Mcsorley Drive, Ossining, NY 10562

Local realty services provided by:CENTURY 21 Ed & Margaret Williams Realty
Mcsorley Drive,Ossining, NY 10562
$839,000
  • 6 Acres
  • Lots / Land
  • Active
Listed by: donald utschig
Office: maxwell jacobs, inc.
MLS#:958058
Source:OneKey MLS

Price summary

  • Price:$839,000

About this home

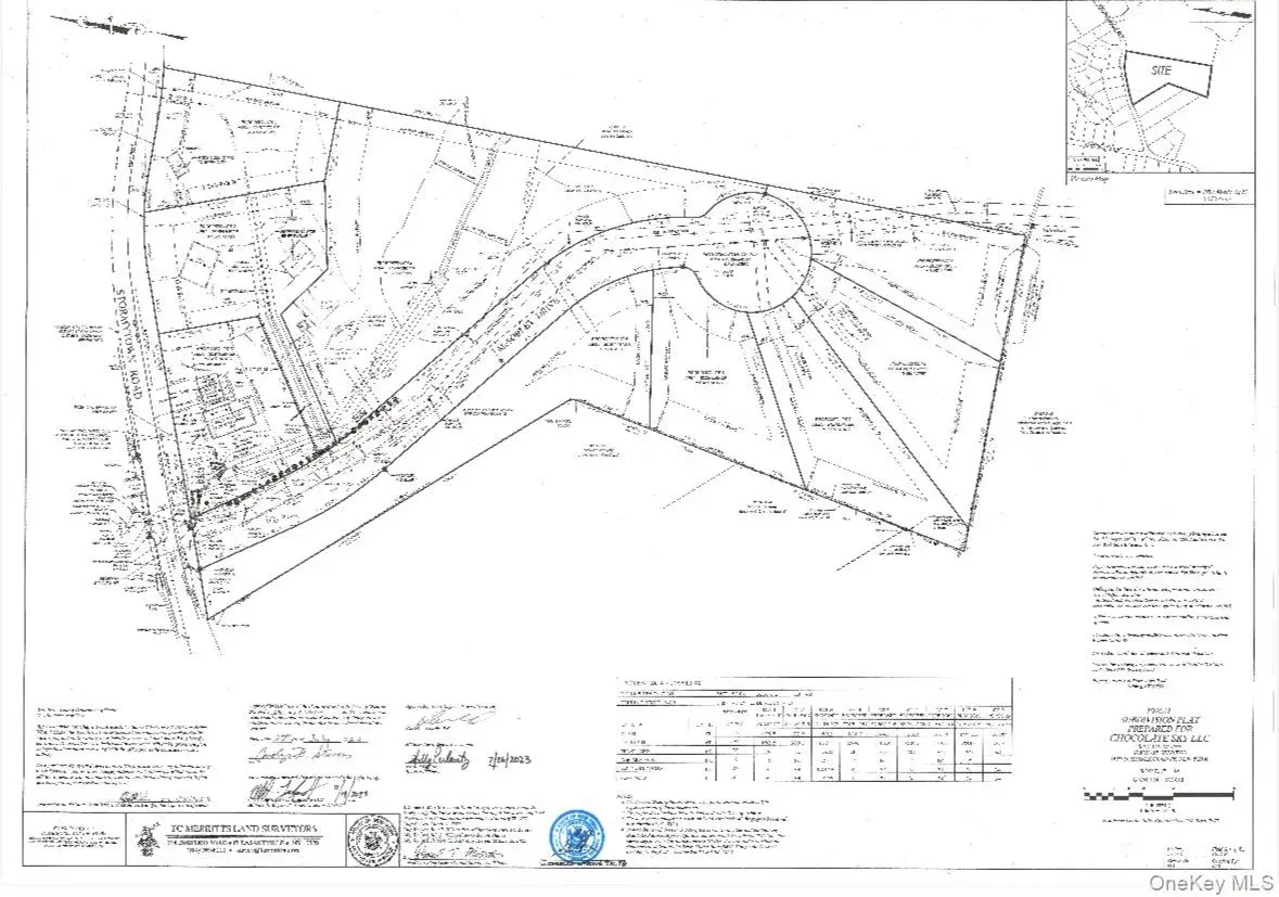
8 approved building lots in the Town Of Ossining. The sub division map has been recorded with Westchester County and the project is approved and ready to be built. Please look up 39 Stormytown RD. The property was sub divided from this parcel.

Contact an agent

contact an agent

Yes, I would like more information. Please use and/or share my information with an independent agent affiliated with the CENTURY 21®  brand to contact me about my real estate needs. By clicking Send message, I request to be contacted by phone or text message and consent to being contacted by automated means. I understand that my consent to receive calls or texts is not a condition of purchasing any property, goods, or services. Alternatively, I understand that I can access real estate services by email or I can contact the agent myself.

If an independent agent affiliated with the CENTURY 21®  brand is not available in the area where I need assistance, I agree to be contacted by a real estate agent affiliated with another brand owned or licensed by Anywhere Real Estate (BHGRE® , Coldwell Banker® , Corcoran® , ERA® , Sotheby's International Realty® ).
 I acknowledge that I have read and agree to theTerms of useandPrivacy notice

Home facts

  • Listing ID #:958058
  • Added:697 day(s) ago
  • Updated:February 14, 2026 at 01:02 PM

Structure and exterior

  • Lot area:6 Acres

Schools

  • High school:Ossining High School
  • Middle school:Anne M Dorner Middle School
  • Elementary school:Brookside

Utilities

  • Water:Public
  • Sewer:Public Sewer

Finances and disclosures

  • Price:$839,000
  • Tax amount:$28,000 (2023)
Copyright 2026 OneKey MLS. All rights reserved. Listings courtesy of OneKey MLS as distributed by MLS GRID <lastMLSCheckTimestamp>. OneKey MLS provides content displayed here (“provided content”) on an “as is” basis and makes no representations or warranties regarding the provided content, including, but not limited to those of non-infringement, timeliness, accuracy, or completeness. Individuals and companies using information presented are responsible for verification and validation of information they utilize and present to their customers and clients. OneKey MLS will not be liable for any damage or loss resulting from use of the provided content or the products available through Portals, IDX, VOW, and/or Syndication. Recipients of this information shall not resell, redistribute, reproduce, modify, or otherwise copy any portion thereof without the expressed written consent of OneKey MLS.