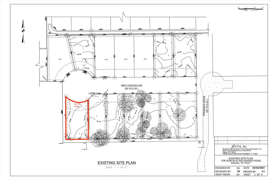
8106 Wes Hodges Road, Dallas, TX 75217
Local realty services provided by:CENTURY 21 Harvey Properties
8106 Wes Hodges Road,Dallas, TX 75217
$13,500
- 0.18 Acres
- Lots / Land
- Pending
Listed by: destiny hunt
Office: dhs realty
MLS#:21152680
Source:GDAR
Price summary
- Price:$13,500
About this home
Prime Infill Development Opportunity - 10 Platted Lots - Near-Shovel-Ready – Sold as Package
Exceptional infill development opportunity to acquire 10 platted residential lots located on the same block, offered exclusively as a package in a rapidly growing Dallas submarket. Lot sizes vary - this one is 7700 SF per lot, and individual surveys are available for each lot, providing a clear path for planning, permitting, and construction.
This near shovel-ready project is supported by a comprehensive development package designed to significantly reduce pre-development time and cost. Available materials include a site plan, City of Dallas proposed drainage map, utility plan, traffic control plan, landscape plan, and Storm Water Pollution Prevention Plan (SWPPP), making this an ideal opportunity for developers seeking a streamlined, entitlement-ready project.
Located near Loop 12 and Hwy 175, the site benefits from strong accessibility, ongoing redevelopment, and increasing housing demand. New construction homes in the surrounding area are selling quickly in the mid-$300s, supporting solid exit values, builder margins, and long-term investment upside.
The configuration of the lots creates an excellent opportunity for a developer capable of constructing the street and infrastructure, enabling a cohesive, efficient residential buildout. This offering is well-suited for small to mid-size builders, investors, and development groups looking for a scalable infill, ground-up construction project in Dallas.
Seller will consider offers on each lot individual for $25,000 per lot...
Contact an agent
Home facts
- Listing ID #:21152680
- Added:101 day(s) ago
- Updated:April 25, 2026 at 07:16 AM
Structure and exterior
- Lot area:0.18 Acres
- Lot Features:City Lot
Schools
- High school:Spruce
- Middle school:Gaston
- Elementary school:Macon
Finances and disclosures
- Price:$13,500
- Tax amount:$1,106
New listings near 8106 Wes Hodges Road
- Open Sun, 12 to 3pmNew
$995,000Active3 beds 2 baths2,280 sq. ft.5552 Belmont Avenue, Dallas, TX 75206
MLS# 21238383Listed by: BRAY REAL ESTATE GROUP- DALLAS - New
$179,950Active3 beds 2 baths1,696 sq. ft.4926 Rand, Dallas, TX 75216
MLS# 21250609Listed by: APLOMB REAL ESTATE - Open Sun, 1 to 3pmNew
$385,000Active4 beds 2 baths1,751 sq. ft.2970 Sundial Drive, Dallas, TX 75229
MLS# 21250623Listed by: EXP REALTY - New
$1,395,000Active4 beds 5 baths4,532 sq. ft.4823 Spyglass Drive, Dallas, TX 75287
MLS# 21245196Listed by: COMPASS RE TEXAS, LLC - Open Sat, 1 to 3pmNew
$540,000Active3 beds 2 baths1,698 sq. ft.8029 Claremont Drive, Dallas, TX 75228
MLS# 21245709Listed by: BERKSHIRE HATHAWAYHS PENFED TX - New
$259,000Active3 beds 2 baths1,362 sq. ft.661 W Millett, Dallas, TX 78232
MLS# 475310Listed by: LONGORIA & ASSOCIATES LLC - New
$2,390,000Active5 beds 5 baths4,484 sq. ft.7119 Shook Avenue, Dallas, TX 75214
MLS# 21230167Listed by: COMPASS RE TEXAS, LLC. - Open Sun, 1 to 3pmNew
$750,000Active3 beds 3 baths2,899 sq. ft.6712 Saint Anne Street, Dallas, TX 75248
MLS# 21233743Listed by: EBBY HALLIDAY, REALTORS - New
$245,000Active2 beds 2 baths1,420 sq. ft.5818 E University Boulevard #236, Dallas, TX 75206
MLS# 21238652Listed by: COMPASS RE TEXAS, LLC - New
$949,000Active3 beds 2 baths1,679 sq. ft.6002 Morningside Avenue, Dallas, TX 75206
MLS# 21240532Listed by: COMPASS RE TEXAS, LLC