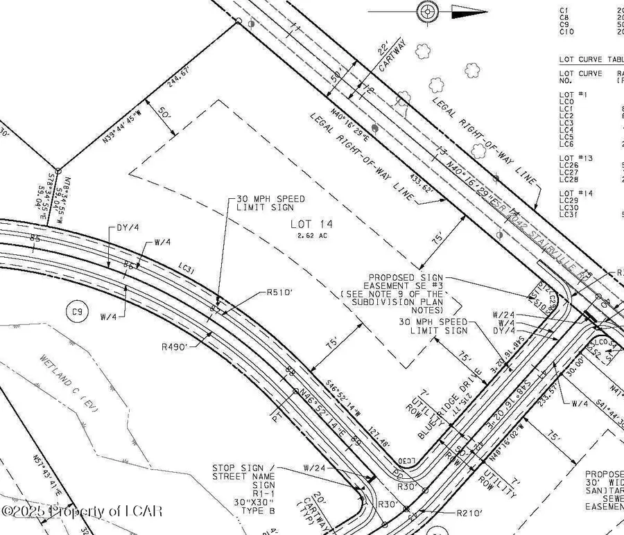
300 Estates Drive (lot 14), Mountain Top, PA 18707
Local realty services provided by:CENTURY 21 Select Group
300 Estates Drive (lot 14),Mountain Top, PA 18707
$155,000
- 2.62 Acres
- Lots / Land
- Active
Listed by: david p. hourigan
Office: classic properties - mountaintop
MLS#:25-1926
Source:PA_GWBAR
Price summary
- Price:$155,000
About this home
Wooded building lot in new Estates at Blue Ridge development adjoining Blue Ridge Trail Golf Course. Large frontages, Public sewer. No required builder / no time frame in which to build. Dev. will be governed by an HOA Private Rd. Development designed for larger homes. Minimum house sizes: 3,000 sq ft for a two story or 2,200 sq ft for a ranch. Outstanding Location 2 minutes from I-81 -Nuangola
Contact an agent
Home facts
- Listing ID #:25-1926
- Added:371 day(s) ago
- Updated:May 02, 2026 at 09:30 AM
Structure and exterior
- Lot area:2.62 Acres
Finances and disclosures
- Price:$155,000
New listings near 300 Estates Drive (lot 14)
- New
$365,000Active3 beds 2 baths2,538 sq. ft.1 Powell Street, Mountain Top, PA 18707
MLS# 776075Listed by: COLDWELL BANKER HEARTHSIDE - New
$299,000Active4 beds 3 baths2,004 sq. ft.30 Yorktown Road, Mountain Top, PA 18707
MLS# PM-140859Listed by: REDSTONE RUN REALTY, LLC - STROUDSBURG - New
$279,900Active3 beds 2 baths1,680 sq. ft.1228 Main Road, Mountain Top, PA 18707
MLS# 26-1894Listed by: EXP REALTY PHILADELPHIA - New
$350,000Active4 beds 3 baths2,453 sq. ft.43 Walden Drive, Mountaintop, PA 18707
MLS# SC261813Listed by: ERA ONE SOURCE REALTY, PECKVILLE - New
$839,900Active4 beds 3 baths4,070 sq. ft.37 Waterman Drive, Mountain Top, PA 18707
MLS# 26-1782Listed by: CLASSIC PROPERTIES - MOUNTAINTOP - Open Sun, 11am to 2pmNew
$400,000Active3 beds 3 baths2,680 sq. ft.441 Laurel Lakes Drive, Mountain Top, PA 18707
MLS# 26-1761Listed by: CLASSIC PROPERTIES - MOUNTAINTOP - Open Sat, 12 to 1:30pmNew
$515,000Active3 beds 3 baths1,950 sq. ft.3 Fawn Court, Mountain Top, PA 18707
MLS# 26-1739Listed by: LEWITH & FREEMAN, MOUNTAINTOP - New
$229,000Active3 beds 2 baths1,532 sq. ft.421 Mountain Boulevard, Mountain Top, PA 18707
MLS# 26-1737Listed by: BUTTON REAL ESTATE - New
$309,000Active4 beds 3 baths1,988 sq. ft.12 Mystic Drive, Mountain Top, PA 18707
MLS# 26-1729Listed by: BUTTON REAL ESTATE
$1,695,000Active6 beds 10 baths10,320 sq. ft.383 S Main Road, Mountain Top, PA 18707
MLS# PW260955Listed by: KELLER WILLIAMS RE HAWLEY