mark mcalpine
Office: compass greater new york, llc.
MLS#:20260438
Source:NY_MLSUC
Price summary
- Price:$240,000
About this home
Discover the enchanting allure of the Catskills at this exclusive 8-lot subdivision. 132 Repucci Forest Rd is a new private road off of Clum Hill Rd located on a new private road. The lot comes with approved septic plans and buried electric line running along the private road, ensuring convenience and readiness for building your dream mountain home. The surrounding pristine forest is preserved, offering a serene and natural setting.Situated just minutes from Hunter and Windham Mountains, this location is perfect for skiing enthusiasts. Enjoy the nearby restaurants and shops in Tannersville, or explore incredible hiking trails at Kaaterskill Falls and the Hunter Mt fire tower.The last available large lot offers possible potential mountain views. The untouched forested lot provide year-round appeal, inviting you to select the perfect site for your new home.
Contact an agent
Home facts
- Listing ID #:20260438
- Added:78 day(s) ago
- Updated:April 18, 2026 at 07:44 AM
Structure and exterior
- Lot area:7.7 Acres
- Lot Features:Secluded, Wooded
Finances and disclosures
- Price:$240,000
- Tax amount:$1,000
New listings near 132 Repucci Frst Road
- New
$160,000Active5 Acres4 Corfu Road, Elka Park, NY 12427
MLS# 20261575Listed by: WIN MORRISON REALTY - W - New
$170,000Active5 Acres5 Corfu Road, Elka Park, NY 12427
MLS# 20261576Listed by: WIN MORRISON REALTY - W - New
$180,000Active5.4 Acres6 Corfu Road, Elka Park, NY 12427
MLS# 20261577Listed by: WIN MORRISON REALTY - W - New
$360,000Active18.2 Acres8 Corfu Road, Elka Park, NY 12427
MLS# 20261579Listed by: WIN MORRISON REALTY - W - New
$260,000Active9.1 Acres9 Corfu Road, Elka Park, NY 12427
MLS# 20261581Listed by: WIN MORRISON REALTY - W - New
$1,300,000Active3 beds 2 baths3,240 sq. ft.300 Josh Road N, Elka Park, NY 12427
MLS# 20261572Listed by: KELLER WILLIAMS REALTY HV NORT - New
$140,000Active5 Acres1 Corfu Road, Elka Park, NY 12427
MLS# 20261573Listed by: WIN MORRISON REALTY - W - New
$150,000Active4.7 Acres3 Corfu Road, Elka Park, NY 12427
MLS# 20261574Listed by: WIN MORRISON REALTY - W
$300,000Active10 AcresTbd Roaring Kill Road, Elka Park, NY 12427
MLS# 20261393Listed by: COMPASS GREATER NEW YORK, LLC
$419,000Pending3 beds 1 baths836 sq. ft.1621 Platte Clove Road, Elka Park, NY 12427
MLS# 20260887Listed by: COLDWELL BANKER VILLAGE GREEN