0 Springway Drive, Clayton, OH 45415
Local realty services provided by:CENTURY 21 Capital GOLD
0 Springway Drive,Clayton, OH 45415
$26,000
- 0.22 Acres
- Lots / Land
- Active
Listed by: jill jackson(937) 776-4346
Office: keller williams advisors rlty
MLS#:927025
Source:OH_DABR
Price summary
- Price:$26,000
About this home
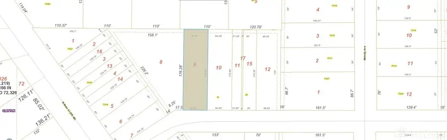
Commercial land in Clayton in a prime location!! .2247 acres off of N. Main St, across from popular restaurants and shops. Zoned for 75% commercial use. Nice location and ready for it's new owners! Water, gas and sewer hookups at the street. Northmont school district! Perfect for businesses, available land on the corner as well to expand the property.
Contact an agent
Home facts
- Listing ID #:927025
- Added:324 day(s) ago
- Updated:December 18, 2025 at 04:17 PM
Structure and exterior
- Lot area:0.22 Acres
Finances and disclosures
- Price:$26,000
New listings near 0 Springway Drive
- New
$215,000Active3 beds 2 baths1,255 sq. ft.6055 Layne Hills Court, Englewood, OH 45322
MLS# 949455Listed by: RE/MAX VICTORY + AFFILIATES - New
$375,000Active4 beds 3 baths2,936 sq. ft.7776 Crestway Road, Clayton, OH 45315
MLS# 948723Listed by: THE SWICK REAL ESTATE GROUP - New
$329,990Active4 beds 3 baths2,581 sq. ft.2027 Ivy Road, Clayton, OH 45315
MLS# 949380Listed by: KELLER WILLIAMS SEVEN HILLS - New
$160,000Active2 beds 2 baths1,172 sq. ft.5091 Crescent Ridge Drive, Clayton, OH 45315
MLS# 949103Listed by: KELLER WILLIAMS HOME TOWN RLTY - New
$320,000Active5 beds 3 baths3,292 sq. ft.4734 Rushwood Circle, Englewood, OH 45322
MLS# 949068Listed by: KELLER WILLIAMS HOME TOWN RLTY
$412,000Active4 beds 3 baths3,080 sq. ft.7132 Cierra Drive, Clayton, OH 45315
MLS# 945087Listed by: ANDOVER HAMPTON REALTY SERVICE
$590,000Active3 beds 4 baths2,280 sq. ft.449 Harbor Lane, Lorain, OH 44052
MLS# 5174855Listed by: RE/MAX ABOVE & BEYOND
$130,000Pending3 beds 1 baths927 sq. ft.7935 Harrington Avenue, Clayton, OH 45415
MLS# 948622Listed by: TAMI HOLMES REALTY
$130,000Active3 beds 1 baths927 sq. ft.7935 Harrington Avenue, Clayton, OH 45415
MLS# 1042753Listed by: TAMI HOLMES REALTY
$365,000Active3 beds 3 baths2,418 sq. ft.558 Clinton Street, Clayton, OH 45315
MLS# 948616Listed by: BELLA REALTY GROUP