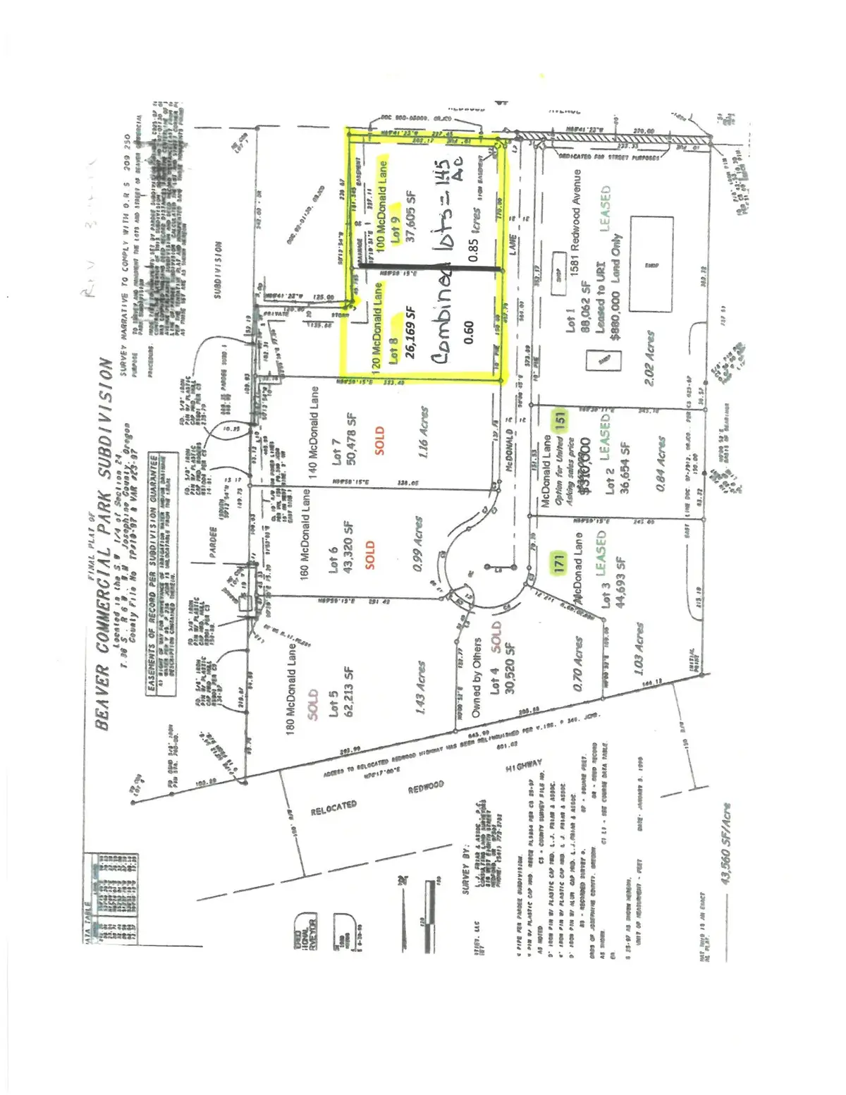
100 -120 Mcdonald Lane, Grants Pass, OR 97527
Local realty services provided by:CENTURY 21 Showcase Realtors®, Inc.
100 -120 Mcdonald Lane,Grants Pass, OR 97527
$640,000
- 1.45 Acres
- Lots / Land
- Active
Listed by: william j leever541-773-5391
Office: pulver and leever real estate
MLS#:220182039
Source:OR_SOMLS
Price summary
- Price:$640,000
About this home
Exclusions to Listing - Ask Listing Broker for Details! Only two remaining commercial lots, located between high-traffic Redwood Highway and Redwood Avenue in Grants Pass. A total of 1.45 combined Acres, Lot 8 (0.60 Acres) and Lot 9 (0.85 Acres) in the Beaver Commercial Park are the premium lots in the commercial park. Lot 9 is currently leased to a tenant on a Month-to-Month basis. Lots are available together or separately. Located just past Allen Creek Shopping Center (Albertsons) between Redwood Highway and Redwood Avenue, near Red Robin and the Josepine County Fairgrounds. See attached subdivision plat map.
Contact an agent
Home facts
- Listing ID #:220182039
- Added:675 day(s) ago
- Updated:March 14, 2026 at 02:34 PM
Structure and exterior
- Lot area:1.45 Acres
- Lot Features:Corner Lot, Level
Schools
- High school:Check with District
- Middle school:Check with District
- Elementary school:Check with District
Utilities
- Water:Public
- Sewer:Public Sewer
Finances and disclosures
- Price:$640,000
- Tax amount:$6,945 (2023)
New listings near 100 -120 Mcdonald Lane
- New
$378,800Active3 beds 2 baths1,348 sq. ft.1521 SW Kokanee Lane, Grants Pass, OR 97527
MLS# 220217136Listed by: REAL ESTATE CAFE LLC - New
$385,000Active2 beds 1 baths576 sq. ft.541 Board Shanty Road, Grants Pass, OR 97527
MLS# 220217115Listed by: WINDERMERE RE SOUTHERN OREGON - New
$249,000Active5.19 Acres235 Eagle Ridge Drive, Grants Pass, OR 97526
MLS# 220217125Listed by: EXP REALTY, LLC - New
$739,000Active3 beds 3 baths2,314 sq. ft.151 Kubli Road, Grants Pass, OR 97527
MLS# 220217103Listed by: HOLDER REALTY - New
$99,900Active3 beds 2 baths1,200 sq. ft.608 Woodlawn Circle, Grants Pass, OR 97526
MLS# 220217092Listed by: RE/MAX INTEGRITY GRANTS PASS - New
$299,900Active2 beds 2 baths1,500 sq. ft.116 NE Evelyn Avenue, Grants Pass, OR 97526
MLS# 220216974Listed by: WINDERMERE RE SOUTHERN OREGON - New
$370,000Active3 beds 1 baths1,168 sq. ft.442 NE Baker Drive, Grants Pass, OR 97526
MLS# 220216960Listed by: JOHN L. SCOTT MEDFORD - New
$200,000Active80 Acres0 Jumpoff Joe Creek Road, Grants Pass, OR 97526
MLS# 220216962Listed by: JOHN L. SCOTT MEDFORD - New
$849,000Active3 beds 2 baths1,662 sq. ft.2357 Robertson, Grants Pass, OR 97527
MLS# 220216965Listed by: JOHN L SCOTT REAL ESTATE GRANTS PASS
$92,000Pending3 beds 2 baths1,680 sq. ft.310 Whispering Willow Drive, Grants Pass, OR 97527
MLS# 220216944Listed by: RE/MAX INTEGRITY GRANTS PASS