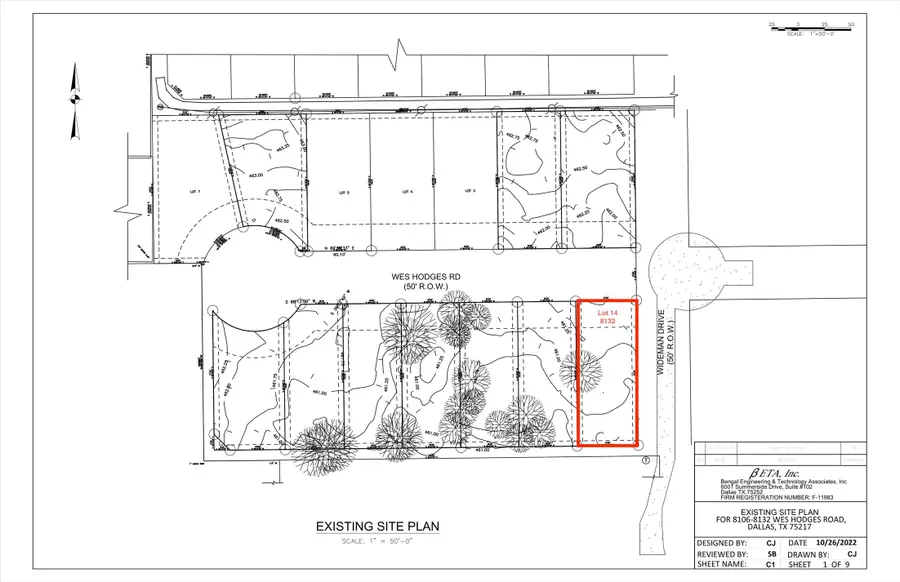
8132 Wes Hodges Road, Dallas, TX 75217
Local realty services provided by:CENTURY 21 Gold Coat Realtors
8132 Wes Hodges Road,Dallas, TX 75217
$18,000
- 0.18 Acres
- Lots / Land
- Active
Listed by: destiny hunt520-220-6055
Office: dhs realty
MLS#:21152796
Source:GDAR
Price summary
- Price:$18,000
About this home
Prime Infill Development Opportunity - 10 Platted Lots - Near-Shovel-Ready – Sold as Package
Exceptional infill development opportunity to acquire 10 platted residential lots located on the same block, offered exclusively as a package in a rapidly growing Dallas submarket. Lot sizes vary - this one is 7880, and individual surveys are available for each lot, providing a clear path for planning, permitting, and construction.
This near shovel-ready project is supported by a comprehensive development package designed to significantly reduce pre-development time and cost. Available materials include a site plan, City of Dallas proposed drainage map, utility plan, traffic control plan, landscape plan, and Storm Water Pollution Prevention Plan (SWPPP), making this an ideal opportunity for developers seeking a streamlined, entitlement-ready project.
Located near Loop 12 and Hwy 175, the site benefits from strong accessibility, ongoing redevelopment, and increasing housing demand. New construction homes in the surrounding area are selling quickly in the mid-$300s, supporting solid exit values, builder margins, and long-term investment upside.
The configuration of the lots creates an excellent opportunity for a developer capable of constructing the street and infrastructure, enabling a cohesive, efficient residential buildout. This offering is well-suited for small to mid-size builders, investors, and development groups looking for a scalable infill, ground-up construction project in Dallas.
Lots will not be sold individually. Package sale only.
Contact an agent
Home facts
- Listing ID #:21152796
- Added:44 day(s) ago
- Updated:February 26, 2026 at 10:46 PM
Structure and exterior
- Lot area:0.18 Acres
- Lot Features:Corner Lot, Few Trees
Schools
- High school:Spruce
- Middle school:Comstock
- Elementary school:Macon
Finances and disclosures
- Price:$18,000
- Tax amount:$1,106
New listings near 8132 Wes Hodges Road
- Open Sun, 1 to 3pmNew
$915,000Active4 beds 4 baths3,895 sq. ft.9635 Hilldale Drive, Dallas, TX 75231
MLS# 21176970Listed by: DAVE PERRY MILLER REAL ESTATE - Open Sun, 1 to 3pmNew
$2,550,000Active4 beds 5 baths5,171 sq. ft.8427 Midway Road, Dallas, TX 75209
MLS# 21181520Listed by: COMPASS RE TEXAS, LLC - New
$240,000Active2 beds 2 baths1,155 sq. ft.1610 Whitaker Avenue, Dallas, TX 75216
MLS# 21191967Listed by: READY REAL ESTATE LLC - Open Sun, 1 to 3pm
$517,000Active3 beds 3 baths1,824 sq. ft.12964 Rockham Lane, Dallas, TX 75234
MLS# 21147992Listed by: COMPASS RE TEXAS, LLC - New
$775,000Active4 beds 3 baths2,347 sq. ft.6508 Barfield Drive, Dallas, TX 75252
MLS# 21167092Listed by: COMPASS RE TEXAS, LLC. - Open Sun, 2 to 4pmNew
$1,050,000Active4 beds 4 baths3,102 sq. ft.5207 Northmoor Drive, Dallas, TX 75229
MLS# 21179172Listed by: CHRISTIE'S LONE STAR - New
$750,000Active1 beds 1 baths3,220 sq. ft.4505-07 Worth Street, Dallas, TX 75246
MLS# 21190597Listed by: DAVE PERRY MILLER REAL ESTATE - New
$1,595,000Active4 beds 4 baths3,238 sq. ft.4426 Laren Lane, Dallas, TX 75244
MLS# 21191637Listed by: COMPASS RE TEXAS, LLC. - New
$575,000Active3 beds 2 baths1,658 sq. ft.3411 Timberview Road, Dallas, TX 75229
MLS# 21191758Listed by: ALLIE BETH ALLMAN & ASSOC. - New
$635,000Active3 beds 3 baths1,820 sq. ft.11836 Duxbury Drive, Dallas, TX 75218
MLS# 21191864Listed by: ALLIE BETH ALLMAN & ASSOC.