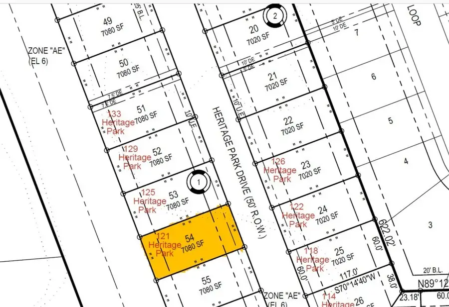
121 Heritage Park Drive, Rockport, TX 78382

Local realty services provided by:CENTURY 21 North East
121 Heritage Park Drive,Rockport, TX 78382
$68,000
  • 0.16 Acres
  • Lots / Land
  • Active
Listed by: cynthia alvarado
Office: keller williams coastal bend
MLS#:473968
Source:South Texas MLS

Price summary

  • Price:$68,000

About this home

This newer subdivision in Heritage Park offers a limited selection of beautiful waterfront lots. Secure this opportunity to build your dream home and enjoy breathtaking daily sunsets, along with the peaceful tranquility of your own backyard retreat. Ideally located, this exceptional community provides convenient access to all your everyday destinations while maintaining a quiet, private atmosphere perfect for relaxing and unwinding.

Contact an agent

contact an agent

Yes, I would like more information. Please use and/or share my information with an independent agent affiliated with the CENTURY 21®  brand to contact me about my real estate needs. By clicking Send message, I request to be contacted by phone or text message and consent to being contacted by automated means. I understand that my consent to receive calls or texts is not a condition of purchasing any property, goods, or services. Alternatively, I understand that I can access real estate services by email or I can contact the agent myself.

If an independent agent affiliated with the CENTURY 21®  brand is not available in the area where I need assistance, I agree to be contacted by a real estate agent affiliated with another brand owned or licensed by Anywhere Real Estate (BHGRE® , Coldwell Banker® , Corcoran® , ERA® , Sotheby's International Realty® ).
 I acknowledge that I have read and agree to theTerms of useandPrivacy notice

Home facts

  • Listing ID #:473968
  • Added:5 day(s) ago
  • Updated:April 03, 2026 at 02:03 PM

Structure and exterior

  • Lot area:0.16 Acres
  • Lot Features:Interior Lot, Level

Schools

  • High school:RockportFulton
  • Middle school:RockportFulton
  • Elementary school:FultonLearningCenter

Utilities

  • Water:Public, Water Available
  • Sewer:Public Sewer, Sewer Available

Finances and disclosures

  • Price:$68,000
MLS LogoBased on information from South Texas MLS, LLC as 2026. All information provided is deemed reliable but is not guaranteed and should be independently verified. South Texas MLS, LLC provides the MLS and all content therein “AS IS” and without any warranty, express or implied. MLS aggregate data is a copyright of Texas Association of REALTORS® (TAR) and that the reader may not reproduce or distribute the MLS aggregate data.