Bo Carrizales, Hatillo, PR 00659
Local realty services provided by:CENTURY 21 Selling Paradise
Listed by: ida maldonado rivera
Office: keller williams grand homes
MLS#:PR9119317
Source:MFRMLS
Price summary
- Price:$2,900,000
About this home
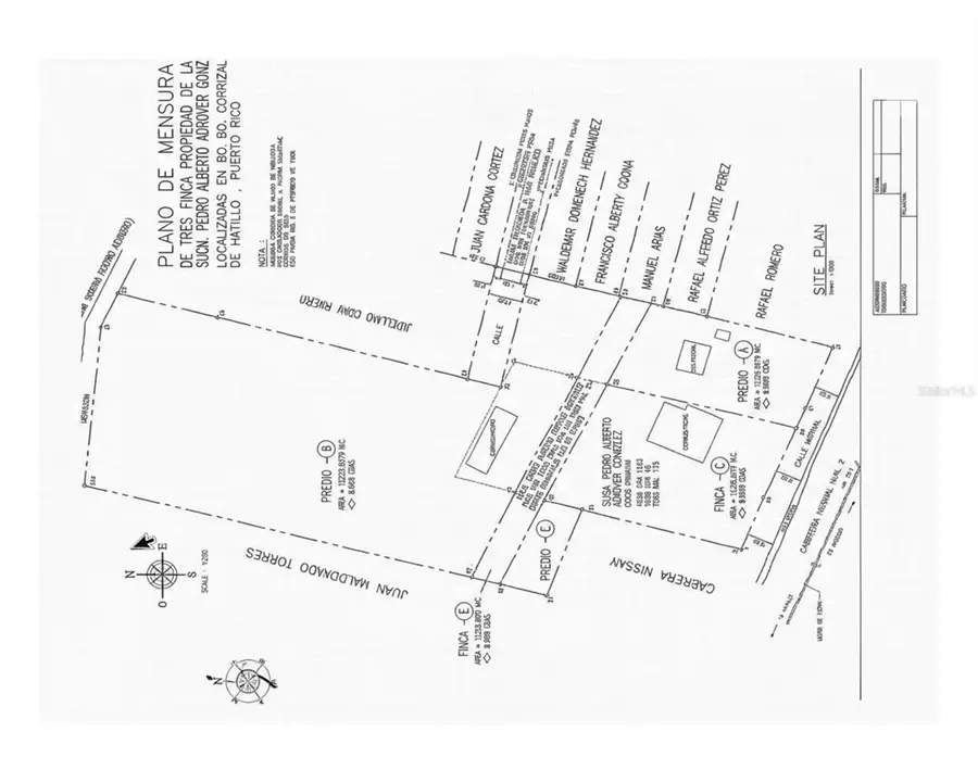
Strategic development opportunity consisting of three (3) land parcels identified as Parcel A, Parcel B, and Parcel C (Finca C), located in Carrizales Ward, Municipality of Hatillo, Puerto Rico, within an area designated for commercial and tourism-related development according to current zoning classifications.
According to title records, the property contains approximately 5.54 acres, offering flexibility for integrated planning and scalable development. The assemblage allows multiple layout configurations suitable for commercial, tourism, or service-oriented projects subject to applicable permits.
Parcel C (Finca C) features direct frontage along State Road PR-2, providing strategic visibility, vehicular accessibility, and commercial exposure. The property also offers ocean views, enhancing its scenic value and potential appeal for hospitality and tourism-oriented developments.
ZONING AND REGULATORY FRAMEWORK:
Zoning Classification: CT-I (Intermediate Commercial Tourist)
Land Use Classification PT and PUT: SU (Urban Land)
Overlay District: APE-ZC (Karst Special Planning Area)
Not located within a floodway.
Subject to Puerto Rico Land Use Plan, Tourism Interest Zones incorporated into the current Joint Regulation, and the Karst Special Planning Area Plan and Regulations (PRAPEC).
PERMITTED USES (among others):
Hotel, eco-lodging, tourist villas, condo-hotel, short-term lodging, professional offices, financial institutions, restaurants, retail uses, art galleries, gyms, daycare centers, vehicle rental, startups, specialized lodging and compatible tourism-related uses subject to applicable regulations.
LAYOUT:
Parcel C (Finca C) — Strategic frontage along PR-2 with existing structures as shown on the survey plan.
Parcel B — Primary parcel as described in title records.
Parcel A — Complementary parcel with public road access.
POSITIONING:
The combination of commercial-tourism zoning, significant land area, ocean views, and prime roadway exposure presents characteristics suitable for hospitality, commercial, service, and tourism-oriented development evaluation, subject to permits and approvals.
NOTE:
Areas, boundaries, and characteristics are subject to verification according to survey plans and recorded documentation....
Contact an agent
Home facts
- Listing ID #:PR9119317
- Added:55 day(s) ago
- Updated:April 21, 2026 at 12:21 PM
Structure and exterior
- Lot area:4.93 Acres
- Levels:1 Story
Utilities
- Water:Public, Water Nearby
- Sewer:Public Sewer
Finances and disclosures
- Price:$2,900,000
Features and amenities
- Amenities:Electricity Available, Telephone Nearby
- Pool features:Public Pool
New listings near Bo Carrizales
$160,000Active-- beds 3 baths1,167 sq. ft.CALLE A 286 Comunidad Santa Rosa, HATILLO, PR 00659
MLS# PR9120378Listed by: CM REALTY
$1,600,000Active8 beds 4 baths3,000 sq. ft.119 Avenida Susoni, HATILLO, PR 00659
MLS# PR9120122Listed by: LA ROSA REALTY CW PROPERTIES
$99,000Active2.05 AcresKM 2.4 INT La Rampla #Lot 5, HATILLO, PR 00659
MLS# PR9120017Listed by: SAND DOLLARS REALTY & RENTALS
$265,000Pending3 beds 2 baths1,300 sq. ft.4 Julio Almeda Estancias De Carrizales, HATILLO, PR 00659
MLS# PR9119234Listed by: LA ROSA REALTY CW PROPERTIES
$175,000Pending2 beds 1 baths1,363 sq. ft.C-9 Los Corales, HATILLO, PR 00659
MLS# PR9118684Listed by: LA ROSA REALTY CW PROPERTIES
$425,000Pending3 beds 3 baths1,631 sq. ft.144 Las Olas #K27, HATILLO, PR 00659
MLS# PR9116079Listed by: KELLER WILLIAMS GRAND HOMES
$100,000Active1.13 AcresSR-491 Bo. Naranjito #KM 6.0, HATILLO, PR 00659
MLS# PR9116092Listed by: REALTY CITY GROUP
$268,000Active4 beds 2 baths1,965 sq. ft.Carr. 635 Lote 1 Bo. Aibonito, HATILLO, PR 00659
MLS# PR9115720Listed by: SKY REALTY. INC.
$1,795,000Active6 AcresBo. Carrizales Sr-2, HATILLO, PR 00659
MLS# PR9112813Listed by: CORCORAN PUERTO RICO