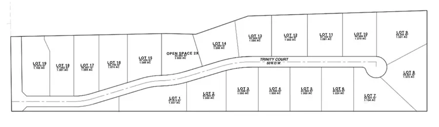
Lot 8 County Road 134, Celina, TX 75009
Local realty services provided by:CENTURY 21 Middleton
Lot 8 County Road 134,Celina, TX 75009
$485,000
- 1.37 Acres
- Lots / Land
- Active
Listed by: danielle durbin, daniel durbin214-906-9450
Office: sevenhaus realty
MLS#:21196673
Source:GDAR
Price summary
- Price:$485,000
- Monthly HOA dues:$64.75
About this home
LOW 1.44% TAX RATE, BRING YOUR OWN BUILDER, BUILD READY LOTS. Welcome to Celina’s newest boutique luxury gated community Shiloh Estates thoughtfully positioned in the heart of Celina, just minutes from Preston Road and Celina High School. Designed for those who crave both connection and quiet, this exclusive enclave offers the rare opportunity to enjoy expansive one-acre (and larger) homesites with room to truly breathe. Here, wide open skies meet refined architecture, creating a setting where serenity is not a luxury — it’s a lifestyle. Evenings are something special. Golden sunsets stretch endlessly across the horizon, casting a warm glow over peaceful surroundings and gently reminding you why you chose space over congestion. The slower pace, the quiet streets, the sense of privacy — it all feels intentional. This is not a sprawling master-planned development. It’s a carefully curated, boutique setting for those who value privacy, architectural excellence, and a more intimate neighborhood experience. Fewer homes. Larger lots. Greater tranquility. Future HOA and Architectural Review Committee guidelines and builders to ensure a cohesive, high-quality aesthetic that protects both beauty and long-term value — allowing each home to be distinctive, yet harmonious within the community. If you’ve been searching for acreage living without sacrificing proximity to top schools, major roadways, and the charm of historic downtown Celina, this is where sophistication meets simplicity — and where space becomes a daily luxury. 12 month build time....
Contact an agent
Home facts
- Listing ID #:21196673
- Added:9 day(s) ago
- Updated:March 13, 2026 at 11:47 AM
Structure and exterior
- Lot area:1.37 Acres
- Lot Features:Acreage, Few Trees, Lawn
Schools
- High school:Celina
- Middle school:Jerry & Linda Moore
- Elementary school:Celina
Finances and disclosures
- Price:$485,000
- Tax amount:$5,978
New listings near Lot 8 County Road 134
- New
$995,000Active4 beds 4 baths3,395 sq. ft.3926 Harrisburg Lane, Celina, TX 75009
MLS# 21207186Listed by: RE/MAX FOUR CORNERS - New
$395,000Active4 beds 2 baths1,941 sq. ft.2820 Saddlebred Trail, Celina, TX 75009
MLS# 21206876Listed by: EBBY HALLIDAY, REALTORS - Open Sun, 2 to 4pmNew
$575,000Active4 beds 3 baths2,827 sq. ft.4324 Coffee Mill Road, Celina, TX 75078
MLS# 21197817Listed by: KELLER WILLIAMS NO. COLLIN CTY - Open Sun, 3 to 5pmNew
$650,000Active4 beds 4 baths2,868 sq. ft.917 Overton Avenue, Celina, TX 75009
MLS# 21204636Listed by: FUNK REALTY GROUP, LLC - New
$25,000,000Active99.62 Acres10388 County Road 106, Celina, TX 75009
MLS# 21206211Listed by: KELLER WILLIAMS FRISCO STARS - New
$746,900Active4 beds 4 baths2,574 sq. ft.4424 Lamplights Drive, Celina, TX 75078
MLS# 21206699Listed by: PERRY HOMES REALTY LLC - New
$1,399,900Active5 beds 6 baths5,186 sq. ft.185 Shawnee Trail, Celina, TX 75009
MLS# 21204006Listed by: COMPASS RE TEXAS, LLC - New
$579,000Active5 beds 3 baths2,501 sq. ft.532 Remington Road, Celina, TX 75009
MLS# 21206325Listed by: EXP REALTY LLC - New
$548,090Active3 beds 3 baths3,103 sq. ft.14563 Curie Court, Pilot Point, TX 75009
MLS# 21206413Listed by: WILLIAM ROBERDS - New
$534,900Active5 beds 3 baths2,795 sq. ft.2008 Rhea Court, Celina, TX 75009
MLS# 21189951Listed by: EBBY HALLIDAY REALTORS