24802 Marks Road, Splendora, TX 77372
Local realty services provided by:CENTURY 21 Lucky Money Real Estate
24802 Marks Road,Splendora, TX 77372
$79,900
- 0.75 Acres
- Lots / Land
- Active
Listed by: patrick ma
Office: nb elite realty
MLS#:39704657
Source:HARMLS
Price summary
- Price:$79,900
About this home
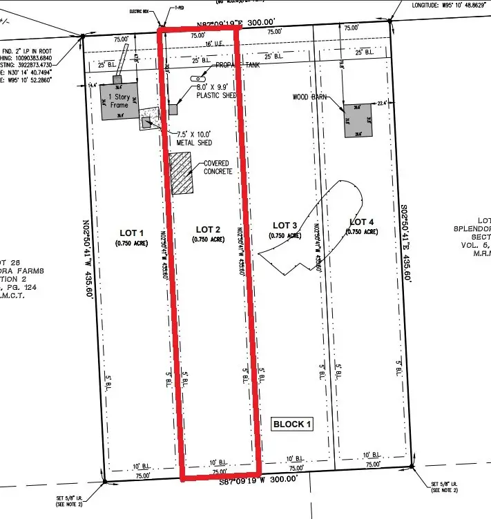
0.751-acre lot with approximately 75 feet of frontage and about 435 feet of depth. Mostly level with a mix of open space and mature trees. Features a 40' x 20' concrete slab with covered barn-style structure and a detached storage shed. Public water available. Rectangular shape with flexible use. No known restrictions. Suitable for mobile home or site-built home. Plenty of space for work trucks, trailers, equipment, or outdoor projects. Potential for animals or small livestock (buyer to verify). Ideal for those seeking freedom from HOA rules with room to live and work. Enjoy a quiet country setting while staying conveniently located approx. 6 minutes to downtown Splendora, 12 minutes to Hwy 99, and 45 minutes to downtown Houston. Pending final plat approval expected this month. Lots next to it also available.
Contact an agent
Home facts
- Listing ID #:39704657
- Updated:April 06, 2026 at 11:45 AM
Structure and exterior
- Lot area:0.75 Acres
- Lot Features:Subdivision
- Architectural Style:PatioHome
Schools
- High school:SPLENDORA HIGH SCHOOL
- Middle school:SPLENDORA JUNIOR HIGH
- Elementary school:PINEY WOODS ELEMENTARY SCHOOL
Utilities
- Sewer:Septic Tank
Finances and disclosures
- Price:$79,900
- Tax amount:$1,718 (2025)
New listings near 24802 Marks Road
- New
$229,999Active3 beds 2 baths1,456 sq. ft.103 County Road 370, Splendora, TX 77372
MLS# 68519755Listed by: JLA REALTY - New
$309,990Active4 beds 2 baths1,908 sq. ft.16894 Buckwood Trail, Splendora, TX 77327
MLS# 7201381Listed by: LENNAR HOMES VILLAGE BUILDERS, LLC - New
$242,390Active3 beds 2 baths1,522 sq. ft.16503 Ithaca Pheasant Drive, Splendora, TX 77327
MLS# 80147459Listed by: LENNAR HOMES VILLAGE BUILDERS, LLC - New
$261,790Active4 beds 3 baths1,968 sq. ft.16202 Bergara Bend Drive, Splendora, TX 77327
MLS# 83735797Listed by: LENNAR HOMES VILLAGE BUILDERS, LLC - New
$499,900Active4 beds 3 baths2,547 sq. ft.27684 Rio Blanco Drive, Splendora, TX 77372
MLS# 63279279Listed by: EXP REALTY, LLC - New
$289,990Active3 beds 3 baths1,749 sq. ft.16566 Timberwolf Trail Drive, Splendora, TX 77327
MLS# 43010601Listed by: LENNAR HOMES VILLAGE BUILDERS, LLC - New
$289,995Active2 beds 2 baths1,015 sq. ft.26471 Joy Village Drive, Splendora, TX 77372
MLS# 79599893Listed by: RENTERS WAREHOUSE TEXAS, LLC - New
$302,990Active4 beds 3 baths1,875 sq. ft.16555 Timberwolf Trail, Splendora, TX 77327
MLS# 27401614Listed by: LENNAR HOMES VILLAGE BUILDERS, LLC - New
$184,990Active3 beds 2 baths1,023 sq. ft.2409 Twin Court, Splendora, TX 77372
MLS# 33089726Listed by: D.R. HORTON-TEXAS, LTD - New
$194,990Active3 beds 3 baths1,206 sq. ft.2410 Twin Court, Splendora, TX 77372
MLS# 42381452Listed by: D.R. HORTON-TEXAS, LTD