0 Pilot Hill Road, Block Island, RI 02807

Local realty services provided by:CENTURY 21 Shutters & Sails
0 Pilot Hill Road,Block Island, RI 02807
$1,595,000
  • 3.03 Acres
  • Lots / Land
  • Active
Listed by: gail heinz
Office: sullivan sotheby's intl.realty
MLS#:1385073
Source:RI_STATEWIDE

Price summary

  • Price:$1,595,000

About this home

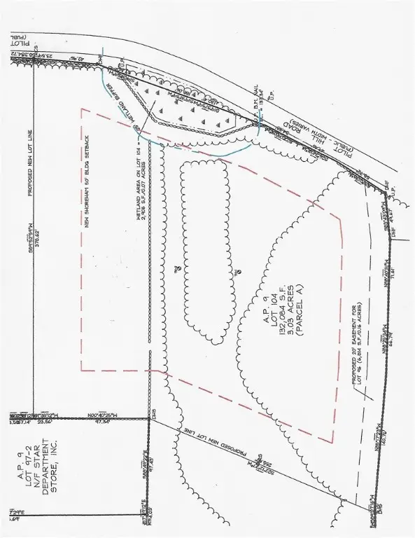
Discover the perfect canvas for your island retreat on this 3.03-acre parcel located on picturesque Pilot Hill Road. With distant views of the Atlantic Ocean and gently rolling terrain, this property offers a serene setting and a high point ideal for building your dream home. Enjoy privacy, natural beauty, and the opportunity to create a custom residence that captures the essence of Block Island living. Whether you’re seeking a peaceful getaway or a future investment, this land is a rare find with endless potential. With a little over 3 acres, there is plenty of room to include gardens, pool and detached garage in your design plans. Imagine waking every morning to amazing sunrise skies with distant views of the Atlantic Ocean. Close proximity to the Mohegan Bluffs and the Southeast Lighthouse and easy access to Old Harbor, restaurants, shops and beaches. Survey and site plan available and engineering in progress for a 4 bdrm OWTS.

Contact an agent

contact an agent

Yes, I would like more information. Please use and/or share my information with an independent agent affiliated with the CENTURY 21®  brand to contact me about my real estate needs. By clicking Send message, I request to be contacted by phone or text message and consent to being contacted by automated means. I understand that my consent to receive calls or texts is not a condition of purchasing any property, goods, or services. Alternatively, I understand that I can access real estate services by email or I can contact the agent myself.

If an independent agent affiliated with the CENTURY 21®  brand is not available in the area where I need assistance, I agree to be contacted by a real estate agent affiliated with another brand owned or licensed by Anywhere Real Estate (BHGRE® , Coldwell Banker® , Corcoran® , ERA® , Sotheby's International Realty® ).
 I acknowledge that I have read and agree to theTerms of useandPrivacy notice

Home facts

  • Listing ID #:1385073
  • Added:300 day(s) ago
  • Updated:February 22, 2026 at 02:56 PM

Structure and exterior

  • Lot area:3.03 Acres
  • Lot Features:Rolling Slope, Wooded

Utilities

  • Water:Water Not Available

Finances and disclosures

  • Price:$1,595,000
  • Tax amount:$2,938 (2024)
MLS LogoThe data relating to real estate for sale on this web site comes in part from the IDX Program of the State-Wide Multiple Listing Service, Inc. Real estate listings held by brokerage firms other than CENTURY 21 Shutters & Sails are marked with the MLS logo and detailed information about them includes the name of the listing brokers. Information deemed reliable but not guaranteed. Copyright 2026 State-Wide MLS, Inc. All rights reserved. Date Last Update: February 22, 2026