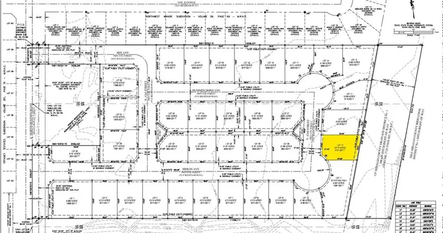
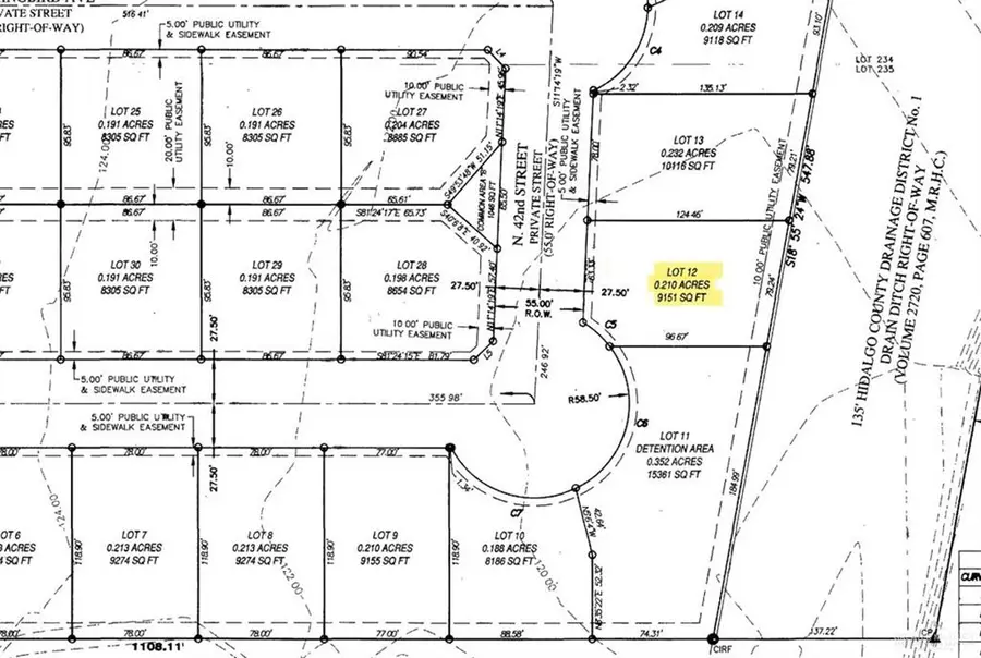
6008 N 42nd Street, McAllen, TX 78504
Local realty services provided by:CENTURY 21 Johnston Company
6008 N 42nd Street,McAllen, TX 78504
$149,500
- 0.19 Acres
- Lots / Land
- Active
Listed by: irene uribe manrique de lara
Office: texas landmark realty llc
MLS#:483435
Source:TX_GMAR
Price summary
- Price:$149,500
- Monthly HOA dues:$100
About this home
Sunset Valley condominium subdivision. Only few lots left to build your fourplex-condominiums. Each unit should be assigned its own Tax ID, Water and Electric Meter. HOA fees will be $110 per unit and will include front grass maintenance, common area insurances and community expenses like Gates, and a beautiful common area park. You can build and sell units individually or keep them all! These great unique lots are for town-houses, 2 story units or Condo on the first floor and top unit on each side. Use the best layout for your homesite! This new location brings novelty and affordable units to first time home buyers, downsizing or investment. A great location between Mile 3 and 4 off Bentsen. Close to everything North McAllen/Mission Area. With great residential communities around it. Only 5 lots left.
Contact an agent
Home facts
- Listing ID #:483435
- Added:163 day(s) ago
- Updated:March 27, 2026 at 07:44 PM
Structure and exterior
- Lot area:0.19 Acres
- Architectural Style:Residential Lot
Schools
- High school:Rowe H.S.
- Middle school:Fossum
- Elementary school:Hendricks
Utilities
- Water:City Water, Public Water, Water Connected
- Sewer:City Sewer, Sewer Connected
Finances and disclosures
- Price:$149,500
- Tax amount:$3,500
Features and amenities
- Amenities:City Garbage, Electricity Connected, Gated, Planned Unit Development (PUD), Sidewalks, Street Lights
New listings near 6008 N 42nd Street
- New
$305,000Active4 beds 3 baths2,228 sq. ft.2700 Fairmont Avenue, McAllen, TX 78504
MLS# 500317Listed by: Blue Diamond Realty Group Llc - New
$20,600Active4 beds 2 baths1,600 sq. ft.819 S 16th Street, McAllen, TX 78501
MLS# 500327Listed by: Tnt Real Estate - New
$520,000Active5 beds 3 baths3,400 sq. ft.1111 Yucca Avenue, McAllen, TX 78504
MLS# 500283Listed by: Keller Williams Realty Rgv - New
$329,999Active3 beds 2 baths2,257 sq. ft.4802 N 29th Lane, McAllen, TX 78504
MLS# 500284Listed by: Red & Co Realty Services - New
$1,050,000Active2.2 Acres5201 W Military Highway, McAllen, TX 78503
MLS# 500288Listed by: Winners Circle - New
$1,050,000Active2.21 Acres0 W Military Highway, McAllen, TX 78503
MLS# 500290Listed by: Winners Circle - New
$249,000Active3 beds 2 baths1,513 sq. ft.2701 Quamasia Avenue, McAllen, TX 78504
MLS# 7661035Listed by: INSEARCH PROPERTIES - New
$849,000Active5 beds 6 baths3,627 sq. ft.301 Byron Nelson Street #6, McAllen, TX 78503
MLS# 500275Listed by: Fox Real Estate Pros - New
$279,000Active3 beds 2 baths2,234 sq. ft.412 Toronto Avenue #34, McAllen, TX 78503
MLS# 500244Listed by: Imperio Real Estate Llc - New
$64,000Active0.11 Acres3212 S H Street, McAllen, TX 78657
MLS# 494394Listed by: Encore Fine Properties