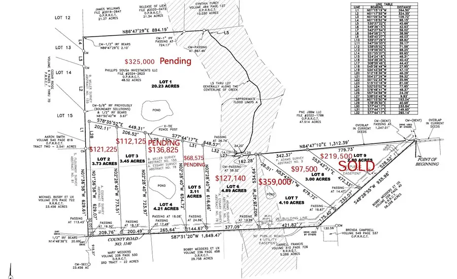
Lot 2 & 3 Rs County Road 1140, Emory, TX 75440

Local realty services provided by:CENTURY 21 Elite
Lot 2 & 3 Rs County Road 1140,Emory, TX 75440
$233,350
  • 7.18 Acres
  • Lots / Land
  • Active
Listed by: michael phillips888-455-6040
Office: fathom realty llc.
MLS#:21195508
Source:GDAR

Price summary

  • Price:$233,350

About this home

Beautiful non restricted land to make your home. Just outside the city limits. Water and electric is available at the road. Manufactured Home is okay. More lots are available. See plat. Agent is co owner. Buyer and Buyer's agent is responsible for verifying all information.

Contact an agent

contact an agent

Yes, I would like more information. Please use and/or share my information with an independent agent affiliated with the CENTURY 21®  brand to contact me about my real estate needs. By clicking Send message, I request to be contacted by phone or text message and consent to being contacted by automated means. I understand that my consent to receive calls or texts is not a condition of purchasing any property, goods, or services. Alternatively, I understand that I can access real estate services by email or I can contact the agent myself.

If an independent agent affiliated with the CENTURY 21®  brand is not available in the area where I need assistance, I agree to be contacted by a real estate agent affiliated with another brand owned or licensed by Anywhere Real Estate (BHGRE® , Coldwell Banker® , Corcoran® , ERA® , Sotheby's International Realty® ).
 I acknowledge that I have read and agree to theTerms of useandPrivacy notice

Home facts

  • Listing ID #:21195508
  • Added:1 day(s) ago
  • Updated:March 03, 2026 at 04:55 AM

Structure and exterior

  • Lot area:7.18 Acres
  • Lot Features:Pasture

Schools

  • High school:Rains
  • Elementary school:Rains

Finances and disclosures

  • Price:$233,350
MLS LogoInformation provided, in part, by North Texas Real Estate Information Systems, Inc. Last Updated March 3, 2026 Listings with the NTREIS logo are listed by brokerages other than CENTURY 21 Elite.