8132 Wes Hodges Road, Dallas, TX 75217
Local realty services provided by:CENTURY 21 Gold Coat Realtors
Listed by: destiny hunt
Office: dhs realty
MLS#:20906417
Source:GDAR
Price summary
- Price:$29,000
About this home
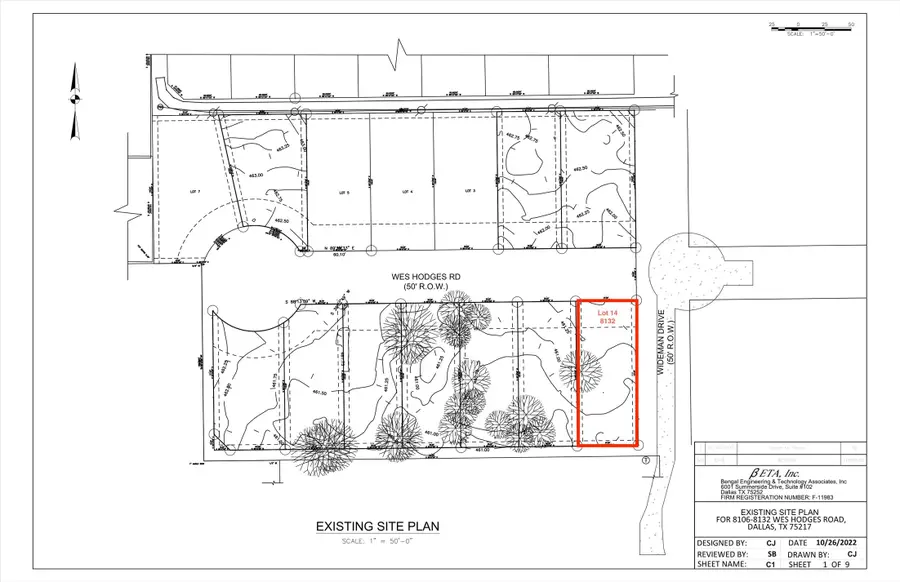
Prime Development Opportunity with Site Plan –
This 7,880 sqft lot is 1 of 10 contiguous lots available for sale, offering a rare opportunity to develop an entire residential block in a growing area of Dallas. Conveniently located just off Loop 12 and Hwy 175, this location offers excellent access to major roadways and surrounding development.
A site plan is available and included in the photos, giving investors and builders a clear head start. Drainage has already been accounted for, and one of the lots includes a water well, adding even more value and utility to the package. Buyers purchasing all 10 lots will also have the opportunity to build out a private street, unlocking the full development potential of the property.
Contact an agent
Home facts
- Listing ID #:20906417
- Added:244 day(s) ago
- Updated:December 17, 2025 at 10:04 AM
Structure and exterior
- Lot area:0.18 Acres
Schools
- High school:Spruce
- Middle school:Comstock
- Elementary school:Macon
Finances and disclosures
- Price:$29,000
- Tax amount:$1,106
New listings near 8132 Wes Hodges Road
- New
$295,000Active3 beds 2 baths1,594 sq. ft.6439 Lazy River Drive, Dallas, TX 75241
MLS# 21104957Listed by: IMAGE REALTY - New
$215,000Active0.18 Acres3515 Wendelkin Street, Dallas, TX 75215
MLS# 21134324Listed by: TEXAS INVESTORS REALTY - New
$215,000Active3 beds 2 baths1,682 sq. ft.3828 Kimball Ridge Drive, Dallas, TX 75233
MLS# 21134300Listed by: THE REAL ESTATE COMPANY - New
$1,399,000Active4 beds 7 baths3,137 sq. ft.10314 Country Club Drive, Dallas, TX 75218
MLS# 21131832Listed by: MONUMENT REALTY - New
$1,350,000Active3 beds 4 baths2,945 sq. ft.6943 Wildgrove Avenue, Dallas, TX 75214
MLS# 21133911Listed by: ALLIE BETH ALLMAN & ASSOC. - New
$92,000Active2 beds 1 baths784 sq. ft.8112 Arlene Lane, Dallas, TX 75217
MLS# 21134239Listed by: BRADFORD ELITE REAL ESTATE LLC - New
$459,000Active3 beds 2 baths1,854 sq. ft.2316 Daybreak Drive, Dallas, TX 75287
MLS# 21130100Listed by: CORNERSTONE REALTY GROUP, LLC - New
$145,000Active2 beds 2 baths615 sq. ft.2930 Alabama Avenue, Dallas, TX 75216
MLS# 21131614Listed by: VETERAN REALTY GROUP - New
$359,000Active3 beds 2 baths1,544 sq. ft.2512 Harbinger Lane, Dallas, TX 75287
MLS# 21131629Listed by: COLDWELL BANKER APEX, REALTORS - New
$1,550,000Active4 beds 4 baths3,020 sq. ft.5938 Goliad Avenue, Dallas, TX 75206
MLS# 21132284Listed by: COMPASS RE TEXAS, LLC