0 Point Judith Road, Narragansett, RI 02882

Local realty services provided by:CENTURY 21 Professionals
0 Point Judith Road,Narragansett, RI 02882
$1,300,000
  • 2 Acres
  • Lots / Land
  • Active
Listed by: tara brady
Office: o malley-brady realty, inc.
MLS#:73442474
Source:MLSPIN

Price summary

  • Price:$1,300,000

About this home

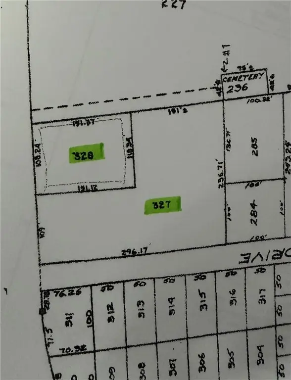
Take advantage of this amazing opportunity to own approximately 2 acres in this highly desirable Point Judith Location! These two abutting lots (L-327 & L-328), being sold as a package deal are situated across the street from the former Charlie O's Restaurant. Whether your goals are to custom design your dream home by the coast, create an investment opportunity, or take advantage of visibility on Route 108- the possibilities for development are endless! Located just minutes from the shores of Salty Brine State Beach, the Block Island Ferry, Galilee, Point Judith LightHouse, South County’s pristine beaches, and so many local attractions. Please reach out for exact location.

Contact an agent

contact an agent

Yes, I would like more information. Please use and/or share my information with an independent agent affiliated with the CENTURY 21®  brand to contact me about my real estate needs. By clicking Send message, I request to be contacted by phone or text message and consent to being contacted by automated means. I understand that my consent to receive calls or texts is not a condition of purchasing any property, goods, or services. Alternatively, I understand that I can access real estate services by email or I can contact the agent myself.

If an independent agent affiliated with the CENTURY 21®  brand is not available in the area where I need assistance, I agree to be contacted by a real estate agent affiliated with another brand owned or licensed by Anywhere Real Estate (BHGRE® , Coldwell Banker® , Corcoran® , ERA® , Sotheby's International Realty® ).
 I acknowledge that I have read and agree to theTerms of useandPrivacy notice

Home facts

  • Listing ID #:73442474
  • Updated:March 11, 2026 at 10:53 AM

Structure and exterior

  • Lot area:2 Acres
  • Lot Features:Level, Wetlands, Wooded

Utilities

  • Water:At Street
  • Sewer:At Street

Finances and disclosures

  • Price:$1,300,000
  • Tax amount:$6,200 (2025)
The property listing data and information, or the Images, set forth herein were provided to MLS Property Information Network, Inc. from third party sources, including sellers, lessors and public records, and were compiled by MLS Property Information Network, Inc. The property listing data and information, and the Images, are for the personal, non-commercial use of consumers having a good faith interest in purchasing or leasing listed properties of the type displayed to them and may not be used for any purpose other than to identify prospective properties which such consumers may have a good faith interest in purchasing or leasing. MLS Property Information Network, Inc. and its subscribers disclaim any and all representations and warranties as to the accuracy of the property listing data and information, or as to the accuracy of any of the Images, set forth herein.