2800 E Lake Drive, Weatherford, TX 76087
Local realty services provided by:CENTURY 21 Elite
Listed by: nhat dinh469-859-5809
Office: citiwide properties corp.
MLS#:21126166
Source:GDAR
Price summary
- Price:$160,000
About this home
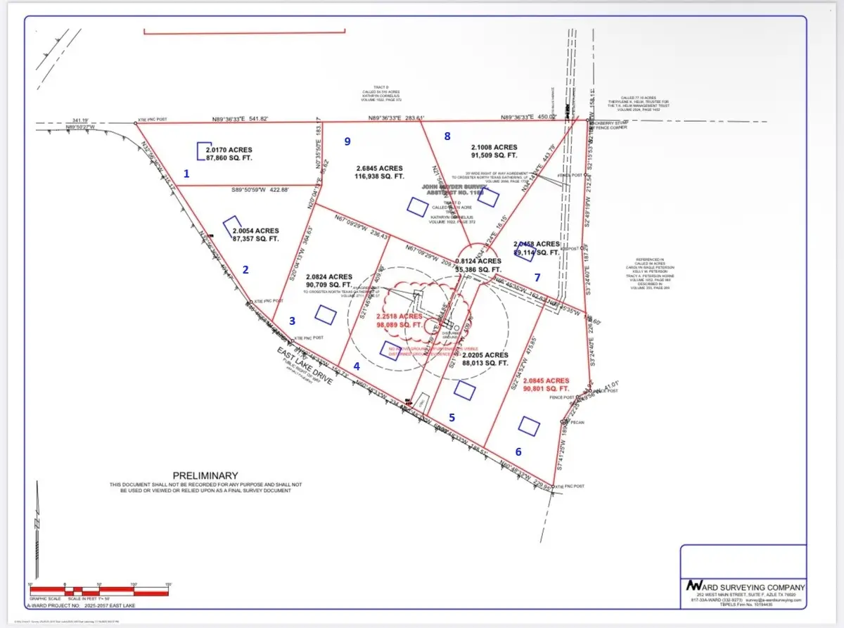
UPDATE: Last lot for sale LOT #2
Exceptional Opportunity: 9 Spacious Lots for Sale in Weatherford, TX. Location: 2800 E Lake Dr, Weatherford, TX 76087. Price is for one lot. Be the first to pick best lot of all. Lot Size: Each over 2 acres. Just outside of city limit, there is no HOA. Price will probably go up after first lot sold.
Discover the perfect blend of tranquility and convenience with this rare offering of nine generously sized residential lots, each spanning over 2 acres in the heart of Weatherford. Nestled along the scenic E Lake Drive, these parcels provide a peaceful country setting just minutes from town amenities, schools, and Lake Weatherford recreation. Lots are right across park areas with boardwalk and floating bridge.
Whether you're a builder seeking prime development land or a homeowner dreaming of space to grow, these lots offer room for custom homes and outdoor living. Easy access to major road and local conveniences.
Build now or invest for the future — opportunities like this are rare in such a desirable location.
Lots are met septic tanks and water wells requirements. Electric pole is nearby. Price is for lots only; buyer is assumed all other costs.
All lots can be purchased together provide availability....
Contact an agent
Home facts
- Listing ID #:21126166
- Added:117 day(s) ago
- Updated:April 07, 2026 at 11:47 AM
Structure and exterior
- Lot area:2 Acres
- Lot Features:Acreage, Level
Schools
- High school:Weatherford
- Middle school:Tison
- Elementary school:Martin
Utilities
- Water:Well
Finances and disclosures
- Price:$160,000
New listings near 2800 E Lake Drive
- Open Sat, 12 to 2pmNew
$599,000Active4 beds 3 baths2,652 sq. ft.101 Oxford Court, Weatherford, TX 76088
MLS# 21229553Listed by: JPAR - New
$500,000Active4 beds 3 baths2,448 sq. ft.2016 Pebblegate Drive, Weatherford, TX 76085
MLS# 21230069Listed by: RESIDENT REALTY - DALLAS - New
$525,000Active4 beds 2 baths2,011 sq. ft.156 Cottongame Road, Weatherford, TX 76088
MLS# 21222784Listed by: BOURQUIN REALTY - New
$650,000Active5 beds 4 baths2,780 sq. ft.108 Stafford Trail, Weatherford, TX 76088
MLS# 21230674Listed by: CENTURY 21 JUDGE FITE COMPANY - New
$540,000Active4 beds 3 baths2,871 sq. ft.1108 Burkburnett Drive, Weatherford, TX 76087
MLS# 21229498Listed by: COMPASS RE TEXAS, LLC - New
$364,900Active3 beds 2 baths1,695 sq. ft.1314 Foster Lane, Weatherford, TX 76086
MLS# 21229616Listed by: PARKER DOUGLAS REALTY, INC. - New
$195,000Active3 beds 2 baths1,268 sq. ft.1224 S Brazos Street, Weatherford, TX 76086
MLS# 21214078Listed by: CENTURY 21 JUDGE FITE COMPANY - New
$879,000Active4 beds 3 baths3,095 sq. ft.1016 Forest Glen Road, Weatherford, TX 76087
MLS# 21230287Listed by: BEYCOME BROKERAGE REALTY LLC - New
$2,400,000Active4 beds 4 baths3,113 sq. ft.1034 River Ranch Lane, Weatherford, TX 76087
MLS# 21222441Listed by: REAL BROKER, LLC - New
$799,000Active5 beds 4 baths3,480 sq. ft.136 Grace Vw Road, Weatherford, TX 76088
MLS# 21222831Listed by: THE ASHTON AGENCY