TBD Vzcr 2120, Canton, TX 75103
Local realty services provided by:CENTURY 21 Judge Fite Company
TBD Vzcr 2120,Canton, TX 75103
$1,071,000
- 30.6 Acres
- Lots / Land
- Active
Listed by:
- Janice Dodson(214) 325 - 1680CENTURY 21 Judge Fite Company
Office: century 21 judge fite co.
MLS#:21238530
Source:GDAR
Price summary
- Price:$1,071,000
About this home
DEVELOPERS here is you opportunity to build in the highly sought after Canton Texas
As the county is growing rapidly this land is ready for 1+ Acre lots just out of the city this approved for development the seller has done all the initial work with city and county so it is just awaiting a bold buyer.
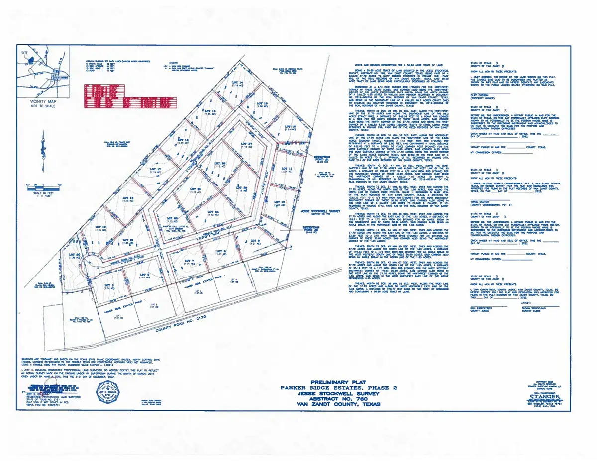
30.6 acres, 23 plus or minus one acre lots, less than 1.5 miles to Canton courthouse, deed restrictions filed, civil engineering prepared.
supporting documentation are available for more information contact listing agents
Note Plat is also attached with this listing
Contact an agent
Home facts
- Listing ID #:21238530
- Added:3 day(s) ago
- Updated:April 17, 2026 at 11:54 AM
Structure and exterior
- Lot area:30.6 Acres
- Lot Features:Acreage, Level, Subdivision
Schools
- High school:Canton
- Elementary school:Canton
Finances and disclosures
- Price:$1,071,000
- Tax amount:$227
New listings near TBD Vzcr 2120
- New
$399,000Active3 beds 2 baths1,619 sq. ft.2730 FM 16, Canton, TX 75103
MLS# 26005384Listed by: CENTURY 21 FIRST GROUP - LINDALE - New
$305,490Active4 beds 2 baths1,738 sq. ft.146 Buck Branch Lane, Canton, TX 75103
MLS# 21240511Listed by: JEANETTE ANDERSON REAL ESTATE - New
$335,490Active4 beds 3 baths2,154 sq. ft.126 Buck Branch Lane, Canton, TX 75103
MLS# 21240616Listed by: JEANETTE ANDERSON REAL ESTATE - New
$325,000Active2 beds 1 baths792 sq. ft.951 S Trade Days Boulevard, Canton, TX 75103
MLS# 21238368Listed by: COMPASS RE TEXAS, LLC - New
$1,095,000Active4 beds 3 baths3,300 sq. ft.6969 State Hwy 198, Canton, TX 75103
MLS# 21238961Listed by: CENTURY 21 FIRST GROUP - New
$187,000Active11 AcresTBD LOT A Vz County Road 2302 #A, Canton, TX 75103
MLS# 21209790Listed by: PITTS REALTY - New
$175,000Active10.05 AcresTBD LOT B Vz County Road 2302 #B, Canton, TX 75103
MLS# 21209839Listed by: PITTS REALTY - New
$175,000Active10.05 AcresTBD LOT C Vz County Road 2302 #C, Canton, TX 75103
MLS# 21210006Listed by: PITTS REALTY - New
$3,750,000Active4 beds 7 baths8,355 sq. ft.535 Private Road 6404, Canton, TX 75103
MLS# 21236524Listed by: COMPASS RE TEXAS, LLC.