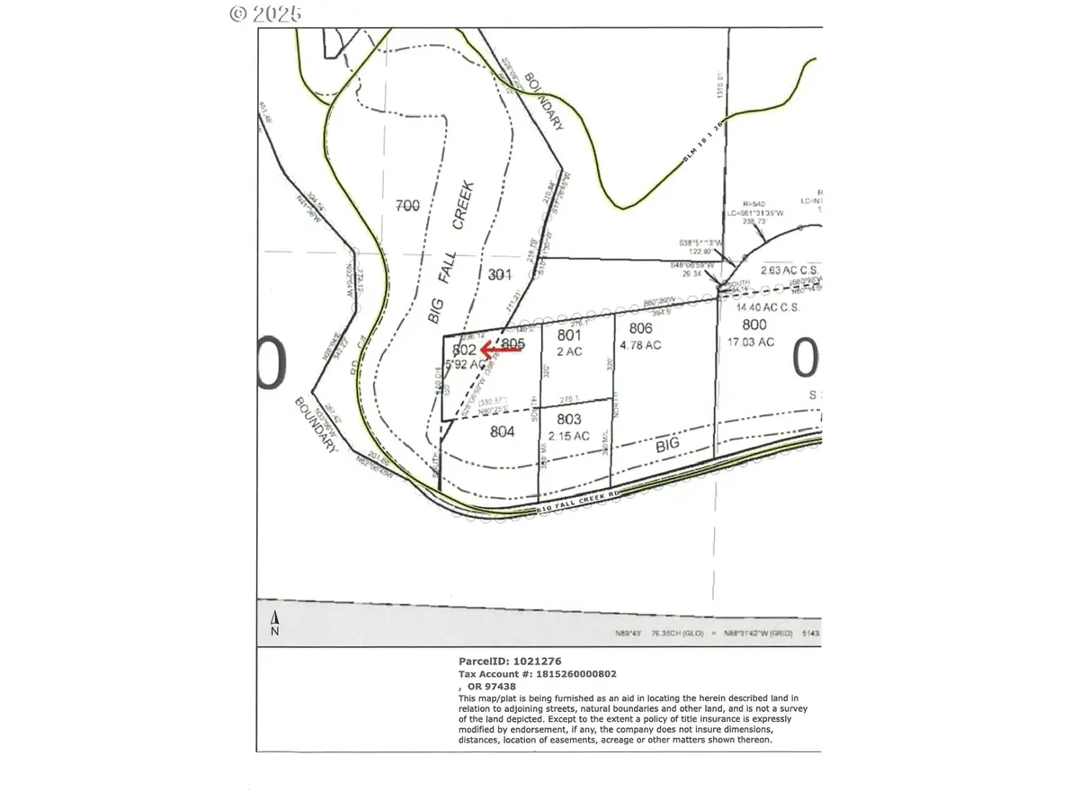
Big Fall Creek Rd #802, Fall Creek, OR 97438

Local realty services provided by:CENTURY 21 North Homes Realty
Big Fall Creek Rd #802,Fallcreek, OR 97438
$225,000
  • 5.92 Acres
  • Lots / Land
  • Active
Listed by: galand haas
Office: keller williams realty eugene and springfield
MLS#:570709492
Source:PORTLAND

Price summary

  • Price:$225,000

About this home

This beautiful 5.92 acre property is bordered on two sides by Fall Creek. In the Summer when the lake is full , the lake extends up the creek channel on the property the remainder of the year it is a flowing creek.. The land consists of 3 tax lots and one is a legal and buildable lot. The property was used as a recreation property, but is ready for a private residence. Well and septic are in. All information in regards to legal lot status, plat maps, etc. are available.

Contact an agent

contact an agent

Yes, I would like more information. Please use and/or share my information with an independent agent affiliated with the CENTURY 21®  brand to contact me about my real estate needs. By clicking Send message, I request to be contacted by phone or text message and consent to being contacted by automated means. I understand that my consent to receive calls or texts is not a condition of purchasing any property, goods, or services. Alternatively, I understand that I can access real estate services by email or I can contact the agent myself.

If an independent agent affiliated with the CENTURY 21®  brand is not available in the area where I need assistance, I agree to be contacted by a real estate agent affiliated with another brand owned or licensed by Anywhere Real Estate (BHGRE® , Coldwell Banker® , Corcoran® , ERA® , Sotheby's International Realty® ).
 I acknowledge that I have read and agree to theTerms of useandPrivacy notice

Home facts

  • Listing ID #:570709492
  • Added:347 day(s) ago
  • Updated:March 16, 2026 at 11:24 AM

Structure and exterior

  • Lot area:5.92 Acres
  • Lot Features:Merchantable Timber, Private, Stream, Wooded

Schools

  • High school:Lowell
  • Middle school:Lowell
  • Elementary school:Lundy

Utilities

  • Water:Water - Well
  • Sewer:Septic Tank

Finances and disclosures

  • Price:$225,000
  • Tax amount:$706 (2024)
MLS LogoAll information provided is deemed reliable but is not guaranteed and should be independently verified. The content relating to real estate for sale on this web site comes in part from the IDX program of the RMLS of Portland Oregon. Real estate listings held by brokerage firms other than CENTURY 21 North Homes Realty are marked with the RMLS logo and detailed information about these properties includes the names of the listing brokers. Copyright 2026 RMLS, Portland, Oregon. Last updated: March 16, 2026