2841 N Expressway 77, Harlingen, TX 78552
Local realty services provided by:CENTURY 21 Johnston Company
Listed by: pauline zurovec
Office: marcus phipps real estate, llc.
MLS#:29733651
Source:TX_RGV
Price summary
- Price:$1,328,500
About this home
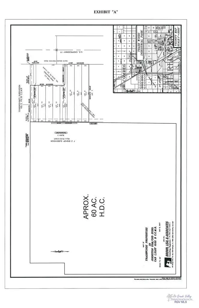
SUBDIVIDED, a total of 6.77 acres (Lots 8 through 15), Zoned “Light Industrial”. Situated on the west side of Interstate I-69E (Expwy 77) in north Harlingen, Texas, just south of Loop 499. Prime development site for warehouse park, any type business site providing ample parking area for vehicles/trucks. All utilities available to site. Subject site has +/-265' frontage on Expwy 77 and wraps around (“L” shape) the Prism Plastics building.
Contact an agent
Home facts
- Listing ID #:29733651
- Added:1111 day(s) ago
- Updated:February 10, 2026 at 08:36 AM
Structure and exterior
- Lot area:6.77 Acres
Schools
- High school:HARLINGEN SOUTH
- Middle school:GUTIERREZ
- Elementary school:RODRIGUEZ
Utilities
- Water:Public
Finances and disclosures
- Price:$1,328,500
New listings near 2841 N Expressway 77
- New
$316,000Active3 beds 3 baths1,815 sq. ft.16765 Mccullar Ct, HARLINGEN, TX 78552
MLS# 29772029Listed by: COLDWELL BANKER LA MANSION REAL ESTATE BROWNSVILLE - New
$59,000Active0.12 Acres4345 Casamigos St, HARLINGEN, TX 78522
MLS# 29772014Listed by: LIZ REALTY LLC - New
$59,000Active0.16 Acres4305 Casamigos St, HARLINGEN, TX 78522
MLS# 29772015Listed by: LIZ REALTY LLC - New
$350,000Active3 beds 2 baths2,115 sq. ft.16729 E Mccullar Ct, HARLINGEN, TX 78552
MLS# 29772007Listed by: BIG REALTY - New
$249,900Active4 beds 3 baths1,976 sq. ft.27030 Palm Blvd., HARLINGEN, TX 78552
MLS# 29772005Listed by: RE/MAX ELITE - New
$95,000Active2 beds 1 baths841 sq. ft.1214 S C, HARLINGEN, TX 78550
MLS# 29771995Listed by: COLDWELL BANKER IMPACT PROPERTIES - New
$215,000Active3 beds 2 baths1,524 sq. ft.1001 E Monroe St., HARLINGEN, TX 78550
MLS# 29771996Listed by: COLDWELL BANKER IMPACT PROPERTIES
$265,000Active4 beds 4 baths2,320 sq. ft.1115 Falcon Dr. #Lot 9 & Pt 77, HARLINGEN, TX 78550
MLS# 29771679Listed by: COASTAL REALTY- New
$115,000Active0.26 Acres4505 Resaca South St, HARLINGEN, TX 78550
MLS# 29771985Listed by: SANETI REALTY GROUP - Open Sat, 12 to 4pmNew
$384,500Active4 beds 3 baths2,136 sq. ft.6310 Willow Wood Lane, Harlingen, TX 78552
MLS# 494405Listed by: Fox Real Estate Pros