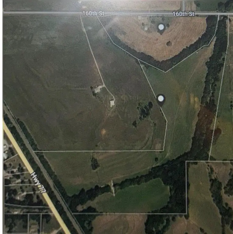
29594 S 160th Street, Wayne, OK 73095
Local realty services provided by:CENTURY 21 First Choice Realty
Listed by: vicky ide
Office: metro first realty
MLS#:1216999
Source:OK_OKC
29594 S 160th Street,Wayne, OK 73095
$300,000
- 60.23 Acres
- Lots / Land
- Active
Price summary
- Price:$300,000
About this home
This property has it all! If you like riding ATVs and dirt bikes, hunting, farming and even shooting this property is for you. The property is surrounded by a creek. There are eight hilltop acres that are not in a flood zone, so you can build your home on the hill overlooking your beautiful acreage. Use the shooting range for target practice but when it’s deer season hunt in your own backyard. The owner has two ATVs that he plans to leave. The shooting range will stay. When looking at the land you will find fencing poles on both sides of the road , those just mark holes he didn’t want to drive in. The land sits between two creeks and crosses over to the south side by crossing the creek on the right. Land produces about 180 bales of Johnson grass a season. It’s very private, run around outside make private. No HOA!!
Contact an agent
Home facts
- Listing ID #:1216999
- Added:55 day(s) ago
- Updated:April 30, 2026 at 12:39 PM
Structure and exterior
- Lot area:60.23 Acres
Schools
- High school:Wayne HS
- Middle school:Wayne MS
- Elementary school:Wayne ES
Utilities
- Water:Rural
Finances and disclosures
- Price:$300,000
New listings near 29594 S 160th Street
- New
$195,000Active3 beds 2 baths1,308 sq. ft.410 W Henderson, Wayne, OK 73095
MLS# 1224804Listed by: CROSS C REALTY LLC
$65,000Pending3 beds 1 baths1,028 sq. ft.407 S Fox Street, Wayne, OK 73095
MLS# 1223096Listed by: MK PARTNERS INC
$1,546,500Active3 beds 1 baths1,962 sq. ft.16491 Rockwood Avenue, Wayne, OK 73095
MLS# 1223818Listed by: CROSS C REALTY LLC
$1,850,000Active3 beds 4 baths1,456 sq. ft.16210 Blanton View Avenue, Wayne, OK 73095
MLS# 1223659Listed by: CROSS C REALTY LLC
$40,000Pending2 beds 1 baths1,061 sq. ft.200 W Barger Street, Wayne, OK 73095
MLS# 1223083Listed by: MK PARTNERS INC
$95,000Active10 AcresBlanton View Avenue #13, Wayne, OK 73095
MLS# 1222814Listed by: CROSS C REALTY LLC
$95,095Active10.01 Acres12983 Augustus Trail #6, Wayne, OK 73095
MLS# 1222815Listed by: CROSS C REALTY LLC
$800,000Active3 beds 3 baths2,400 sq. ft.14427 Canadian Avenue, Wayne, OK 73095
MLS# 1222124Listed by: CROSS C REALTY LLC
$110,000Active3 beds 2 baths1,096 sq. ft.301 W Meek Street, Wayne, OK 73095
MLS# 1214955Listed by: CROSS C REALTY LLC