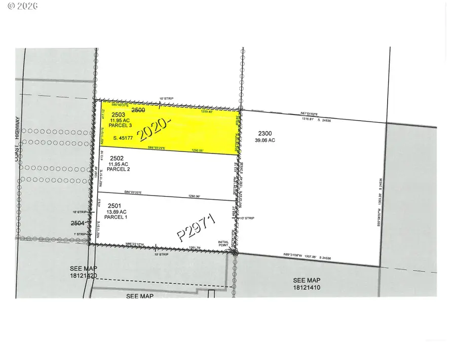
Spruce St #TL2503, Florence, OR 97439

Local realty services provided by:CENTURY 21 North Homes Realty
Spruce St #TL2503,Florence, OR 97439
$450,000
  • 11.95 Acres
  • Lots / Land
  • Active
Listed by: maureen hewlett, delbert phelps
Office: west coast real estate service541-997-7653
MLS#:560365366
Source:PORTLAND

Price summary

  • Price:$450,000

About this home

Parcel 3 offers a strong development opportunity with north–south frontage along undeveloped Spruce Street. The property is located north of Parcel 1 and 2. Spruce Street is partially developed up to Parcel 1 where utilities already available at the southwest corner, providing nearby access for future infrastructure extension. Zoning allows for a minimum lot size of 5,000 square feet and permits up to two attached living units per lot, making this parcel well suited for townhome or duplex-style residential development.

Contact an agent

contact an agent

Yes, I would like more information. Please use and/or share my information with an independent agent affiliated with the CENTURY 21®  brand to contact me about my real estate needs. By clicking Send message, I request to be contacted by phone or text message and consent to being contacted by automated means. I understand that my consent to receive calls or texts is not a condition of purchasing any property, goods, or services. Alternatively, I understand that I can access real estate services by email or I can contact the agent myself.

If an independent agent affiliated with the CENTURY 21®  brand is not available in the area where I need assistance, I agree to be contacted by a real estate agent affiliated with another brand owned or licensed by Anywhere Real Estate (BHGRE® , Coldwell Banker® , Corcoran® , ERA® , Sotheby's International Realty® ).
 I acknowledge that I have read and agree to theTerms of useandPrivacy notice

Home facts

  • Listing ID #:560365366
  • Added:88 day(s) ago
  • Updated:April 26, 2026 at 11:18 AM

Structure and exterior

  • Lot area:11.95 Acres
  • Lot Features:Brush, Secluded, Trees, Wooded

Schools

  • High school:Siuslaw
  • Middle school:Siuslaw
  • Elementary school:Siuslaw

Utilities

  • Water:Water Available

Finances and disclosures

  • Price:$450,000
  • Tax amount:$2,664 (2025)
MLS LogoAll information provided is deemed reliable but is not guaranteed and should be independently verified. The content relating to real estate for sale on this web site comes in part from the IDX program of the RMLS of Portland Oregon. Real estate listings held by brokerage firms other than CENTURY 21 North Homes Realty are marked with the RMLS logo and detailed information about these properties includes the names of the listing brokers. Copyright 2026 RMLS, Portland, Oregon. Last updated: April 26, 2026