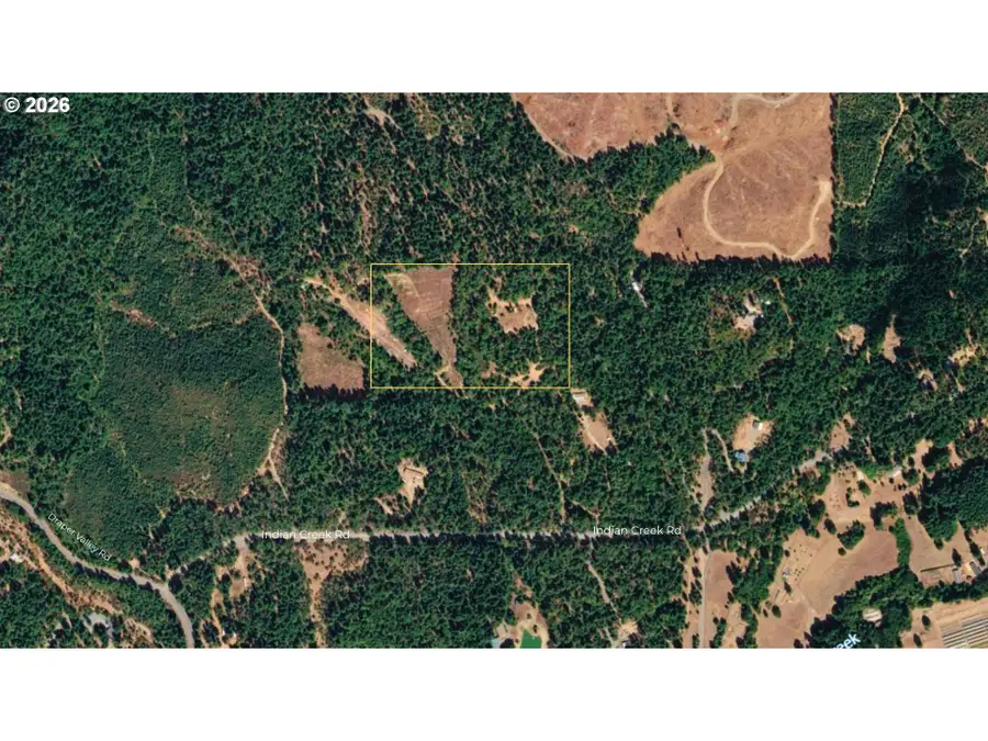
242 Indian Creek Rd, Selma, OR 97538
Local realty services provided by:CENTURY 21 Northstar
242 Indian Creek Rd,Selma, OR 97538
$178,000
- 15 Acres
- Lots / Land
- Active
Listed by: jeremiah collins
Office: heart and homes nw, llc.509-828-5850
MLS#:639679699
Source:PORTLAND
Price summary
- Price:$178,000
About this home
242 Indian Creek Rd | 15 Acres of Privacy, Possibility, and Untouched BeautyTucked along Indian Creek Road in Selma, this 15-acre parcel offers a level of privacy and natural integrity that is becoming increasingly difficult to find. The land is wooded and gently rolling, creating a landscape that feels both secluded and usable. With no existing improvements, you are not working around someone else’s vision. You are starting clean, with the freedom to shape the property exactly as you intend. This is a setting for those who value space, quiet, and independence. Whether that means a forested homestead, an off-grid retreat, or simply a place to step away and build something intentional, the foundation here is simplicity and control. Selma remains one of Southern Oregon’s more unspoiled pockets, offering a slower pace without complete isolation. Everyday essentials and small-town amenities are within reasonable reach, while the property itself maintains a true sense of separation. Parcels of this size and character do not surface often, especially with a recent historical price point that reflects strong underlying value. Bring your vision and build without compromise. This is the kind of land that does not need embellishment to stand out....
Contact an agent
Home facts
- Listing ID #:639679699
- Added:1 day(s) ago
- Updated:April 28, 2026 at 08:24 PM
Structure and exterior
- Lot area:15 Acres
- Lot Features:Private, Trees
Schools
- High school:Illinois Valley
- Middle school:Lorna Byrne
- Elementary school:Evergreen
Finances and disclosures
- Price:$178,000
- Tax amount:$781 (2025)
New listings near 242 Indian Creek Rd
- New
$199,000Active88.93 Acres0 Reeves Creek Road #TL 403 & 405, Selma, OR 97538
MLS# 220220196Listed by: JOHN L SCOTT REAL ESTATE GRANTS PASS
$350,000Active2 beds 2 baths1,440 sq. ft.100 Linkhart Drive, Cave Junction, OR 97523
MLS# 220218677Listed by: ILLINOIS VALLEY REAL ESTATE- New
$465,000Active2 beds 2 baths1,400 sq. ft.1201 Reeves Creek Road, Selma, OR 97538
MLS# 220220109Listed by: JOHN L SCOTT REAL ESTATE GRANTS PASS - New
$398,000Active3 beds 2 baths1,782 sq. ft.5445 Thompson Creek Road, Selma, OR 97538
MLS# 220219630Listed by: REAL ESTATE DESIGNED TO SELL LLC
$98,500Active5.01 Acres323 Valley Heights Road, Selma, OR 97538
MLS# 220219296Listed by: ILLINOIS VALLEY REAL ESTATE
$467,000Active3 beds 2 baths1,232 sq. ft.707 Mcmullen Creek Road, Selma, OR 97538
MLS# 220219251Listed by: WINDERMERE VAN VLEET JACKSONVILLE
$99,900Active11.39 Acres0 Deer Creek Road #802, Selma, OR 97538
MLS# 220218941Listed by: KENDON LEET REAL ESTATE INC
$120,000Active20 Acres0 Deer Creek Road #700, Selma, OR 97538
MLS# 220218893Listed by: KENDON LEET REAL ESTATE INC- Open Sun, 12 to 4pm
$779,000Active3 beds 3 baths1,890 sq. ft.18248 Redwood Highway, Selma, OR 97538
MLS# 220218413Listed by: BEYOND REAL ESTATE BROKERS
$225,000Active73.95 Acres2787 Davis Creek Road, Selma, OR 97538
MLS# 220218331Listed by: EXP REALTY, LLC