0 Pepper Road, Piedmont, SC 29673
Local realty services provided by:CENTURY 21 Triangle Group
0 Pepper Road,Piedmont, SC 29673
$755,500
- 0 Acres
- Lots / Land
- Pending
Listed by: bradley j smith
Office: red oak realty group, llc.
MLS#:1555665
Source:SC_GGAR
Price summary
- Price:$755,500
About this home
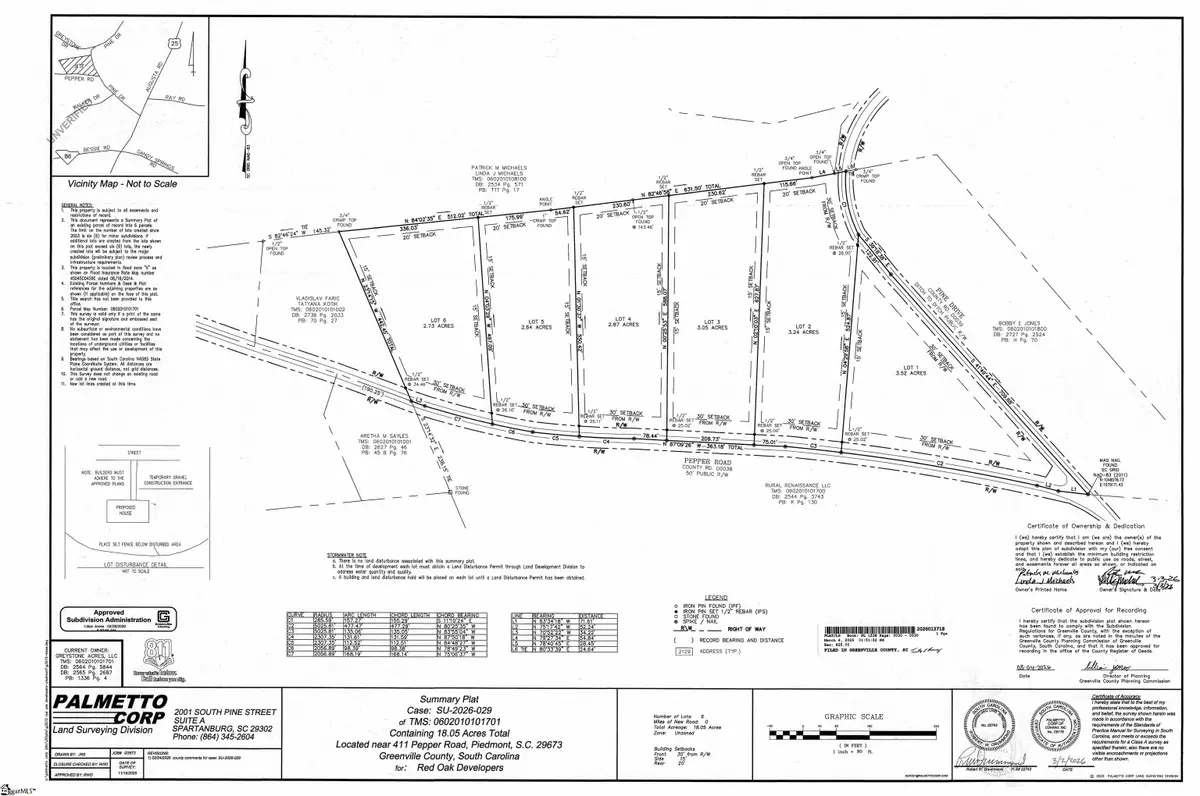
This property has been subdivided into 6 lots and has been approved by Greenville County as a minor subdivision. Individual street addresses and tax map numbers are assigned. Builder is responsible for stormwater and land disturbance permits. This rare 18.05-acre parcel in the growing Piedmont area is now available for a builder looking to create an exclusive custom home community. Property Highlights: Prime Development Opportunity – Minor Subdivision approval from Greenville County Site Plan completed by BlueWater Civil Design. Per site plan - 6 estate-sized lots (2.5+ acres each). Minor subdivision approval by Greenville County. Woodmont High School and Woodmont Middle School are +/- 5 miles away. Unzoned Land – Flexibility to design a premier residential enclave. Road Frontage on Pepper Drive and Pine Drive – Easy access for development Access to Public Water – water line on Pepper Road. Greenville Water Service Letter in documents. No sewer available. Mostly Level Terrain & Mature Trees – A scenic, natural setting perfect for luxury homes. Minutes from Highway 25 & Downtown Greenville – +/- 15 miles from Main Street Greenville and +/- 25 miles to downtown Anderson. Minutes from the newly announced Isuzu plant....
Contact an agent
Home facts
- Listing ID #:1555665
- Added:373 day(s) ago
- Updated:May 07, 2026 at 07:22 AM
Structure and exterior
- Lot Features:10 - 25 Acres, Rural
Schools
- High school:Woodmont
- Middle school:Woodmont
- Elementary school:Sue Cleveland
Finances and disclosures
- Price:$755,500
- Tax amount:$55
New listings near 0 Pepper Road
- Open Sat, 10am to 12pmNew
$389,000Active4 beds 3 baths120 Rivermill Place, Piedmont, SC 29673
MLS# 1590339Listed by: KELLER WILLIAMS UPSTATE LEGACY - New
$399,000Active0 Acres309 Labonte Drive, Piedmont, SC 29673
MLS# 1590309Listed by: CHARLES H. KNIGHT, LLC - New
$249,000Active2 beds 2 baths15 Haynes Street, Piedmont, SC 29673
MLS# 1590303Listed by: WONDRACEK REALTY GROUP, LLC - Open Sat, 12 to 2pmNew
$334,900Active4 beds 3 baths103 Fair Cross Circle, Piedmont, SC 29673
MLS# 1590173Listed by: REZNIK REAL ESTATE LLC - New
$455,180Active5 beds 4 baths330 Allingham Road, Piedmont, SC 29673
MLS# 1590222Listed by: MTH SC REALTY, LLC - New
$321,719Active5 beds 3 baths14 Sealy Street, Piedmont, SC 29673
MLS# 1590005Listed by: LENNAR CAROLINAS LLC - New
$294,254Active4 beds 3 baths101 Sealy Street, Piedmont, SC 29673
MLS# 1590009Listed by: LENNAR CAROLINAS LLC - New
$239,900Active3 beds 2 baths12 First Baptist Church Road, Piedmont, SC 29673
MLS# 1589901Listed by: BHHS C DAN JOYNER - AUGUSTA RD - New
$65,900Active0 Acres122 Round Table Court, Piedmont, SC 29673
MLS# 1589846Listed by: HOWARD HANNA ALLEN TATE - EASLEY POWDERSVILLE - New
$364,900Active4 beds 3 baths123 Ives Way, Piedmont, SC 29673
MLS# 1589757Listed by: BHHS C DAN JOYNER - ANDERSON