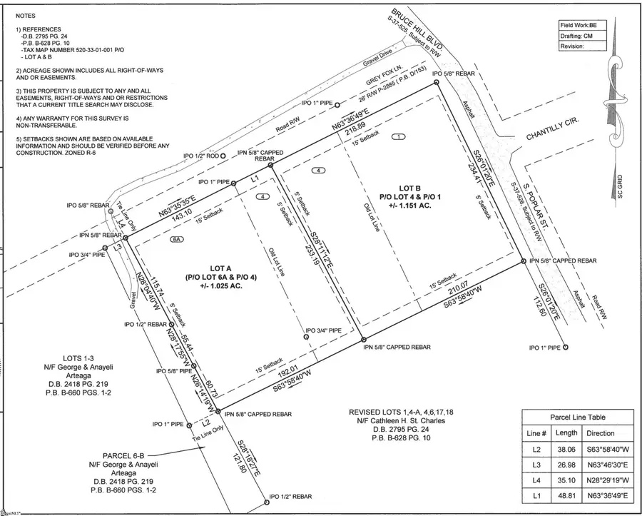
Lot A Grey Fox Lane, Seneca, SC 29678
Local realty services provided by:CENTURY 21 Triangle Group
Lot A Grey Fox Lane,Seneca, SC 29678
$65,000
- 0 Acres
- Lots / Land
- Active
Listed by: j. tookie nemchak
Office: northgroup real estate
MLS#:1586414
Source:SC_GGAR
Price summary
- Price:$65,000
About this home
The best of both worlds. Privacy and location! This over an acre, wooded private lot is oh so close to all that downtown Seneca has to offer. Easy build sites on this rare downtown Seneca location. Steps from Ram Cat Alley, the Lunney Museum and easy access to shopping and excellent dining opportunities. Public water and sewer available. Seller is in the process of obtaining new tax map numbers. Refer to the survey in the pictures for accurate lot info. Parcel map on the MLS is INACCURATE and shows the original lot.
Contact an agent
Home facts
- Listing ID #:1586414
- Added:23 day(s) ago
- Updated:April 23, 2026 at 12:08 PM
Structure and exterior
- Lot Features:1 - 2 Acres, Cul-De-Sac, Wooded
Schools
- High school:Seneca
- Middle school:Seneca
- Elementary school:Northside
Utilities
- Water:Public
- Sewer:Public Sewer
Finances and disclosures
- Price:$65,000
- Tax amount:$150
New listings near Lot A Grey Fox Lane
- New
$399,000Active0 Acres00 Ellsworth Drive, Seneca, SC 29672
MLS# 1589177Listed by: 1ST CLASS REAL ESTATE, LLC - New
$189,000Active3 beds 2 baths9122 West Oak Highway, Seneca, SC 29678
MLS# 1589082Listed by: KELLER WILLIAMS GRV UPST - Open Sat, 12 to 2pmNew
$295,000Active3 beds 2 baths798 Coneross Creek Road, Seneca, SC 29678
MLS# 1589040Listed by: BLUEFIELD REALTY GROUP - New
$2,750,000Active5 beds 4 baths166 S Oak Pointe Drive, Seneca, SC 29672
MLS# 1588867Listed by: REAL LOCAL/REAL BROKER, LLC
$79,500Pending0 Acres91 Harbor Point, Seneca, SC 29672
MLS# 1588707Listed by: TOP GUNS REALTY- New
$309,900Active3 beds 2 baths21 Jantzen Court, Seneca, SC 29672
MLS# 1588536Listed by: LORRAINE HARDING REAL ESTATE
$471,990Pending3 beds 4 baths225 Summerall Lane, Seneca, SC 29678
MLS# 1588490Listed by: DRB GROUP SOUTH CAROLINA, LLC
$462,990Pending4 beds 4 baths402 Fox Pond Drive, Seneca, SC 29678
MLS# 1588496Listed by: DRB GROUP SOUTH CAROLINA, LLC- New
$385,000Active3 beds 2 baths107 Silo Alley, Seneca, SC 29672
MLS# 1588363Listed by: CLARDY REAL ESTATE - New
$427,900Active4 beds 3 baths701 Hidden Creek Court, Seneca, SC 29678
MLS# 1588342Listed by: D.R. HORTON