539 Neely Road, Rock Hill, SC 29730

Local realty services provided by:CENTURY 21 Town & Country Realty
Listed by: tony swainey
Office: keller williams connected
MLS#:4082697
Source:CH
539 Neely Road,Rock Hill, SC 29730
$2,800,000
  • 60 Acres
  • Lots / Land
  • Pending

Price summary

  • Price:$2,800,000

About this home

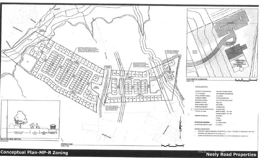
Prime Development Opportunity: 60 Acres of Land for Subdivision! Discover your chance to create a thriving community in this 60-acre canvas that beckons to be transformed into a thriving community. Located in south Rock Hill, with easy access to schools, shopping, and just 20 miles from Charlotte. The property features a mix of open fields and wooded areas, and recreational facilities, providing endless possibilities for residential development. Less than 1 mile from South Pointe High School and less than 5 miles to interstate I-77. Imagine a neighborhood of CITY-APPROVED MASTER PLAN of 150 homes, complete with green spaces, club house, pool, and modern infrastructure. Zoning is in place for a subdivision project, making this land a rare gem for seasoned developers looking to make their mark.

Contact an agent

contact an agent

Yes, I would like more information. Please use and/or share my information with an independent agent affiliated with the CENTURY 21®  brand to contact me about my real estate needs. By clicking Send message, I request to be contacted by phone or text message and consent to being contacted by automated means. I understand that my consent to receive calls or texts is not a condition of purchasing any property, goods, or services. Alternatively, I understand that I can access real estate services by email or I can contact the agent myself.

If an independent agent affiliated with the CENTURY 21®  brand is not available in the area where I need assistance, I agree to be contacted by a real estate agent affiliated with another brand owned or licensed by Anywhere Real Estate (BHGRE® , Coldwell Banker® , Corcoran® , ERA® , Sotheby's International Realty® ).
 I acknowledge that I have read and agree to theTerms of useandPrivacy notice

Home facts

  • Listing ID #:4082697
  • Updated:February 12, 2026 at 05:58 PM

Structure and exterior

  • Lot area:60 Acres

Schools

  • High school:Unspecified
  • Elementary school:Unspecified

Utilities

  • Sewer:Public Sewer

Finances and disclosures

  • Price:$2,800,000
MLS LogoListings courtesy of Canopy MLS as distributed by MLS GRID. Copyright 2021 Canopy MLS. All rights reserved. Canopy MLS, provides content displayed here (“provided content”) on an “as is” basis and makes no representations or warranties regarding the provided content, including, but not limited to those of non-infringement, timeliness, accuracy, or completeness. Individuals and companies using information presented are responsible for verification and validation of information they utilize and present to their customers and clients. Canopy MLS will not be liable for any damage or loss resulting from use of the provided content or the products available through Portals, IDX, VOW, and/or Syndication. Recipients of this information shall not resell, redistribute, reproduce, modify, or otherwise copy any portion thereof without the expressed written consent of Canopy MLS.